|
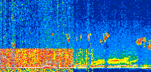
Displayed on this page are scaled, color-modulated, altitude-time images of CALIPSO attenuated backscatter (/km/sr) including:
- 532 nm total (parallel + perpendicular) attenuated backscatter
- 532 nm perpendicular attenuated backscatter
- 1064 nm total attenuated backscatter
The orbit track locations for the entire Level 1 .hdf file are in black and the orbit track locations corresponding to this page are color coded.
For the full scale images:
- the color bars for attenuated backscatter show the colors assigned to ranges of attenuated backscatter, /km/sr
- the horizontal axes are annotated with latitude (deg) and longitude (deg)
- the vertical axes are annotated to indicate altitude in kilometers
- the date and time of the measurements are listed as UTC time
- the names of the CALIPSO data products for the Lidar Level 1 attenuated backscatter granules are included
The scaled images on this page are organized by CALIPSO data product day and night orbit granules.
The maps with a shaded background indicate nightime measurements.
There are a maximum of 4 scaled images per granule.
The orbit tracks plotted on the maps show the measurement locations for each granule.
For each granule, the scaled images are ordered from left to right and their locations along the orbit tracks are color coded as: image one, image two, image three, image four.
Begin |
End | Number Profiles |
|---|---|---|
| 2020/05/03 00:40:58.1600 UTC | 2020/05/03 01:27:12.4073 UTC | 55935 |
|
|
|
|
|
Begin |
End | Number Profiles |
|---|---|---|
| 2020/05/03 01:27:12.4569 UTC | 2020/05/03 02:19:30.4744 UTC | 63270 |
|
|
|
|
|
Begin |
End | Number Profiles |
|---|---|---|
| 2020/05/03 02:19:30.5240 UTC | 2020/05/03 03:05:44.0294 UTC | 55920 |
|
|
|
|
|
Begin |
End | Number Profiles |
|---|---|---|
| 2020/05/03 03:05:44.0790 UTC | 2020/05/03 03:58:02.0984 UTC | 63270 |
|
|
|
|
|
Begin |
End | Number Profiles |
|---|---|---|
| 2020/05/03 03:58:02.1470 UTC | 2020/05/03 04:44:16.3964 UTC | 55935 |
|
|
|
|
|
Begin |
End | Number Profiles |
|---|---|---|
| 2020/05/03 04:44:16.4450 UTC | 2020/05/03 05:36:32.9754 UTC | 63240 |
|
|
|
|
|
Begin |
End | Number Profiles |
|---|---|---|
| 2020/05/03 05:36:33.0250 UTC | 2020/05/03 06:22:48.0184 UTC | 55950 |
|
|
|
|
|
Begin |
End | Number Profiles |
|---|---|---|
| 2020/05/03 06:22:48.0679 UTC | 2020/05/03 07:15:05.3403 UTC | 63255 |
|
|
|
|
|
Begin |
End | Number Profiles |
|---|---|---|
| 2020/05/03 07:15:05.3899 UTC | 2020/05/03 08:01:20.3813 UTC | 55950 |
|
|
|
|
|
Begin |
End | Number Profiles |
|---|---|---|
| 2020/05/03 08:01:20.4309 UTC | 2020/05/03 08:53:37.7024 UTC | 63255 |
|
|
|
|
|
Begin |
End | Number Profiles |
|---|---|---|
| 2020/05/03 08:53:37.7520 UTC | 2020/05/03 09:39:51.9994 UTC | 55935 |
|
|
|
|
|
Begin |
End | Number Profiles |
|---|---|---|
| 2020/05/03 09:39:52.0490 UTC | 2020/05/03 10:32:09.3213 UTC | 63255 |
|
|
|
|
|
Begin |
End | Number Profiles |
|---|---|---|
| 2020/05/03 10:32:09.3709 UTC | 2020/05/03 11:18:24.3634 UTC | 55950 |
|
|
|
|
|
Begin |
End | Number Profiles |
|---|---|---|
| 2020/05/03 11:18:24.4130 UTC | 2020/05/03 12:10:41.6864 UTC | 63255 |
|
|
|
|
|
Begin |
End | Number Profiles |
|---|---|---|
| 2020/05/03 12:10:41.7360 UTC | 2020/05/03 12:56:55.9844 UTC | 55935 |
|
|
|
|
|
Begin |
End | Number Profiles |
|---|---|---|
| 2020/05/03 12:56:56.0340 UTC | 2020/05/03 13:49:13.3074 UTC | 63255 |
|
|
|
|
|
Begin |
End | Number Profiles |
|---|---|---|
| 2020/05/03 13:49:13.3570 UTC | 2020/05/03 14:35:28.3494 UTC | 55950 |
|
|
|
|
|
Begin |
End | Number Profiles |
|---|---|---|
| 2020/05/03 14:35:28.3990 UTC | 2020/05/03 15:27:45.6724 UTC | 63255 |
|
|
|
|
|
Begin |
End | Number Profiles |
|---|---|---|
| 2020/05/03 15:27:45.7220 UTC | 2020/05/03 16:13:59.2244 UTC | 55920 |
|
|
|
|
|
Begin |
End | Number Profiles |
|---|---|---|
| 2020/05/03 16:13:59.2740 UTC | 2020/05/03 17:06:17.2894 UTC | 63270 |
|
|
|
|
|
Begin |
End | Number Profiles |
|---|---|---|
| 2020/05/03 17:06:17.3390 UTC | 2020/05/03 17:52:31.5863 UTC | 55935 |
|
|
|
|
|
Begin |
End | Number Profiles |
|---|---|---|
| 2020/05/03 17:52:31.6359 UTC | 2020/05/03 18:44:49.6513 UTC | 63270 |
|
|
|
|
|
Begin |
End | Number Profiles |
|---|---|---|
| 2020/05/03 18:44:49.7009 UTC | 2020/05/03 19:31:03.2044 UTC | 55920 |
|
|
|
|
|
Begin |
End | Number Profiles |
|---|---|---|
| 2020/05/03 19:31:03.2540 UTC | 2020/05/03 20:23:21.2714 UTC | 63270 |
|
|
|
|
|
Begin |
End | Number Profiles |
|---|---|---|
| 2020/05/03 20:23:21.3200 UTC | 2020/05/03 21:09:35.5684 UTC | 55935 |
|
|
|
|
|
Begin |
End | Number Profiles |
|---|---|---|
| 2020/05/03 21:09:35.6180 UTC | 2020/05/03 22:01:53.6334 UTC | 63270 |
|
|
|
|
|
Begin |
End | Number Profiles |
|---|---|---|
| 2020/05/03 22:01:53.6830 UTC | 2020/05/03 22:48:07.1864 UTC | 55920 |
|
|
|
|
|
Begin |
End | Number Profiles |
|---|---|---|
| 2020/05/03 22:48:07.2360 UTC | 2020/05/03 23:40:25.2514 UTC | 63270 |
|
|
|
|
|
Begin |
End | Number Profiles |
|---|---|---|
| 2020/05/03 23:40:25.3010 UTC | 2020/05/04 00:26:39.5494 UTC | 55935 |
|
|
|
|
|
























































































































