|
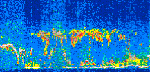
Displayed on this page are scaled, color-modulated, altitude-time images of CALIPSO attenuated backscatter (/km/sr) including:
- 532 nm total (parallel + perpendicular) attenuated backscatter
- 532 nm perpendicular attenuated backscatter
- 1064 nm total attenuated backscatter
The orbit track locations for the entire Level 1 .hdf file are in black and the orbit track locations corresponding to this page are color coded.
For the full scale images:
- the color bars for attenuated backscatter show the colors assigned to ranges of attenuated backscatter, /km/sr
- the horizontal axes are annotated with latitude (deg) and longitude (deg)
- the vertical axes are annotated to indicate altitude in kilometers
- the date and time of the measurements are listed as UTC time
- the names of the CALIPSO data products for the Lidar Level 1 attenuated backscatter granules are included
The scaled images on this page are organized by CALIPSO data product day and night orbit granules.
The maps with a shaded background indicate nightime measurements.
There are a maximum of 4 scaled images per granule.
The orbit tracks plotted on the maps show the measurement locations for each granule.
For each granule, the scaled images are ordered from left to right and their locations along the orbit tracks are color coded as: image one, image two, image three, image four.
Begin |
End | Number Profiles |
|---|---|---|
| 2020/05/09 00:19:30.6230 UTC | 2020/05/09 01:11:47.1483 UTC | 63240 |
|
|
|
|
|
Begin |
End | Number Profiles |
|---|---|---|
| 2020/05/09 01:11:47.1979 UTC | 2020/05/09 01:58:02.1874 UTC | 55950 |
|
|
|
|
|
Begin |
End | Number Profiles |
|---|---|---|
| 2020/05/09 01:58:02.2370 UTC | 2020/05/09 02:50:19.5074 UTC | 63255 |
|
|
|
|
|
Begin |
End | Number Profiles |
|---|---|---|
| 2020/05/09 02:50:19.5570 UTC | 2020/05/09 03:36:34.5453 UTC | 55950 |
|
|
|
|
|
Begin |
End | Number Profiles |
|---|---|---|
| 2020/05/09 03:36:34.5949 UTC | 2020/05/09 04:28:51.1204 UTC | 63240 |
|
|
|
|
|
Begin |
End | Number Profiles |
|---|---|---|
| 2020/05/09 04:28:51.1700 UTC | 2020/05/09 05:15:06.1584 UTC | 55950 |
|
|
|
|
|
Begin |
End | Number Profiles |
|---|---|---|
| 2020/05/09 05:15:06.2080 UTC | 2020/05/09 06:07:23.4763 UTC | 63255 |
|
|
|
|
|
Begin |
End | Number Profiles |
|---|---|---|
| 2020/05/09 06:07:23.5259 UTC | 2020/05/09 06:53:38.5144 UTC | 55950 |
|
|
|
|
|
Begin |
End | Number Profiles |
|---|---|---|
| 2020/05/09 06:53:38.5640 UTC | 2020/05/09 07:45:55.0884 UTC | 63240 |
|
|
|
|
|
Begin |
End | Number Profiles |
|---|---|---|
| 2020/05/09 07:45:55.1380 UTC | 2020/05/09 08:32:10.1254 UTC | 55950 |
|
|
|
|
|
Begin |
End | Number Profiles |
|---|---|---|
| 2020/05/09 08:32:10.1750 UTC | 2020/05/09 09:24:27.4434 UTC | 63255 |
|
|
|
|
|
Begin |
End | Number Profiles |
|---|---|---|
| 2020/05/09 09:24:27.4930 UTC | 2020/05/09 10:10:42.4794 UTC | 55950 |
|
|
|
|
|
Begin |
End | Number Profiles |
|---|---|---|
| 2020/05/09 10:10:42.5290 UTC | 2020/05/09 11:02:59.0523 UTC | 63240 |
|
|
|
|
|
Begin |
End | Number Profiles |
|---|---|---|
| 2020/05/09 11:02:59.1019 UTC | 2020/05/09 11:49:14.0893 UTC | 55950 |
|
|
|
|
|
Begin |
End | Number Profiles |
|---|---|---|
| 2020/05/09 11:49:14.1389 UTC | 2020/05/09 12:41:30.6633 UTC | 63240 |
|
|
|
|
|
Begin |
End | Number Profiles |
|---|---|---|
| 2020/05/09 12:41:30.7129 UTC | 2020/05/09 13:27:45.7003 UTC | 55950 |
|
|
|
|
|
Begin |
End | Number Profiles |
|---|---|---|
| 2020/05/09 13:27:45.7499 UTC | 2020/05/09 14:20:02.2743 UTC | 63240 |
|
|
|
|
|
Begin |
End | Number Profiles |
|---|---|---|
| 2020/05/09 14:20:02.3239 UTC | 2020/05/09 15:06:17.3124 UTC | 55950 |
|
|
|
|
|
Begin |
End | Number Profiles |
|---|---|---|
| 2020/05/09 15:06:17.3620 UTC | 2020/05/09 15:58:34.6304 UTC | 63255 |
|
|
|
|
|
Begin |
End | Number Profiles |
|---|---|---|
| 2020/05/09 15:58:34.6800 UTC | 2020/05/09 16:44:49.6674 UTC | 55950 |
|
|
|
|
|
Begin |
End | Number Profiles |
|---|---|---|
| 2020/05/09 16:44:49.7170 UTC | 2020/05/09 17:37:06.2404 UTC | 63240 |
|
|
|
|
|
Begin |
End | Number Profiles |
|---|---|---|
| 2020/05/09 17:37:06.2900 UTC | 2020/05/09 18:23:21.2774 UTC | 55950 |
|
|
|
|
|
Begin |
End | Number Profiles |
|---|---|---|
| 2020/05/09 18:23:21.3270 UTC | 2020/05/09 19:15:38.5954 UTC | 63255 |
|
|
|
|
|
Begin |
End | Number Profiles |
|---|---|---|
| 2020/05/09 19:15:38.6450 UTC | 2020/05/09 20:01:53.6324 UTC | 55950 |
|
|
|
|
|
Begin |
End | Number Profiles |
|---|---|---|
| 2020/05/09 20:01:53.6820 UTC | 2020/05/09 20:54:10.2064 UTC | 63240 |
|
|
|
|
|
Begin |
End | Number Profiles |
|---|---|---|
| 2020/05/09 20:54:10.2560 UTC | 2020/05/09 21:40:25.2434 UTC | 55950 |
|
|
|
|
|
Begin |
End | Number Profiles |
|---|---|---|
| 2020/05/09 21:40:25.2930 UTC | 2020/05/09 22:32:42.5604 UTC | 63255 |
|
|
|
|
|
















































































































