|
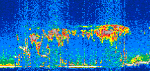
Displayed on this page are scaled, color-modulated, altitude-time images of CALIPSO attenuated backscatter (/km/sr) including:
- 532 nm total (parallel + perpendicular) attenuated backscatter
- 532 nm perpendicular attenuated backscatter
- 1064 nm total attenuated backscatter
The orbit track locations for the entire Level 1 .hdf file are in black and the orbit track locations corresponding to this page are color coded.
For the full scale images:
- the color bars for attenuated backscatter show the colors assigned to ranges of attenuated backscatter, /km/sr
- the horizontal axes are annotated with latitude (deg) and longitude (deg)
- the vertical axes are annotated to indicate altitude in kilometers
- the date and time of the measurements are listed as UTC time
- the names of the CALIPSO data products for the Lidar Level 1 attenuated backscatter granules are included
The scaled images on this page are organized by CALIPSO data product day and night orbit granules.
The maps with a shaded background indicate nightime measurements.
There are a maximum of 4 scaled images per granule.
The orbit tracks plotted on the maps show the measurement locations for each granule.
For each granule, the scaled images are ordered from left to right and their locations along the orbit tracks are color coded as: image one, image two, image three, image four.
Begin |
End | Number Profiles |
|---|---|---|
| 2020/05/11 00:49:12.0900 UTC | 2020/05/11 01:35:27.0763 UTC | 55950 |
|
|
|
|
|
Begin |
End | Number Profiles |
|---|---|---|
| 2020/05/11 01:35:27.1259 UTC | 2020/05/11 02:27:44.3944 UTC | 63255 |
|
|
|
|
|
Begin |
End | Number Profiles |
|---|---|---|
| 2020/05/11 02:27:44.4440 UTC | 2020/05/11 03:13:59.4304 UTC | 55950 |
|
|
|
|
|
Begin |
End | Number Profiles |
|---|---|---|
| 2020/05/11 03:13:59.4800 UTC | 2020/05/11 04:06:16.0033 UTC | 63240 |
|
|
|
|
|
Begin |
End | Number Profiles |
|---|---|---|
| 2020/05/11 04:06:16.0530 UTC | 2020/05/11 04:52:31.0404 UTC | 55950 |
|
|
|
|
|
Begin |
End | Number Profiles |
|---|---|---|
| 2020/05/11 04:52:31.0900 UTC | 2020/05/11 05:44:47.6124 UTC | 63240 |
|
|
|
|
|
Begin |
End | Number Profiles |
|---|---|---|
| 2020/05/11 05:44:47.6619 UTC | 2020/05/11 06:31:03.3934 UTC | 55965 |
|
|
|
|
|
Begin |
End | Number Profiles |
|---|---|---|
| 2020/05/11 06:31:03.4430 UTC | 2020/05/11 07:23:19.2214 UTC | 63225 |
|
|
|
|
|
Begin |
End | Number Profiles |
|---|---|---|
| 2020/05/11 07:23:19.2710 UTC | 2020/05/11 08:09:35.0004 UTC | 55965 |
|
|
|
|
|
Begin |
End | Number Profiles |
|---|---|---|
| 2020/05/11 08:09:35.0500 UTC | 2020/05/11 09:01:51.5703 UTC | 63240 |
|
|
|
|
|
Begin |
End | Number Profiles |
|---|---|---|
| 2020/05/11 09:01:51.6199 UTC | 2020/05/11 09:48:07.3484 UTC | 55965 |
|
|
|
|
|
Begin |
End | Number Profiles |
|---|---|---|
| 2020/05/11 09:48:07.3980 UTC | 2020/05/11 10:40:23.1764 UTC | 63225 |
|
|
|
|
|
Begin |
End | Number Profiles |
|---|---|---|
| 2020/05/11 10:40:23.2260 UTC | 2020/05/11 11:26:39.6994 UTC | 55980 |
|
|
|
|
|
Begin |
End | Number Profiles |
|---|---|---|
| 2020/05/11 11:26:39.7490 UTC | 2020/05/11 12:18:55.5274 UTC | 63225 |
|
|
|
|
|
Begin |
End | Number Profiles |
|---|---|---|
| 2020/05/11 12:18:55.5770 UTC | 2020/05/11 13:05:10.5654 UTC | 55950 |
|
|
|
|
|
Begin |
End | Number Profiles |
|---|---|---|
| 2020/05/11 13:05:10.6150 UTC | 2020/05/11 13:57:27.1384 UTC | 63240 |
|
|
|
|
|
Begin |
End | Number Profiles |
|---|---|---|
| 2020/05/11 13:57:27.1880 UTC | 2020/05/11 14:43:42.1764 UTC | 55950 |
|
|
|
|
|
Begin |
End | Number Profiles |
|---|---|---|
| 2020/05/11 14:43:42.2260 UTC | 2020/05/11 15:35:59.4944 UTC | 63255 |
|
|
|
|
|
Begin |
End | Number Profiles |
|---|---|---|
| 2020/05/11 15:35:59.5440 UTC | 2020/05/11 16:22:14.5303 UTC | 55950 |
|
|
|
|
|
Begin |
End | Number Profiles |
|---|---|---|
| 2020/05/11 16:22:14.5799 UTC | 2020/05/11 17:14:31.1024 UTC | 63240 |
|
|
|
|
|
Begin |
End | Number Profiles |
|---|---|---|
| 2020/05/11 17:14:31.1520 UTC | 2020/05/11 18:00:46.1383 UTC | 55950 |
|
|
|
|
|
Begin |
End | Number Profiles |
|---|---|---|
| 2020/05/11 18:00:46.1879 UTC | 2020/05/11 18:53:01.9673 UTC | 63225 |
|
|
|
|
|
Begin |
End | Number Profiles |
|---|---|---|
| 2020/05/11 18:53:02.0169 UTC | 2020/05/11 19:39:18.4923 UTC | 55980 |
|
|
|
|
|
Begin |
End | Number Profiles |
|---|---|---|
| 2020/05/11 19:39:18.5419 UTC | 2020/05/11 20:31:34.3203 UTC | 63225 |
|
|
|
|
|
Begin |
End | Number Profiles |
|---|---|---|
| 2020/05/11 20:31:34.3699 UTC | 2020/05/11 21:17:50.1003 UTC | 55965 |
|
|
|
|
|
Begin |
End | Number Profiles |
|---|---|---|
| 2020/05/11 21:17:50.1499 UTC | 2020/05/11 22:10:06.6713 UTC | 63240 |
|
|
|
|
|
Begin |
End | Number Profiles |
|---|---|---|
| 2020/05/11 22:10:06.7209 UTC | 2020/05/11 22:56:22.4503 UTC | 55965 |
|
|
|
|
|
Begin |
End | Number Profiles |
|---|---|---|
| 2020/05/11 22:56:22.5000 UTC | 2020/05/11 23:48:38.2784 UTC | 63225 |
|
|
|
|
|
Begin |
End | Number Profiles |
|---|---|---|
| 2020/05/11 23:48:38.3280 UTC | 2020/05/12 00:34:54.0594 UTC | 55965 |
|
|
|
|
|
























































































































