|
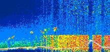
Displayed on this page are scaled, color-modulated, altitude-time images of CALIPSO attenuated backscatter (/km/sr) including:
- 532 nm total (parallel + perpendicular) attenuated backscatter
- 532 nm perpendicular attenuated backscatter
- 1064 nm total attenuated backscatter
The orbit track locations for the entire Level 1 .hdf file are in black and the orbit track locations corresponding to this page are color coded.
For the full scale images:
- the color bars for attenuated backscatter show the colors assigned to ranges of attenuated backscatter, /km/sr
- the horizontal axes are annotated with latitude (deg) and longitude (deg)
- the vertical axes are annotated to indicate altitude in kilometers
- the date and time of the measurements are listed as UTC time
- the names of the CALIPSO data products for the Lidar Level 1 attenuated backscatter granules are included
The scaled images on this page are organized by CALIPSO data product day and night orbit granules.
The maps with a shaded background indicate nightime measurements.
There are a maximum of 4 scaled images per granule.
The orbit tracks plotted on the maps show the measurement locations for each granule.
For each granule, the scaled images are ordered from left to right and their locations along the orbit tracks are color coded as: image one, image two, image three, image four.
Begin |
End | Number Profiles |
|---|---|---|
| 2020/05/25 00:35:41.2550 UTC | 2020/05/25 01:27:55.5374 UTC | 63195 |
|
|
|
|
|
Begin |
End | Number Profiles |
|---|---|---|
| 2020/05/25 01:27:55.5870 UTC | 2020/05/25 02:14:12.0534 UTC | 55980 |
|
|
|
|
|
Begin |
End | Number Profiles |
|---|---|---|
| 2020/05/25 02:14:12.1030 UTC | 2020/05/25 03:06:27.1273 UTC | 63210 |
|
|
|
|
|
Begin |
End | Number Profiles |
|---|---|---|
| 2020/05/25 03:06:27.1770 UTC | 2020/05/25 03:52:44.3874 UTC | 55995 |
|
|
|
|
|
Begin |
End | Number Profiles |
|---|---|---|
| 2020/05/25 03:52:44.4370 UTC | 2020/05/25 04:44:59.4623 UTC | 63210 |
|
|
|
|
|
Begin |
End | Number Profiles |
|---|---|---|
| 2020/05/25 04:44:59.5119 UTC | 2020/05/25 05:31:15.9774 UTC | 55980 |
|
|
|
|
|
Begin |
End | Number Profiles |
|---|---|---|
| 2020/05/25 05:31:16.0270 UTC | 2020/05/25 06:23:30.3063 UTC | 63195 |
|
|
|
|
|
Begin |
End | Number Profiles |
|---|---|---|
| 2020/05/25 06:23:30.3559 UTC | 2020/05/25 07:09:47.5654 UTC | 55995 |
|
|
|
|
|
Begin |
End | Number Profiles |
|---|---|---|
| 2020/05/25 07:09:47.6150 UTC | 2020/05/25 08:02:02.6394 UTC | 63210 |
|
|
|
|
|
Begin |
End | Number Profiles |
|---|---|---|
| 2020/05/25 08:02:02.6890 UTC | 2020/05/25 08:48:19.1544 UTC | 55980 |
|
|
|
|
|
Begin |
End | Number Profiles |
|---|---|---|
| 2020/05/25 08:48:19.2040 UTC | 2020/05/25 09:40:34.2284 UTC | 63210 |
|
|
|
|
|
Begin |
End | Number Profiles |
|---|---|---|
| 2020/05/25 09:40:34.2780 UTC | 2020/05/25 10:26:51.4874 UTC | 55995 |
|
|
|
|
|
Begin |
End | Number Profiles |
|---|---|---|
| 2020/05/25 10:26:51.5370 UTC | 2020/05/25 11:19:06.5624 UTC | 63210 |
|
|
|
|
|
Begin |
End | Number Profiles |
|---|---|---|
| 2020/05/25 11:19:06.6120 UTC | 2020/05/25 12:05:23.0794 UTC | 55980 |
|
|
|
|
|
Begin |
End | Number Profiles |
|---|---|---|
| 2020/05/25 12:05:23.1290 UTC | 2020/05/25 12:57:38.1533 UTC | 63210 |
|
|
|
|
|
Begin |
End | Number Profiles |
|---|---|---|
| 2020/05/25 12:57:38.2030 UTC | 2020/05/25 13:43:55.4123 UTC | 55995 |
|
|
|
|
|
Begin |
End | Number Profiles |
|---|---|---|
| 2020/05/25 13:43:55.4619 UTC | 2020/05/25 14:36:08.9994 UTC | 63180 |
|
|
|
|
|
Begin |
End | Number Profiles |
|---|---|---|
| 2020/05/25 14:36:09.0490 UTC | 2020/05/25 15:22:26.2583 UTC | 55995 |
|
|
|
|
|
Begin |
End | Number Profiles |
|---|---|---|
| 2020/05/25 15:22:26.3079 UTC | 2020/05/25 16:14:41.3314 UTC | 63210 |
|
|
|
|
|
Begin |
End | Number Profiles |
|---|---|---|
| 2020/05/25 16:14:41.3810 UTC | 2020/05/25 17:00:58.5884 UTC | 55995 |
|
|
|
|
|
Begin |
End | Number Profiles |
|---|---|---|
| 2020/05/25 17:00:58.6380 UTC | 2020/05/25 17:53:13.6603 UTC | 63210 |
|
|
|
|
|
Begin |
End | Number Profiles |
|---|---|---|
| 2020/05/25 17:53:13.7099 UTC | 2020/05/25 18:39:30.1733 UTC | 55980 |
|
|
|
|
|
Begin |
End | Number Profiles |
|---|---|---|
| 2020/05/25 18:39:30.2229 UTC | 2020/05/25 19:31:45.2474 UTC | 63210 |
|
|
|
|
|
Begin |
End | Number Profiles |
|---|---|---|
| 2020/05/25 19:31:45.2970 UTC | 2020/05/25 20:18:02.5064 UTC | 55995 |
|
|
|
|
|
Begin |
End | Number Profiles |
|---|---|---|
| 2020/05/25 20:18:02.5560 UTC | 2020/05/25 21:10:16.0924 UTC | 63180 |
|
|
|
|
|
Begin |
End | Number Profiles |
|---|---|---|
| 2020/05/25 21:10:16.1420 UTC | 2020/05/25 21:56:33.3513 UTC | 55995 |
|
|
|
|
|
Begin |
End | Number Profiles |
|---|---|---|
| 2020/05/25 21:56:33.4009 UTC | 2020/05/25 22:48:48.4254 UTC | 63210 |
|
|
|
|
|
Begin |
End | Number Profiles |
|---|---|---|
| 2020/05/25 22:48:48.4750 UTC | 2020/05/25 23:35:05.6854 UTC | 55995 |
|
|
|
|
|
Begin |
End | Number Profiles |
|---|---|---|
| 2020/05/25 23:35:05.7350 UTC | 2020/05/26 00:27:20.0164 UTC | 63195 |
|
|
|
|
|
























































































































