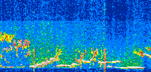
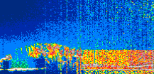
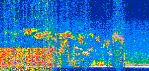
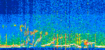
|
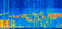
Displayed on this page are scaled, color-modulated, altitude-time images of CALIPSO attenuated backscatter (/km/sr) including:
- 532 nm total (parallel + perpendicular) attenuated backscatter
- 532 nm perpendicular attenuated backscatter
- 1064 nm total attenuated backscatter
The orbit track locations for the entire Level 1 .hdf file are in black and the orbit track locations corresponding to this page are color coded.
For the full scale images:
- the color bars for attenuated backscatter show the colors assigned to ranges of attenuated backscatter, /km/sr
- the horizontal axes are annotated with latitude (deg) and longitude (deg)
- the vertical axes are annotated to indicate altitude in kilometers
- the date and time of the measurements are listed as UTC time
- the names of the CALIPSO data products for the Lidar Level 1 attenuated backscatter granules are included
The scaled images on this page are organized by CALIPSO data product day and night orbit granules.
The maps with a shaded background indicate nightime measurements.
There are a maximum of 4 scaled images per granule.
The orbit tracks plotted on the maps show the measurement locations for each granule.
For each granule, the scaled images are ordered from left to right and their locations along the orbit tracks are color coded as: image one, image two, image three, image four.
Begin |
End | Number Profiles |
|---|---|---|
| 2020/05/29 00:42:36.6630 UTC | 2020/05/29 01:28:54.6144 UTC | 56010 |
|
|
|
|
|
Begin |
End | Number Profiles |
|---|---|---|
| 2020/05/29 01:28:54.6640 UTC | 2020/05/29 02:21:08.1994 UTC | 63180 |
|
|
|
|
|
Begin |
End | Number Profiles |
|---|---|---|
| 2020/05/29 02:21:08.2490 UTC | 2020/05/29 03:07:25.4564 UTC | 55995 |
|
|
|
|
|
Begin |
End | Number Profiles |
|---|---|---|
| 2020/05/29 03:07:25.5049 UTC | 2020/05/29 03:59:40.5274 UTC | 63210 |
|
|
|
|
|
Begin |
End | Number Profiles |
|---|---|---|
| 2020/05/29 03:59:40.5770 UTC | 2020/05/29 04:45:57.0404 UTC | 55980 |
|
|
|
|
|
Begin |
End | Number Profiles |
|---|---|---|
| 2020/05/29 04:45:57.0900 UTC | 2020/05/29 05:38:11.3684 UTC | 63195 |
|
|
|
|
|
Begin |
End | Number Profiles |
|---|---|---|
| 2020/05/29 05:38:11.4180 UTC | 2020/05/29 06:24:29.3684 UTC | 56010 |
|
|
|
|
|
Begin |
End | Number Profiles |
|---|---|---|
| 2020/05/29 06:24:29.4180 UTC | 2020/05/29 07:16:43.6954 UTC | 63195 |
|
|
|
|
|
Begin |
End | Number Profiles |
|---|---|---|
| 2020/05/29 07:16:43.7450 UTC | 2020/05/29 08:03:00.2064 UTC | 55980 |
|
|
|
|
|
Begin |
End | Number Profiles |
|---|---|---|
| 2020/05/29 08:03:00.2560 UTC | 2020/05/29 08:55:15.2773 UTC | 63210 |
|
|
|
|
|
Begin |
End | Number Profiles |
|---|---|---|
| 2020/05/29 08:55:15.3269 UTC | 2020/05/29 09:41:32.5334 UTC | 55995 |
|
|
|
|
|
Begin |
End | Number Profiles |
|---|---|---|
| 2020/05/29 09:41:32.5830 UTC | 2020/05/29 10:33:47.6034 UTC | 63210 |
|
|
|
|
|
Begin |
End | Number Profiles |
|---|---|---|
| 2020/05/29 10:33:47.6530 UTC | 2020/05/29 11:20:04.1164 UTC | 55980 |
|
|
|
|
|
Begin |
End | Number Profiles |
|---|---|---|
| 2020/05/29 11:20:04.1660 UTC | 2020/05/29 12:12:18.4454 UTC | 63195 |
|
|
|
|
|
Begin |
End | Number Profiles |
|---|---|---|
| 2020/05/29 12:12:18.4950 UTC | 2020/05/29 12:58:36.4463 UTC | 56010 |
|
|
|
|
|
Begin |
End | Number Profiles |
|---|---|---|
| 2020/05/29 12:58:36.4959 UTC | 2020/05/29 13:50:50.0314 UTC | 63180 |
|
|
|
|
|
Begin |
End | Number Profiles |
|---|---|---|
| 2020/05/29 13:50:50.0810 UTC | 2020/05/29 14:37:07.2894 UTC | 55995 |
|
|
|
|
|
Begin |
End | Number Profiles |
|---|---|---|
| 2020/05/29 14:37:07.3390 UTC | 2020/05/29 15:29:22.3633 UTC | 63210 |
|
|
|
|
|
Begin |
End | Number Profiles |
|---|---|---|
| 2020/05/29 15:29:22.4129 UTC | 2020/05/29 16:15:39.6204 UTC | 55995 |
|
|
|
|
|
Begin |
End | Number Profiles |
|---|---|---|
| 2020/05/29 16:15:39.6700 UTC | 2020/05/29 17:07:53.2064 UTC | 63180 |
|
|
|
|
|
Begin |
End | Number Profiles |
|---|---|---|
| 2020/05/29 17:07:53.2560 UTC | 2020/05/29 17:54:11.2084 UTC | 56010 |
|
|
|
|
|
Begin |
End | Number Profiles |
|---|---|---|
| 2020/05/29 17:54:11.2580 UTC | 2020/05/29 18:46:25.5374 UTC | 63195 |
|
|
|
|
|
Begin |
End | Number Profiles |
|---|---|---|
| 2020/05/29 18:46:25.5870 UTC | 2020/05/29 19:32:43.5393 UTC | 56010 |
|
|
|
|
|
Begin |
End | Number Profiles |
|---|---|---|
| 2020/05/29 19:32:43.5889 UTC | 2020/05/29 20:24:57.1243 UTC | 63180 |
|
|
|
|
|
Begin |
End | Number Profiles |
|---|---|---|
| 2020/05/29 20:24:57.1739 UTC | 2020/05/29 21:11:14.3804 UTC | 55995 |
|
|
|
|
|
Begin |
End | Number Profiles |
|---|---|---|
| 2020/05/29 21:11:14.4300 UTC | 2020/05/29 22:03:29.4524 UTC | 63210 |
|
|
|
|
|
Begin |
End | Number Profiles |
|---|---|---|
| 2020/05/29 22:03:29.5020 UTC | 2020/05/29 22:49:45.9644 UTC | 55980 |
|
|
|
|
|
Begin |
End | Number Profiles |
|---|---|---|
| 2020/05/29 22:49:46.0140 UTC | 2020/05/29 23:42:00.2924 UTC | 63195 |
|
|
|
|
|




















































































































