|
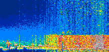
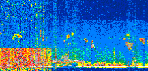
Displayed on this page are scaled, color-modulated, altitude-time images of CALIPSO attenuated backscatter (/km/sr) including:
- 532 nm total (parallel + perpendicular) attenuated backscatter
- 532 nm perpendicular attenuated backscatter
- 1064 nm total attenuated backscatter
The orbit track locations for the entire Level 1 .hdf file are in black and the orbit track locations corresponding to this page are color coded.
For the full scale images:
- the color bars for attenuated backscatter show the colors assigned to ranges of attenuated backscatter, /km/sr
- the horizontal axes are annotated with latitude (deg) and longitude (deg)
- the vertical axes are annotated to indicate altitude in kilometers
- the date and time of the measurements are listed as UTC time
- the names of the CALIPSO data products for the Lidar Level 1 attenuated backscatter granules are included
The scaled images on this page are organized by CALIPSO data product day and night orbit granules.
The maps with a shaded background indicate nightime measurements.
There are a maximum of 4 scaled images per granule.
The orbit tracks plotted on the maps show the measurement locations for each granule.
For each granule, the scaled images are ordered from left to right and their locations along the orbit tracks are color coded as: image one, image two, image three, image four.
Begin |
End | Number Profiles |
|---|---|---|
| 2020/06/03 00:35:10.4100 UTC | 2020/06/03 01:21:28.3584 UTC | 56010 |
|
|
|
|
|
Begin |
End | Number Profiles |
|---|---|---|
| 2020/06/03 01:21:28.4080 UTC | 2020/06/03 02:13:42.6834 UTC | 63195 |
|
|
|
|
|
Begin |
End | Number Profiles |
|---|---|---|
| 2020/06/03 02:13:42.7330 UTC | 2020/06/03 03:00:00.6814 UTC | 56010 |
|
|
|
|
|
Begin |
End | Number Profiles |
|---|---|---|
| 2020/06/03 03:00:00.7310 UTC | 2020/06/03 03:52:14.2624 UTC | 63180 |
|
|
|
|
|
Begin |
End | Number Profiles |
|---|---|---|
| 2020/06/03 03:52:14.3120 UTC | 2020/06/03 04:38:31.5154 UTC | 55995 |
|
|
|
|
|
Begin |
End | Number Profiles |
|---|---|---|
| 2020/06/03 04:38:31.5650 UTC | 2020/06/03 05:30:45.0964 UTC | 63180 |
|
|
|
|
|
Begin |
End | Number Profiles |
|---|---|---|
| 2020/06/03 05:30:45.1460 UTC | 2020/06/03 06:17:03.0944 UTC | 56010 |
|
|
|
|
|
Begin |
End | Number Profiles |
|---|---|---|
| 2020/06/03 06:17:03.1440 UTC | 2020/06/03 07:09:17.4203 UTC | 63195 |
|
|
|
|
|
Begin |
End | Number Profiles |
|---|---|---|
| 2020/06/03 07:09:17.4699 UTC | 2020/06/03 07:55:35.4174 UTC | 56010 |
|
|
|
|
|
Begin |
End | Number Profiles |
|---|---|---|
| 2020/06/03 07:55:35.4670 UTC | 2020/06/03 08:47:48.9973 UTC | 63180 |
|
|
|
|
|
Begin |
End | Number Profiles |
|---|---|---|
| 2020/06/03 08:47:49.0469 UTC | 2020/06/03 09:34:06.9934 UTC | 56010 |
|
|
|
|
|
Begin |
End | Number Profiles |
|---|---|---|
| 2020/06/03 09:34:07.0430 UTC | 2020/06/03 10:26:20.5754 UTC | 63180 |
|
|
|
|
|
Begin |
End | Number Profiles |
|---|---|---|
| 2020/06/03 10:26:20.6250 UTC | 2020/06/03 11:12:38.5764 UTC | 56010 |
|
|
|
|
|
Begin |
End | Number Profiles |
|---|---|---|
| 2020/06/03 11:12:38.6260 UTC | 2020/06/03 12:04:52.1653 UTC | 63180 |
|
|
|
|
|
Begin |
End | Number Profiles |
|---|---|---|
| 2020/06/03 12:04:52.2150 UTC | 2020/06/03 12:51:10.1714 UTC | 56010 |
|
|
|
|
|
Begin |
End | Number Profiles |
|---|---|---|
| 2020/06/03 12:51:10.2210 UTC | 2020/06/03 13:43:24.5084 UTC | 63195 |
|
|
|
|
|
Begin |
End | Number Profiles |
|---|---|---|
| 2020/06/03 13:43:24.5580 UTC | 2020/06/03 14:29:42.5184 UTC | 56010 |
|
|
|
|
|
Begin |
End | Number Profiles |
|---|---|---|
| 2020/06/03 14:29:42.5680 UTC | 2020/06/03 15:21:55.3674 UTC | 63165 |
|
|
|
|
|
Begin |
End | Number Profiles |
|---|---|---|
| 2020/06/03 15:21:55.4170 UTC | 2020/06/03 16:08:13.3744 UTC | 56010 |
|
|
|
|
|
Begin |
End | Number Profiles |
|---|---|---|
| 2020/06/03 16:08:13.4240 UTC | 2020/06/03 17:00:26.9654 UTC | 63180 |
|
|
|
|
|
Begin |
End | Number Profiles |
|---|---|---|
| 2020/06/03 17:00:27.0150 UTC | 2020/06/03 17:46:44.9704 UTC | 56010 |
|
|
|
|
|
Begin |
End | Number Profiles |
|---|---|---|
| 2020/06/03 17:46:45.0190 UTC | 2020/06/03 18:38:59.3014 UTC | 63195 |
|
|
|
|
|
Begin |
End | Number Profiles |
|---|---|---|
| 2020/06/03 18:38:59.3510 UTC | 2020/06/03 19:25:17.3044 UTC | 56010 |
|
|
|
|
|
Begin |
End | Number Profiles |
|---|---|---|
| 2020/06/03 19:25:17.3540 UTC | 2020/06/03 20:17:30.1474 UTC | 63165 |
|
|
|
|
|
Begin |
End | Number Profiles |
|---|---|---|
| 2020/06/03 20:17:30.1970 UTC | 2020/06/03 21:03:48.1494 UTC | 56010 |
|
|
|
|
|
Begin |
End | Number Profiles |
|---|---|---|
| 2020/06/03 21:03:48.1990 UTC | 2020/06/03 21:56:02.4773 UTC | 63195 |
|
|
|
|
|
Begin |
End | Number Profiles |
|---|---|---|
| 2020/06/03 21:56:02.5269 UTC | 2020/06/03 22:42:20.4764 UTC | 56010 |
|
|
|
|
|
Begin |
End | Number Profiles |
|---|---|---|
| 2020/06/03 22:42:20.5260 UTC | 2020/06/03 23:34:34.0594 UTC | 63180 |
|
|
|
|
|
Begin |
End | Number Profiles |
|---|---|---|
| 2020/06/03 23:34:34.1090 UTC | 2020/06/04 00:20:52.0583 UTC | 56010 |
|
|
|
|
|
























































































































