|
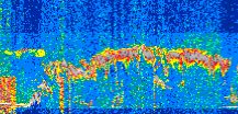
Displayed on this page are scaled, color-modulated, altitude-time images of CALIPSO attenuated backscatter (/km/sr) including:
- 532 nm total (parallel + perpendicular) attenuated backscatter
- 532 nm perpendicular attenuated backscatter
- 1064 nm total attenuated backscatter
The orbit track locations for the entire Level 1 .hdf file are in black and the orbit track locations corresponding to this page are color coded.
For the full scale images:
- the color bars for attenuated backscatter show the colors assigned to ranges of attenuated backscatter, /km/sr
- the horizontal axes are annotated with latitude (deg) and longitude (deg)
- the vertical axes are annotated to indicate altitude in kilometers
- the date and time of the measurements are listed as UTC time
- the names of the CALIPSO data products for the Lidar Level 1 attenuated backscatter granules are included
The scaled images on this page are organized by CALIPSO data product day and night orbit granules.
The maps with a shaded background indicate nightime measurements.
There are a maximum of 4 scaled images per granule.
The orbit tracks plotted on the maps show the measurement locations for each granule.
For each granule, the scaled images are ordered from left to right and their locations along the orbit tracks are color coded as: image one, image two, image three, image four.
Begin |
End | Number Profiles |
|---|---|---|
| 2020/06/05 00:12:29.2660 UTC | 2020/06/05 00:58:47.2144 UTC | 56010 |
|
|
|
|
|
Begin |
End | Number Profiles |
|---|---|---|
| 2020/06/05 00:58:47.2640 UTC | 2020/06/05 01:51:00.0523 UTC | 63165 |
|
|
|
|
|
Begin |
End | Number Profiles |
|---|---|---|
| 2020/06/05 01:51:00.1019 UTC | 2020/06/05 02:37:18.0484 UTC | 56010 |
|
|
|
|
|
Begin |
End | Number Profiles |
|---|---|---|
| 2020/06/05 02:37:18.0980 UTC | 2020/06/05 03:29:32.3734 UTC | 63195 |
|
|
|
|
|
Begin |
End | Number Profiles |
|---|---|---|
| 2020/06/05 03:29:32.4230 UTC | 2020/06/05 04:15:50.3704 UTC | 56010 |
|
|
|
|
|
Begin |
End | Number Profiles |
|---|---|---|
| 2020/06/05 04:15:50.4200 UTC | 2020/06/05 05:08:03.2064 UTC | 63165 |
|
|
|
|
|
Begin |
End | Number Profiles |
|---|---|---|
| 2020/06/05 05:08:03.2560 UTC | 2020/06/05 05:54:22.6913 UTC | 56040 |
|
|
|
|
|
Begin |
End | Number Profiles |
|---|---|---|
| 2020/06/05 05:54:22.7409 UTC | 2020/06/05 06:46:35.5264 UTC | 63165 |
|
|
|
|
|
Begin |
End | Number Profiles |
|---|---|---|
| 2020/06/05 06:46:35.5760 UTC | 2020/06/05 07:32:53.5223 UTC | 56010 |
|
|
|
|
|
Begin |
End | Number Profiles |
|---|---|---|
| 2020/06/05 07:32:53.5719 UTC | 2020/06/05 08:25:07.1004 UTC | 63180 |
|
|
|
|
|
Begin |
End | Number Profiles |
|---|---|---|
| 2020/06/05 08:25:07.1500 UTC | 2020/06/05 09:11:25.0944 UTC | 56010 |
|
|
|
|
|
Begin |
End | Number Profiles |
|---|---|---|
| 2020/06/05 09:11:25.1440 UTC | 2020/06/05 10:03:39.4164 UTC | 63195 |
|
|
|
|
|
Begin |
End | Number Profiles |
|---|---|---|
| 2020/06/05 10:03:39.4660 UTC | 2020/06/05 10:49:57.4124 UTC | 56010 |
|
|
|
|
|
Begin |
End | Number Profiles |
|---|---|---|
| 2020/06/05 10:49:57.4620 UTC | 2020/06/05 11:42:10.2494 UTC | 63165 |
|
|
|
|
|
Begin |
End | Number Profiles |
|---|---|---|
| 2020/06/05 11:42:10.2990 UTC | 2020/06/05 12:28:28.2464 UTC | 56010 |
|
|
|
|
|
Begin |
End | Number Profiles |
|---|---|---|
| 2020/06/05 12:28:28.2960 UTC | 2020/06/05 13:20:42.5724 UTC | 63195 |
|
|
|
|
|
Begin |
End | Number Profiles |
|---|---|---|
| 2020/06/05 13:20:42.6220 UTC | 2020/06/05 14:07:00.5713 UTC | 56010 |
|
|
|
|
|
Begin |
End | Number Profiles |
|---|---|---|
| 2020/06/05 14:07:00.6209 UTC | 2020/06/05 14:59:14.1533 UTC | 63180 |
|
|
|
|
|
Begin |
End | Number Profiles |
|---|---|---|
| 2020/06/05 14:59:14.2029 UTC | 2020/06/05 15:45:32.1524 UTC | 56010 |
|
|
|
|
|
Begin |
End | Number Profiles |
|---|---|---|
| 2020/06/05 15:45:32.2020 UTC | 2020/06/05 16:37:44.9903 UTC | 63165 |
|
|
|
|
|
Begin |
End | Number Profiles |
|---|---|---|
| 2020/06/05 16:37:45.0399 UTC | 2020/06/05 17:24:02.9873 UTC | 56010 |
|
|
|
|
|
Begin |
End | Number Profiles |
|---|---|---|
| 2020/06/05 17:24:03.0370 UTC | 2020/06/05 18:16:17.3104 UTC | 63195 |
|
|
|
|
|
Begin |
End | Number Profiles |
|---|---|---|
| 2020/06/05 18:16:17.3600 UTC | 2020/06/05 19:02:35.3063 UTC | 56010 |
|
|
|
|
|
Begin |
End | Number Profiles |
|---|---|---|
| 2020/06/05 19:02:35.3560 UTC | 2020/06/05 19:54:48.1414 UTC | 63165 |
|
|
|
|
|
Begin |
End | Number Profiles |
|---|---|---|
| 2020/06/05 19:54:48.1910 UTC | 2020/06/05 20:41:07.6244 UTC | 56040 |
|
|
|
|
|
Begin |
End | Number Profiles |
|---|---|---|
| 2020/06/05 20:41:07.6740 UTC | 2020/06/05 21:33:20.4584 UTC | 63165 |
|
|
|
|
|
Begin |
End | Number Profiles |
|---|---|---|
| 2020/06/05 21:33:20.5080 UTC | 2020/06/05 22:19:38.4524 UTC | 56010 |
|
|
|
|
|
Begin |
End | Number Profiles |
|---|---|---|
| 2020/06/05 22:19:38.5020 UTC | 2020/06/05 23:11:52.0314 UTC | 63180 |
|
|
|
|
|
Begin |
End | Number Profiles |
|---|---|---|
| 2020/06/05 23:11:52.0810 UTC | 2020/06/05 23:58:10.0273 UTC | 56010 |
|
|
|
|
|
Begin |
End | Number Profiles |
|---|---|---|
| 2020/06/05 23:58:10.0769 UTC | 2020/06/06 00:50:23.6074 UTC | 63180 |
|
|
|
|
|




























































































































