|
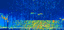
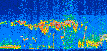
Displayed on this page are scaled, color-modulated, altitude-time images of CALIPSO attenuated backscatter (/km/sr) including:
- 532 nm total (parallel + perpendicular) attenuated backscatter
- 532 nm perpendicular attenuated backscatter
- 1064 nm total attenuated backscatter
The orbit track locations for the entire Level 1 .hdf file are in black and the orbit track locations corresponding to this page are color coded.
For the full scale images:
- the color bars for attenuated backscatter show the colors assigned to ranges of attenuated backscatter, /km/sr
- the horizontal axes are annotated with latitude (deg) and longitude (deg)
- the vertical axes are annotated to indicate altitude in kilometers
- the date and time of the measurements are listed as UTC time
- the names of the CALIPSO data products for the Lidar Level 1 attenuated backscatter granules are included
The scaled images on this page are organized by CALIPSO data product day and night orbit granules.
The maps with a shaded background indicate nightime measurements.
There are a maximum of 4 scaled images per granule.
The orbit tracks plotted on the maps show the measurement locations for each granule.
For each granule, the scaled images are ordered from left to right and their locations along the orbit tracks are color coded as: image one, image two, image three, image four.
Begin |
End | Number Profiles |
|---|---|---|
| 2020/06/08 00:27:41.5739 UTC | 2020/06/08 01:13:59.5214 UTC | 56010 |
|
|
|
|
|
Begin |
End | Number Profiles |
|---|---|---|
| 2020/06/08 01:13:59.5710 UTC | 2020/06/08 02:06:13.1013 UTC | 63180 |
|
|
|
|
|
Begin |
End | Number Profiles |
|---|---|---|
| 2020/06/08 02:06:13.1509 UTC | 2020/06/08 02:52:31.0964 UTC | 56010 |
|
|
|
|
|
Begin |
End | Number Profiles |
|---|---|---|
| 2020/06/08 02:52:31.1460 UTC | 2020/06/08 03:44:44.6743 UTC | 63180 |
|
|
|
|
|
Begin |
End | Number Profiles |
|---|---|---|
| 2020/06/08 03:44:44.7239 UTC | 2020/06/08 04:31:03.4124 UTC | 50925 |
|
|
|
|
|
Begin |
End | Number Profiles |
|---|---|---|
| 2020/06/08 04:31:03.4620 UTC | 2020/06/08 05:23:16.2454 UTC | 63165 |
|
|
|
|
|
Begin |
End | Number Profiles |
|---|---|---|
| 2020/06/08 05:23:16.2950 UTC | 2020/06/08 06:09:34.2393 UTC | 56010 |
|
|
|
|
|
Begin |
End | Number Profiles |
|---|---|---|
| 2020/06/08 06:09:34.2889 UTC | 2020/06/08 07:01:47.0734 UTC | 63165 |
|
|
|
|
|
Begin |
End | Number Profiles |
|---|---|---|
| 2020/06/08 07:01:47.1230 UTC | 2020/06/08 07:48:06.5544 UTC | 56040 |
|
|
|
|
|
Begin |
End | Number Profiles |
|---|---|---|
| 2020/06/08 07:48:06.6040 UTC | 2020/06/08 08:40:19.3864 UTC | 63165 |
|
|
|
|
|
Begin |
End | Number Profiles |
|---|---|---|
| 2020/06/08 08:40:19.4360 UTC | 2020/06/08 09:26:37.3793 UTC | 56010 |
|
|
|
|
|
Begin |
End | Number Profiles |
|---|---|---|
| 2020/06/08 09:26:37.4289 UTC | 2020/06/08 10:18:51.7013 UTC | 63195 |
|
|
|
|
|
Begin |
End | Number Profiles |
|---|---|---|
| 2020/06/08 10:18:51.7509 UTC | 2020/06/08 11:05:09.6964 UTC | 56010 |
|
|
|
|
|
Begin |
End | Number Profiles |
|---|---|---|
| 2020/06/08 11:05:09.7460 UTC | 2020/06/08 11:57:22.5313 UTC | 63165 |
|
|
|
|
|
Begin |
End | Number Profiles |
|---|---|---|
| 2020/06/08 11:57:22.5810 UTC | 2020/06/08 12:43:41.2714 UTC | 56025 |
|
|
|
|
|
Begin |
End | Number Profiles |
|---|---|---|
| 2020/06/08 12:43:41.3210 UTC | 2020/06/08 13:35:54.1074 UTC | 63165 |
|
|
|
|
|
Begin |
End | Number Profiles |
|---|---|---|
| 2020/06/08 13:35:54.1570 UTC | 2020/06/08 14:22:12.1044 UTC | 56010 |
|
|
|
|
|
Begin |
End | Number Profiles |
|---|---|---|
| 2020/06/08 14:22:12.1540 UTC | 2020/06/08 15:14:26.4273 UTC | 63195 |
|
|
|
|
|
Begin |
End | Number Profiles |
|---|---|---|
| 2020/06/08 15:14:26.4769 UTC | 2020/06/08 16:00:44.4234 UTC | 56010 |
|
|
|
|
|
Begin |
End | Number Profiles |
|---|---|---|
| 2020/06/08 16:00:44.4730 UTC | 2020/06/08 16:52:57.2574 UTC | 63165 |
|
|
|
|
|
Begin |
End | Number Profiles |
|---|---|---|
| 2020/06/08 16:52:57.3070 UTC | 2020/06/08 17:39:15.2523 UTC | 56010 |
|
|
|
|
|
Begin |
End | Number Profiles |
|---|---|---|
| 2020/06/08 17:39:15.3020 UTC | 2020/06/08 18:31:29.5734 UTC | 63195 |
|
|
|
|
|
Begin |
End | Number Profiles |
|---|---|---|
| 2020/06/08 18:31:29.6230 UTC | 2020/06/08 19:17:47.5664 UTC | 56010 |
|
|
|
|
|
Begin |
End | Number Profiles |
|---|---|---|
| 2020/06/08 19:17:47.6160 UTC | 2020/06/08 20:10:00.3983 UTC | 63165 |
|
|
|
|
|
Begin |
End | Number Profiles |
|---|---|---|
| 2020/06/08 20:10:00.4479 UTC | 2020/06/08 20:56:19.1364 UTC | 56025 |
|
|
|
|
|
Begin |
End | Number Profiles |
|---|---|---|
| 2020/06/08 20:56:19.1849 UTC | 2020/06/08 21:48:31.9674 UTC | 63165 |
|
|
|
|
|
Begin |
End | Number Profiles |
|---|---|---|
| 2020/06/08 21:48:32.0170 UTC | 2020/06/08 22:34:51.4483 UTC | 56040 |
|
|
|
|
|
Begin |
End | Number Profiles |
|---|---|---|
| 2020/06/08 22:34:51.4979 UTC | 2020/06/08 23:27:04.2813 UTC | 63165 |
|
|
|
|
|
Begin |
End | Number Profiles |
|---|---|---|
| 2020/06/08 23:27:04.3309 UTC | 2020/06/09 00:13:22.2763 UTC | 56010 |
|
|
|
|
|
























































































































