|
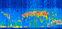
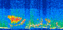
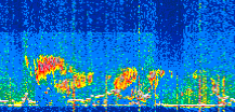
Displayed on this page are scaled, color-modulated, altitude-time images of CALIPSO attenuated backscatter (/km/sr) including:
- 532 nm total (parallel + perpendicular) attenuated backscatter
- 532 nm perpendicular attenuated backscatter
- 1064 nm total attenuated backscatter
The orbit track locations for the entire Level 1 .hdf file are in black and the orbit track locations corresponding to this page are color coded.
For the full scale images:
- the color bars for attenuated backscatter show the colors assigned to ranges of attenuated backscatter, /km/sr
- the horizontal axes are annotated with latitude (deg) and longitude (deg)
- the vertical axes are annotated to indicate altitude in kilometers
- the date and time of the measurements are listed as UTC time
- the names of the CALIPSO data products for the Lidar Level 1 attenuated backscatter granules are included
The scaled images on this page are organized by CALIPSO data product day and night orbit granules.
The maps with a shaded background indicate nightime measurements.
There are a maximum of 4 scaled images per granule.
The orbit tracks plotted on the maps show the measurement locations for each granule.
For each granule, the scaled images are ordered from left to right and their locations along the orbit tracks are color coded as: image one, image two, image three, image four.
Begin |
End | Number Profiles |
|---|---|---|
| 2020/06/14 00:05:49.7159 UTC | 2020/06/14 00:58:02.4944 UTC | 63165 |
|
|
|
|
|
Begin |
End | Number Profiles |
|---|---|---|
| 2020/06/14 00:58:02.5440 UTC | 2020/06/14 01:44:21.2284 UTC | 56025 |
|
|
|
|
|
Begin |
End | Number Profiles |
|---|---|---|
| 2020/06/14 01:44:21.2780 UTC | 2020/06/14 02:36:33.3143 UTC | 63150 |
|
|
|
|
|
Begin |
End | Number Profiles |
|---|---|---|
| 2020/06/14 02:36:33.3639 UTC | 2020/06/14 03:22:52.0483 UTC | 56025 |
|
|
|
|
|
Begin |
End | Number Profiles |
|---|---|---|
| 2020/06/14 03:22:52.0979 UTC | 2020/06/14 04:15:05.6214 UTC | 63180 |
|
|
|
|
|
Begin |
End | Number Profiles |
|---|---|---|
| 2020/06/14 04:15:05.6710 UTC | 2020/06/14 05:01:24.3554 UTC | 56025 |
|
|
|
|
|
Begin |
End | Number Profiles |
|---|---|---|
| 2020/06/14 05:01:24.4050 UTC | 2020/06/14 05:53:36.4404 UTC | 63150 |
|
|
|
|
|
Begin |
End | Number Profiles |
|---|---|---|
| 2020/06/14 05:53:36.4900 UTC | 2020/06/14 06:39:55.1744 UTC | 56025 |
|
|
|
|
|
Begin |
End | Number Profiles |
|---|---|---|
| 2020/06/14 06:39:55.2240 UTC | 2020/06/14 07:32:08.0033 UTC | 63165 |
|
|
|
|
|
Begin |
End | Number Profiles |
|---|---|---|
| 2020/06/14 07:32:08.0529 UTC | 2020/06/14 08:18:27.4814 UTC | 56040 |
|
|
|
|
|
Begin |
End | Number Profiles |
|---|---|---|
| 2020/06/14 08:18:27.5310 UTC | 2020/06/14 09:10:40.3114 UTC | 63165 |
|
|
|
|
|
Begin |
End | Number Profiles |
|---|---|---|
| 2020/06/14 09:10:40.3610 UTC | 2020/06/14 09:56:59.0474 UTC | 56025 |
|
|
|
|
|
Begin |
End | Number Profiles |
|---|---|---|
| 2020/06/14 09:56:59.0970 UTC | 2020/06/14 10:49:11.1334 UTC | 63150 |
|
|
|
|
|
Begin |
End | Number Profiles |
|---|---|---|
| 2020/06/14 10:49:11.1830 UTC | 2020/06/14 11:35:30.6133 UTC | 56040 |
|
|
|
|
|
Begin |
End | Number Profiles |
|---|---|---|
| 2020/06/14 11:35:30.6629 UTC | 2020/06/14 12:27:43.4454 UTC | 63165 |
|
|
|
|
|
Begin |
End | Number Profiles |
|---|---|---|
| 2020/06/14 12:27:43.4950 UTC | 2020/06/14 13:14:02.1824 UTC | 56025 |
|
|
|
|
|
Begin |
End | Number Profiles |
|---|---|---|
| 2020/06/14 13:14:02.2320 UTC | 2020/06/14 14:06:15.0144 UTC | 63165 |
|
|
|
|
|
Begin |
End | Number Profiles |
|---|---|---|
| 2020/06/14 14:06:15.0639 UTC | 2020/06/14 14:52:33.0074 UTC | 56010 |
|
|
|
|
|
Begin |
End | Number Profiles |
|---|---|---|
| 2020/06/14 14:52:33.0570 UTC | 2020/06/14 15:44:46.5813 UTC | 63180 |
|
|
|
|
|
Begin |
End | Number Profiles |
|---|---|---|
| 2020/06/14 15:44:46.6309 UTC | 2020/06/14 16:31:05.3174 UTC | 56025 |
|
|
|
|
|
Begin |
End | Number Profiles |
|---|---|---|
| 2020/06/14 16:31:05.3670 UTC | 2020/06/14 17:23:18.1464 UTC | 63165 |
|
|
|
|
|
Begin |
End | Number Profiles |
|---|---|---|
| 2020/06/14 17:23:18.1960 UTC | 2020/06/14 18:09:36.1363 UTC | 56010 |
|
|
|
|
|
Begin |
End | Number Profiles |
|---|---|---|
| 2020/06/14 18:09:36.1859 UTC | 2020/06/14 19:01:48.9654 UTC | 63165 |
|
|
|
|
|
Begin |
End | Number Profiles |
|---|---|---|
| 2020/06/14 19:01:49.0150 UTC | 2020/06/14 19:48:08.4423 UTC | 56040 |
|
|
|
|
|
Begin |
End | Number Profiles |
|---|---|---|
| 2020/06/14 19:48:08.4919 UTC | 2020/06/14 20:40:21.2704 UTC | 63165 |
|
|
|
|
|
Begin |
End | Number Profiles |
|---|---|---|
| 2020/06/14 20:40:21.3200 UTC | 2020/06/14 21:26:40.0024 UTC | 56025 |
|
|
|
|
|
Begin |
End | Number Profiles |
|---|---|---|
| 2020/06/14 21:26:40.0520 UTC | 2020/06/14 22:18:52.0854 UTC | 63150 |
|
|
|
|
|
Begin |
End | Number Profiles |
|---|---|---|
| 2020/06/14 22:18:52.1350 UTC | 2020/06/14 23:05:11.5613 UTC | 56040 |
|
|
|
|
|
Begin |
End | Number Profiles |
|---|---|---|
| 2020/06/14 23:05:11.6109 UTC | 2020/06/14 23:57:24.3883 UTC | 63165 |
|
|
|
|
|
Begin |
End | Number Profiles |
|---|---|---|
| 2020/06/14 23:57:24.4379 UTC | 2020/06/15 00:43:43.1204 UTC | 47820 |
|
|
|
|
|




























































































































