|
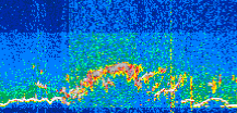
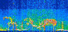
Displayed on this page are scaled, color-modulated, altitude-time images of CALIPSO attenuated backscatter (/km/sr) including:
- 532 nm total (parallel + perpendicular) attenuated backscatter
- 532 nm perpendicular attenuated backscatter
- 1064 nm total attenuated backscatter
The orbit track locations for the entire Level 1 .hdf file are in black and the orbit track locations corresponding to this page are color coded.
For the full scale images:
- the color bars for attenuated backscatter show the colors assigned to ranges of attenuated backscatter, /km/sr
- the horizontal axes are annotated with latitude (deg) and longitude (deg)
- the vertical axes are annotated to indicate altitude in kilometers
- the date and time of the measurements are listed as UTC time
- the names of the CALIPSO data products for the Lidar Level 1 attenuated backscatter granules are included
The scaled images on this page are organized by CALIPSO data product day and night orbit granules.
The maps with a shaded background indicate nightime measurements.
There are a maximum of 4 scaled images per granule.
The orbit tracks plotted on the maps show the measurement locations for each granule.
For each granule, the scaled images are ordered from left to right and their locations along the orbit tracks are color coded as: image one, image two, image three, image four.
Begin |
End | Number Profiles |
|---|---|---|
| 2020/07/01 07:42:07.8590 UTC | 2020/07/01 08:24:51.5064 UTC | 51690 |
|
|
|
|
|
|
Begin |
End | Number Profiles |
|---|---|---|
| 2020/07/01 08:24:51.5560 UTC | 2020/07/01 09:11:10.9813 UTC | 56040 |
|
|
|
|
|
Begin |
End | Number Profiles |
|---|---|---|
| 2020/07/01 09:11:11.0310 UTC | 2020/07/01 10:03:23.0644 UTC | 63150 |
|
|
|
|
|
Begin |
End | Number Profiles |
|---|---|---|
| 2020/07/01 10:03:23.1140 UTC | 2020/07/01 10:49:42.5393 UTC | 56040 |
|
|
|
|
|
Begin |
End | Number Profiles |
|---|---|---|
| 2020/07/01 10:49:42.5889 UTC | 2020/07/01 11:41:54.6224 UTC | 63150 |
|
|
|
|
|
Begin |
End | Number Profiles |
|---|---|---|
| 2020/07/01 11:41:54.6720 UTC | 2020/07/01 12:28:14.0994 UTC | 56040 |
|
|
|
|
|
Begin |
End | Number Profiles |
|---|---|---|
| 2020/07/01 12:28:14.1490 UTC | 2020/07/01 13:20:26.1834 UTC | 63150 |
|
|
|
|
|
Begin |
End | Number Profiles |
|---|---|---|
| 2020/07/01 13:20:26.2330 UTC | 2020/07/01 14:06:45.6613 UTC | 56040 |
|
|
|
|
|
Begin |
End | Number Profiles |
|---|---|---|
| 2020/07/01 14:06:45.7109 UTC | 2020/07/01 14:58:57.0014 UTC | 63135 |
|
|
|
|
|
Begin |
End | Number Profiles |
|---|---|---|
| 2020/07/01 14:58:57.0510 UTC | 2020/07/01 15:45:17.2213 UTC | 56055 |
|
|
|
|
|
Begin |
End | Number Profiles |
|---|---|---|
| 2020/07/01 15:45:17.2710 UTC | 2020/07/01 16:37:29.3024 UTC | 63150 |
|
|
|
|
|
Begin |
End | Number Profiles |
|---|---|---|
| 2020/07/01 16:37:29.3520 UTC | 2020/07/01 17:23:48.0324 UTC | 56025 |
|
|
|
|
|
Begin |
End | Number Profiles |
|---|---|---|
| 2020/07/01 17:23:48.0820 UTC | 2020/07/01 18:16:00.1123 UTC | 63150 |
|
|
|
|
|
Begin |
End | Number Profiles |
|---|---|---|
| 2020/07/01 18:16:00.1619 UTC | 2020/07/01 19:02:19.5844 UTC | 56040 |
|
|
|
|
|
Begin |
End | Number Profiles |
|---|---|---|
| 2020/07/01 19:02:19.6340 UTC | 2020/07/01 19:54:31.6644 UTC | 63150 |
|
|
|
|
|
Begin |
End | Number Profiles |
|---|---|---|
| 2020/07/01 19:54:31.7129 UTC | 2020/07/01 20:40:51.1363 UTC | 56040 |
|
|
|
|
|
Begin |
End | Number Profiles |
|---|---|---|
| 2020/07/01 20:40:51.1859 UTC | 2020/07/01 21:33:03.2164 UTC | 63150 |
|
|
|
|
|
Begin |
End | Number Profiles |
|---|---|---|
| 2020/07/01 21:33:03.2660 UTC | 2020/07/01 22:19:22.6904 UTC | 56040 |
|
|
|
|
|
Begin |
End | Number Profiles |
|---|---|---|
| 2020/07/01 22:19:22.7390 UTC | 2020/07/01 23:11:34.0263 UTC | 63135 |
|
|
|
|
|
Begin |
End | Number Profiles |
|---|---|---|
| 2020/07/01 23:11:34.0759 UTC | 2020/07/01 23:57:54.2444 UTC | 56055 |
|
|
|
|
|
Begin |
End | Number Profiles |
|---|---|---|
| 2020/07/01 23:57:54.2940 UTC | 2020/07/02 00:50:06.3254 UTC | 63150 |
|
|
|
|
|




















































































