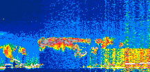
|
Displayed on this page are scaled, color-modulated, altitude-time images of CALIPSO attenuated backscatter (/km/sr) including:
- 532 nm total (parallel + perpendicular) attenuated backscatter
- 532 nm perpendicular attenuated backscatter
- 1064 nm total attenuated backscatter
The orbit track locations for the entire Level 1 .hdf file are in black and the orbit track locations corresponding to this page are color coded.
For the full scale images:
- the color bars for attenuated backscatter show the colors assigned to ranges of attenuated backscatter, /km/sr
- the horizontal axes are annotated with latitude (deg) and longitude (deg)
- the vertical axes are annotated to indicate altitude in kilometers
- the date and time of the measurements are listed as UTC time
- the names of the CALIPSO data products for the Lidar Level 1 attenuated backscatter granules are included
The scaled images on this page are organized by CALIPSO data product day and night orbit granules.
The maps with a shaded background indicate nightime measurements.
There are a maximum of 4 scaled images per granule.
The orbit tracks plotted on the maps show the measurement locations for each granule.
For each granule, the scaled images are ordered from left to right and their locations along the orbit tracks are color coded as: image one, image two, image three, image four.
Begin |
End | Number Profiles |
|---|---|---|
| 2020/07/02 00:50:06.3750 UTC | 2020/07/02 01:36:25.0573 UTC | 56025 |
|
|
|
|
|
Begin |
End | Number Profiles |
|---|---|---|
| 2020/07/02 01:36:25.1069 UTC | 2020/07/02 02:28:37.1394 UTC | 63150 |
|
|
|
|
|
Begin |
End | Number Profiles |
|---|---|---|
| 2020/07/02 02:28:37.1889 UTC | 2020/07/02 03:14:57.3594 UTC | 56055 |
|
|
|
|
|
Begin |
End | Number Profiles |
|---|---|---|
| 2020/07/02 03:14:57.4090 UTC | 2020/07/02 04:07:08.6984 UTC | 63135 |
|
|
|
|
|
Begin |
End | Number Profiles |
|---|---|---|
| 2020/07/02 04:07:08.7480 UTC | 2020/07/02 04:53:28.1724 UTC | 56040 |
|
|
|
|
|
Begin |
End | Number Profiles |
|---|---|---|
| 2020/07/02 04:53:28.2220 UTC | 2020/07/02 05:45:40.2543 UTC | 63150 |
|
|
|
|
|
Begin |
End | Number Profiles |
|---|---|---|
| 2020/07/02 05:45:40.3039 UTC | 2020/07/02 06:31:58.9844 UTC | 56025 |
|
|
|
|
|
Begin |
End | Number Profiles |
|---|---|---|
| 2020/07/02 06:31:59.0340 UTC | 2020/07/02 07:24:11.0654 UTC | 63150 |
|
|
|
|
|
Begin |
End | Number Profiles |
|---|---|---|
| 2020/07/02 07:24:11.1150 UTC | 2020/07/02 08:10:31.2834 UTC | 56055 |
|
|
|
|
|
Begin |
End | Number Profiles |
|---|---|---|
| 2020/07/02 08:10:31.3330 UTC | 2020/07/02 09:02:43.3654 UTC | 63150 |
|
|
|
|
|
Begin |
End | Number Profiles |
|---|---|---|
| 2020/07/02 09:02:43.4150 UTC | 2020/07/02 09:49:02.0964 UTC | 56025 |
|
|
|
|
|
Begin |
End | Number Profiles |
|---|---|---|
| 2020/07/02 09:49:02.1460 UTC | 2020/07/02 10:41:14.1783 UTC | 63150 |
|
|
|
|
|
Begin |
End | Number Profiles |
|---|---|---|
| 2020/07/02 10:41:14.2279 UTC | 2020/07/02 11:27:34.3994 UTC | 56055 |
|
|
|
|
|
Begin |
End | Number Profiles |
|---|---|---|
| 2020/07/02 11:27:34.4490 UTC | 2020/07/02 12:19:46.4824 UTC | 63150 |
|
|
|
|
|
Begin |
End | Number Profiles |
|---|---|---|
| 2020/07/02 12:19:46.5320 UTC | 2020/07/02 13:06:05.2144 UTC | 56025 |
|
|
|
|
|
Begin |
End | Number Profiles |
|---|---|---|
| 2020/07/02 13:06:05.2640 UTC | 2020/07/02 13:58:17.2994 UTC | 63150 |
|
|
|
|
|
Begin |
End | Number Profiles |
|---|---|---|
| 2020/07/02 13:58:17.3490 UTC | 2020/07/02 14:44:36.0314 UTC | 56025 |
|
|
|
|
|
Begin |
End | Number Profiles |
|---|---|---|
| 2020/07/02 14:44:36.0810 UTC | 2020/07/02 15:36:48.1144 UTC | 63150 |
|
|
|
|
|
Begin |
End | Number Profiles |
|---|---|---|
| 2020/07/02 15:36:48.1640 UTC | 2020/07/02 16:23:08.3334 UTC | 56055 |
|
|
|
|
|
Begin |
End | Number Profiles |
|---|---|---|
| 2020/07/02 16:23:08.3830 UTC | 2020/07/02 17:15:20.4153 UTC | 63150 |
|
|
|
|
|
Begin |
End | Number Profiles |
|---|---|---|
| 2020/07/02 17:15:20.4649 UTC | 2020/07/02 18:01:39.1444 UTC | 56025 |
|
|
|
|
|
Begin |
End | Number Profiles |
|---|---|---|
| 2020/07/02 18:01:39.1940 UTC | 2020/07/02 18:53:51.2243 UTC | 63150 |
|
|
|
|
|
Begin |
End | Number Profiles |
|---|---|---|
| 2020/07/02 18:53:51.2739 UTC | 2020/07/02 19:40:11.4393 UTC | 56055 |
|
|
|
|
|
Begin |
End | Number Profiles |
|---|---|---|
| 2020/07/02 19:40:11.4890 UTC | 2020/07/02 20:32:23.5194 UTC | 63150 |
|
|
|
|
|
Begin |
End | Number Profiles |
|---|---|---|
| 2020/07/02 20:32:23.5690 UTC | 2020/07/02 21:18:42.2483 UTC | 56025 |
|
|
|
|
|
Begin |
End | Number Profiles |
|---|---|---|
| 2020/07/02 21:18:42.2979 UTC | 2020/07/02 22:10:54.3284 UTC | 63150 |
|
|
|
|
|
Begin |
End | Number Profiles |
|---|---|---|
| 2020/07/02 22:10:54.3780 UTC | 2020/07/02 22:57:14.5453 UTC | 56055 |
|
|
|
|
|
Begin |
End | Number Profiles |
|---|---|---|
| 2020/07/02 22:57:14.5949 UTC | 2020/07/02 23:49:25.1383 UTC | 63120 |
|
|
|
|
|
Begin |
End | Number Profiles |
|---|---|---|
| 2020/07/02 23:49:25.1880 UTC | 2020/07/03 00:35:45.3564 UTC | 56055 |
|
|
|
|
|
























































































































