|
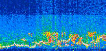
Displayed on this page are scaled, color-modulated, altitude-time images of CALIPSO attenuated backscatter (/km/sr) including:
- 532 nm total (parallel + perpendicular) attenuated backscatter
- 532 nm perpendicular attenuated backscatter
- 1064 nm total attenuated backscatter
The orbit track locations for the entire Level 1 .hdf file are in black and the orbit track locations corresponding to this page are color coded.
For the full scale images:
- the color bars for attenuated backscatter show the colors assigned to ranges of attenuated backscatter, /km/sr
- the horizontal axes are annotated with latitude (deg) and longitude (deg)
- the vertical axes are annotated to indicate altitude in kilometers
- the date and time of the measurements are listed as UTC time
- the names of the CALIPSO data products for the Lidar Level 1 attenuated backscatter granules are included
The scaled images on this page are organized by CALIPSO data product day and night orbit granules.
The maps with a shaded background indicate nightime measurements.
There are a maximum of 4 scaled images per granule.
The orbit tracks plotted on the maps show the measurement locations for each granule.
For each granule, the scaled images are ordered from left to right and their locations along the orbit tracks are color coded as: image one, image two, image three, image four.
Begin |
End | Number Profiles |
|---|---|---|
| 2020/07/04 00:27:17.0339 UTC | 2020/07/04 01:13:36.4573 UTC | 56040 |
|
|
|
|
|
Begin |
End | Number Profiles |
|---|---|---|
| 2020/07/04 01:13:36.5069 UTC | 2020/07/04 02:05:48.5383 UTC | 63150 |
|
|
|
|
|
Begin |
End | Number Profiles |
|---|---|---|
| 2020/07/04 02:05:48.5879 UTC | 2020/07/04 02:52:08.0124 UTC | 56040 |
|
|
|
|
|
Begin |
End | Number Profiles |
|---|---|---|
| 2020/07/04 02:52:08.0620 UTC | 2020/07/04 03:44:19.3494 UTC | 63135 |
|
|
|
|
|
Begin |
End | Number Profiles |
|---|---|---|
| 2020/07/04 03:44:19.3990 UTC | 2020/07/04 04:30:39.5674 UTC | 56055 |
|
|
|
|
|
Begin |
End | Number Profiles |
|---|---|---|
| 2020/07/04 04:30:39.6170 UTC | 2020/07/04 05:22:51.6484 UTC | 63150 |
|
|
|
|
|
Begin |
End | Number Profiles |
|---|---|---|
| 2020/07/04 05:22:51.6980 UTC | 2020/07/04 06:09:10.3783 UTC | 56025 |
|
|
|
|
|
Begin |
End | Number Profiles |
|---|---|---|
| 2020/07/04 06:09:10.4279 UTC | 2020/07/04 07:01:22.4604 UTC | 63150 |
|
|
|
|
|
Begin |
End | Number Profiles |
|---|---|---|
| 2020/07/04 07:01:22.5100 UTC | 2020/07/04 07:47:42.6783 UTC | 56055 |
|
|
|
|
|
Begin |
End | Number Profiles |
|---|---|---|
| 2020/07/04 07:47:42.7279 UTC | 2020/07/04 08:39:54.0154 UTC | 63135 |
|
|
|
|
|
Begin |
End | Number Profiles |
|---|---|---|
| 2020/07/04 08:39:54.0650 UTC | 2020/07/04 09:26:13.4894 UTC | 56040 |
|
|
|
|
|
Begin |
End | Number Profiles |
|---|---|---|
| 2020/07/04 09:26:13.5390 UTC | 2020/07/04 10:18:25.5713 UTC | 63150 |
|
|
|
|
|
Begin |
End | Number Profiles |
|---|---|---|
| 2020/07/04 10:18:25.6209 UTC | 2020/07/04 11:04:45.0454 UTC | 56040 |
|
|
|
|
|
Begin |
End | Number Profiles |
|---|---|---|
| 2020/07/04 11:04:45.0949 UTC | 2020/07/04 11:56:57.1274 UTC | 63150 |
|
|
|
|
|
Begin |
End | Number Profiles |
|---|---|---|
| 2020/07/04 11:56:57.1770 UTC | 2020/07/04 12:43:16.6023 UTC | 56040 |
|
|
|
|
|
Begin |
End | Number Profiles |
|---|---|---|
| 2020/07/04 12:43:16.6519 UTC | 2020/07/04 13:35:28.6864 UTC | 63150 |
|
|
|
|
|
Begin |
End | Number Profiles |
|---|---|---|
| 2020/07/04 13:35:28.7360 UTC | 2020/07/04 14:21:47.4203 UTC | 56025 |
|
|
|
|
|
Begin |
End | Number Profiles |
|---|---|---|
| 2020/07/04 14:21:47.4700 UTC | 2020/07/04 15:13:59.5044 UTC | 63150 |
|
|
|
|
|
Begin |
End | Number Profiles |
|---|---|---|
| 2020/07/04 15:13:59.5540 UTC | 2020/07/04 16:00:18.9813 UTC | 56040 |
|
|
|
|
|
Begin |
End | Number Profiles |
|---|---|---|
| 2020/07/04 16:00:19.0309 UTC | 2020/07/04 16:52:31.0644 UTC | 63150 |
|
|
|
|
|
Begin |
End | Number Profiles |
|---|---|---|
| 2020/07/04 16:52:31.1140 UTC | 2020/07/04 17:38:50.5384 UTC | 56040 |
|
|
|
|
|
Begin |
End | Number Profiles |
|---|---|---|
| 2020/07/04 17:38:50.5880 UTC | 2020/07/04 18:31:02.6194 UTC | 63150 |
|
|
|
|
|
Begin |
End | Number Profiles |
|---|---|---|
| 2020/07/04 18:31:02.6690 UTC | 2020/07/04 19:17:21.3464 UTC | 56025 |
|
|
|
|
|
Begin |
End | Number Profiles |
|---|---|---|
| 2020/07/04 19:17:21.3960 UTC | 2020/07/04 20:09:33.4263 UTC | 63150 |
|
|
|
|
|
Begin |
End | Number Profiles |
|---|---|---|
| 2020/07/04 20:09:33.4759 UTC | 2020/07/04 20:55:53.6423 UTC | 56055 |
|
|
|
|
|
Begin |
End | Number Profiles |
|---|---|---|
| 2020/07/04 20:55:53.6919 UTC | 2020/07/04 21:48:04.9773 UTC | 63135 |
|
|
|
|
|
Begin |
End | Number Profiles |
|---|---|---|
| 2020/07/04 21:48:05.0269 UTC | 2020/07/04 22:34:25.1914 UTC | 56055 |
|
|
|
|
|
Begin |
End | Number Profiles |
|---|---|---|
| 2020/07/04 22:34:25.2410 UTC | 2020/07/04 23:26:36.5244 UTC | 63135 |
|
|
|
|
|
Begin |
End | Number Profiles |
|---|---|---|
| 2020/07/04 23:26:36.5740 UTC | 2020/07/05 00:12:55.9954 UTC | 56040 |
|
|
|
|
|
























































































































