|
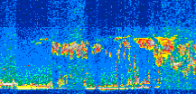
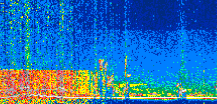
Displayed on this page are scaled, color-modulated, altitude-time images of CALIPSO attenuated backscatter (/km/sr) including:
- 532 nm total (parallel + perpendicular) attenuated backscatter
- 532 nm perpendicular attenuated backscatter
- 1064 nm total attenuated backscatter
The orbit track locations for the entire Level 1 .hdf file are in black and the orbit track locations corresponding to this page are color coded.
For the full scale images:
- the color bars for attenuated backscatter show the colors assigned to ranges of attenuated backscatter, /km/sr
- the horizontal axes are annotated with latitude (deg) and longitude (deg)
- the vertical axes are annotated to indicate altitude in kilometers
- the date and time of the measurements are listed as UTC time
- the names of the CALIPSO data products for the Lidar Level 1 attenuated backscatter granules are included
The scaled images on this page are organized by CALIPSO data product day and night orbit granules.
The maps with a shaded background indicate nightime measurements.
There are a maximum of 4 scaled images per granule.
The orbit tracks plotted on the maps show the measurement locations for each granule.
For each granule, the scaled images are ordered from left to right and their locations along the orbit tracks are color coded as: image one, image two, image three, image four.
Begin |
End | Number Profiles |
|---|---|---|
| 2020/07/18 00:12:12.5580 UTC | 2020/07/18 01:04:24.5914 UTC | 63105 |
|
|
|
|
|
Begin |
End | Number Profiles |
|---|---|---|
| 2020/07/18 01:04:24.6410 UTC | 2020/07/18 01:50:43.3254 UTC | 56025 |
|
|
|
|
|
Begin |
End | Number Profiles |
|---|---|---|
| 2020/07/18 01:50:43.3750 UTC | 2020/07/18 02:42:56.1543 UTC | 63165 |
|
|
|
|
|
Begin |
End | Number Profiles |
|---|---|---|
| 2020/07/18 02:42:56.2039 UTC | 2020/07/18 03:29:15.6324 UTC | 56040 |
|
|
|
|
|
Begin |
End | Number Profiles |
|---|---|---|
| 2020/07/18 03:29:15.6820 UTC | 2020/07/18 04:21:26.9734 UTC | 63135 |
|
|
|
|
|
Begin |
End | Number Profiles |
|---|---|---|
| 2020/07/18 04:21:27.0230 UTC | 2020/07/18 05:07:46.4514 UTC | 56040 |
|
|
|
|
|
Begin |
End | Number Profiles |
|---|---|---|
| 2020/07/18 05:07:46.5010 UTC | 2020/07/18 05:59:58.5363 UTC | 63150 |
|
|
|
|
|
Begin |
End | Number Profiles |
|---|---|---|
| 2020/07/18 06:00:02.3060 UTC | 2020/07/18 06:46:17.2714 UTC | 55950 |
|
|
|
|
|
Begin |
End | Number Profiles |
|---|---|---|
| 2020/07/18 06:46:17.3210 UTC | 2020/07/18 07:38:30.1014 UTC | 63165 |
|
|
|
|
|
Begin |
End | Number Profiles |
|---|---|---|
| 2020/07/18 07:38:30.1510 UTC | 2020/07/18 08:24:48.0913 UTC | 56010 |
|
|
|
|
|
Begin |
End | Number Profiles |
|---|---|---|
| 2020/07/18 08:24:48.1410 UTC | 2020/07/18 09:17:01.6654 UTC | 63180 |
|
|
|
|
|
Begin |
End | Number Profiles |
|---|---|---|
| 2020/07/18 09:17:01.7150 UTC | 2020/07/18 10:03:20.4004 UTC | 56025 |
|
|
|
|
|
Begin |
End | Number Profiles |
|---|---|---|
| 2020/07/18 10:03:20.4500 UTC | 2020/07/18 10:55:32.4864 UTC | 63150 |
|
|
|
|
|
Begin |
End | Number Profiles |
|---|---|---|
| 2020/07/18 10:55:32.5359 UTC | 2020/07/18 11:41:51.2214 UTC | 56025 |
|
|
|
|
|
Begin |
End | Number Profiles |
|---|---|---|
| 2020/07/18 11:41:51.2710 UTC | 2020/07/18 12:34:04.0524 UTC | 63165 |
|
|
|
|
|
Begin |
End | Number Profiles |
|---|---|---|
| 2020/07/18 12:34:04.1020 UTC | 2020/07/18 13:20:22.0443 UTC | 56010 |
|
|
|
|
|
Begin |
End | Number Profiles |
|---|---|---|
| 2020/07/18 13:20:22.0939 UTC | 2020/07/18 14:12:35.6194 UTC | 63180 |
|
|
|
|
|
Begin |
End | Number Profiles |
|---|---|---|
| 2020/07/18 14:12:35.6690 UTC | 2020/07/18 14:58:54.3544 UTC | 56025 |
|
|
|
|
|
Begin |
End | Number Profiles |
|---|---|---|
| 2020/07/18 14:58:54.4039 UTC | 2020/07/18 15:51:06.4394 UTC | 63150 |
|
|
|
|
|
Begin |
End | Number Profiles |
|---|---|---|
| 2020/07/18 15:51:06.4890 UTC | 2020/07/18 16:37:25.1723 UTC | 56025 |
|
|
|
|
|
Begin |
End | Number Profiles |
|---|---|---|
| 2020/07/18 16:37:25.2219 UTC | 2020/07/18 17:29:37.2554 UTC | 63150 |
|
|
|
|
|
Begin |
End | Number Profiles |
|---|---|---|
| 2020/07/18 17:29:37.3050 UTC | 2020/07/18 18:15:55.9873 UTC | 56025 |
|
|
|
|
|
Begin |
End | Number Profiles |
|---|---|---|
| 2020/07/18 18:15:56.0369 UTC | 2020/07/18 19:08:09.5584 UTC | 63180 |
|
|
|
|
|
Begin |
End | Number Profiles |
|---|---|---|
| 2020/07/18 19:08:09.6080 UTC | 2020/07/18 19:54:27.5453 UTC | 56010 |
|
|
|
|
|
Begin |
End | Number Profiles |
|---|---|---|
| 2020/07/18 19:54:27.5949 UTC | 2020/07/18 20:46:40.3714 UTC | 63165 |
|
|
|
|
|
Begin |
End | Number Profiles |
|---|---|---|
| 2020/07/18 20:46:40.4210 UTC | 2020/07/18 21:32:59.1023 UTC | 56025 |
|
|
|
|
|
Begin |
End | Number Profiles |
|---|---|---|
| 2020/07/18 21:32:59.1519 UTC | 2020/07/18 22:25:11.1834 UTC | 63150 |
|
|
|
|
|
Begin |
End | Number Profiles |
|---|---|---|
| 2020/07/18 22:25:11.2330 UTC | 2020/07/18 23:11:30.6584 UTC | 56040 |
|
|
|
|
|
Begin |
End | Number Profiles |
|---|---|---|
| 2020/07/18 23:11:30.7080 UTC | 2020/07/19 00:03:43.4834 UTC | 63165 |
|
|
|
|
|
























































































































