|
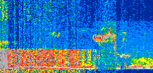
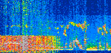
Displayed on this page are scaled, color-modulated, altitude-time images of CALIPSO attenuated backscatter (/km/sr) including:
- 532 nm total (parallel + perpendicular) attenuated backscatter
- 532 nm perpendicular attenuated backscatter
- 1064 nm total attenuated backscatter
The orbit track locations for the entire Level 1 .hdf file are in black and the orbit track locations corresponding to this page are color coded.
For the full scale images:
- the color bars for attenuated backscatter show the colors assigned to ranges of attenuated backscatter, /km/sr
- the horizontal axes are annotated with latitude (deg) and longitude (deg)
- the vertical axes are annotated to indicate altitude in kilometers
- the date and time of the measurements are listed as UTC time
- the names of the CALIPSO data products for the Lidar Level 1 attenuated backscatter granules are included
The scaled images on this page are organized by CALIPSO data product day and night orbit granules.
The maps with a shaded background indicate nightime measurements.
There are a maximum of 4 scaled images per granule.
The orbit tracks plotted on the maps show the measurement locations for each granule.
For each granule, the scaled images are ordered from left to right and their locations along the orbit tracks are color coded as: image one, image two, image three, image four.
Begin |
End | Number Profiles |
|---|---|---|
| 2020/08/16 00:24:42.5609 UTC | 2020/08/16 01:17:00.5694 UTC | 63270 |
|
|
|
|
|
Begin |
End | Number Profiles |
|---|---|---|
| 2020/08/16 01:17:00.6190 UTC | 2020/08/16 02:03:13.3733 UTC | 55905 |
|
|
|
|
|
Begin |
End | Number Profiles |
|---|---|---|
| 2020/08/16 02:03:13.4230 UTC | 2020/08/16 02:55:31.4324 UTC | 63270 |
|
|
|
|
|
Begin |
End | Number Profiles |
|---|---|---|
| 2020/08/16 02:55:31.4820 UTC | 2020/08/16 03:41:44.2363 UTC | 55905 |
|
|
|
|
|
Begin |
End | Number Profiles |
|---|---|---|
| 2020/08/16 03:41:44.2859 UTC | 2020/08/16 04:34:02.2974 UTC | 63270 |
|
|
|
|
|
Begin |
End | Number Profiles |
|---|---|---|
| 2020/08/16 04:34:02.3470 UTC | 2020/08/16 05:20:16.5893 UTC | 55935 |
|
|
|
|
|
Begin |
End | Number Profiles |
|---|---|---|
| 2020/08/16 05:20:16.6390 UTC | 2020/08/16 06:12:33.1624 UTC | 63240 |
|
|
|
|
|
Begin |
End | Number Profiles |
|---|---|---|
| 2020/08/16 06:12:33.2120 UTC | 2020/08/16 06:58:47.4544 UTC | 55935 |
|
|
|
|
|
Begin |
End | Number Profiles |
|---|---|---|
| 2020/08/16 06:58:47.5040 UTC | 2020/08/16 07:51:04.0254 UTC | 63240 |
|
|
|
|
|
Begin |
End | Number Profiles |
|---|---|---|
| 2020/08/16 07:51:04.0750 UTC | 2020/08/16 08:37:18.3184 UTC | 55935 |
|
|
|
|
|
Begin |
End | Number Profiles |
|---|---|---|
| 2020/08/16 08:37:18.3680 UTC | 2020/08/16 09:29:35.6354 UTC | 63255 |
|
|
|
|
|
Begin |
End | Number Profiles |
|---|---|---|
| 2020/08/16 09:29:35.6850 UTC | 2020/08/16 10:15:49.1854 UTC | 55920 |
|
|
|
|
|
Begin |
End | Number Profiles |
|---|---|---|
| 2020/08/16 10:15:49.2350 UTC | 2020/08/16 11:08:06.5034 UTC | 63255 |
|
|
|
|
|
Begin |
End | Number Profiles |
|---|---|---|
| 2020/08/16 11:08:06.5529 UTC | 2020/08/16 11:54:20.0544 UTC | 55920 |
|
|
|
|
|
Begin |
End | Number Profiles |
|---|---|---|
| 2020/08/16 11:54:20.1040 UTC | 2020/08/16 12:46:38.1164 UTC | 63270 |
|
|
|
|
|
Begin |
End | Number Profiles |
|---|---|---|
| 2020/08/16 12:46:38.1660 UTC | 2020/08/16 13:32:51.6674 UTC | 55920 |
|
|
|
|
|
Begin |
End | Number Profiles |
|---|---|---|
| 2020/08/16 13:32:51.7170 UTC | 2020/08/16 14:25:08.9884 UTC | 63255 |
|
|
|
|
|
Begin |
End | Number Profiles |
|---|---|---|
| 2020/08/16 14:25:09.0380 UTC | 2020/08/16 15:11:22.5404 UTC | 55920 |
|
|
|
|
|
Begin |
End | Number Profiles |
|---|---|---|
| 2020/08/16 15:11:22.5900 UTC | 2020/08/16 16:03:40.6033 UTC | 63270 |
|
|
|
|
|
Begin |
End | Number Profiles |
|---|---|---|
| 2020/08/16 16:03:40.6529 UTC | 2020/08/16 16:49:53.4084 UTC | 55905 |
|
|
|
|
|
Begin |
End | Number Profiles |
|---|---|---|
| 2020/08/16 16:49:53.4580 UTC | 2020/08/16 17:42:11.4683 UTC | 63270 |
|
|
|
|
|
Begin |
End | Number Profiles |
|---|---|---|
| 2020/08/16 17:42:11.5179 UTC | 2020/08/16 18:28:24.2744 UTC | 55905 |
|
|
|
|
|
Begin |
End | Number Profiles |
|---|---|---|
| 2020/08/16 18:28:24.3240 UTC | 2020/08/16 19:20:42.3343 UTC | 63270 |
|
|
|
|
|
Begin |
End | Number Profiles |
|---|---|---|
| 2020/08/16 19:20:42.3839 UTC | 2020/08/16 20:06:56.6264 UTC | 55935 |
|
|
|
|
|
Begin |
End | Number Profiles |
|---|---|---|
| 2020/08/16 20:06:56.6760 UTC | 2020/08/16 20:59:13.1984 UTC | 63240 |
|
|
|
|
|
Begin |
End | Number Profiles |
|---|---|---|
| 2020/08/16 20:59:13.2480 UTC | 2020/08/16 21:45:27.4913 UTC | 55935 |
|
|
|
|
|
Begin |
End | Number Profiles |
|---|---|---|
| 2020/08/16 21:45:27.5409 UTC | 2020/08/16 22:37:44.0644 UTC | 63240 |
|
|
|
|
|
Begin |
End | Number Profiles |
|---|---|---|
| 2020/08/16 22:37:44.1140 UTC | 2020/08/16 23:23:58.3584 UTC | 55935 |
|
|
|
|
|
Begin |
End | Number Profiles |
|---|---|---|
| 2020/08/16 23:23:58.4080 UTC | 2020/08/17 00:16:15.6754 UTC | 63255 |
|
|
|
|
|
























































































































