|
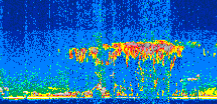
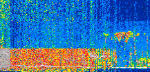
Displayed on this page are scaled, color-modulated, altitude-time images of CALIPSO attenuated backscatter (/km/sr) including:
- 532 nm total (parallel + perpendicular) attenuated backscatter
- 532 nm perpendicular attenuated backscatter
- 1064 nm total attenuated backscatter
The orbit track locations for the entire Level 1 .hdf file are in black and the orbit track locations corresponding to this page are color coded.
For the full scale images:
- the color bars for attenuated backscatter show the colors assigned to ranges of attenuated backscatter, /km/sr
- the horizontal axes are annotated with latitude (deg) and longitude (deg)
- the vertical axes are annotated to indicate altitude in kilometers
- the date and time of the measurements are listed as UTC time
- the names of the CALIPSO data products for the Lidar Level 1 attenuated backscatter granules are included
The scaled images on this page are organized by CALIPSO data product day and night orbit granules.
The maps with a shaded background indicate nightime measurements.
There are a maximum of 4 scaled images per granule.
The orbit tracks plotted on the maps show the measurement locations for each granule.
For each granule, the scaled images are ordered from left to right and their locations along the orbit tracks are color coded as: image one, image two, image three, image four.
Begin |
End | Number Profiles |
|---|---|---|
| 2020/08/30 00:14:44.3390 UTC | 2020/08/30 01:00:53.3913 UTC | 55830 |
|
|
|
|
|
Begin |
End | Number Profiles |
|---|---|---|
| 2020/08/30 01:00:53.4409 UTC | 2020/08/30 01:53:15.1883 UTC | 63345 |
|
|
|
|
|
Begin |
End | Number Profiles |
|---|---|---|
| 2020/08/30 01:53:15.2379 UTC | 2020/08/30 02:39:24.2883 UTC | 55830 |
|
|
|
|
|
Begin |
End | Number Profiles |
|---|---|---|
| 2020/08/30 02:39:24.3379 UTC | 2020/08/30 03:31:46.0853 UTC | 63345 |
|
|
|
|
|
Begin |
End | Number Profiles |
|---|---|---|
| 2020/08/30 03:31:46.1349 UTC | 2020/08/30 04:17:55.1853 UTC | 55830 |
|
|
|
|
|
Begin |
End | Number Profiles |
|---|---|---|
| 2020/08/30 04:17:55.2349 UTC | 2020/08/30 05:10:16.9823 UTC | 63345 |
|
|
|
|
|
Begin |
End | Number Profiles |
|---|---|---|
| 2020/08/30 05:10:17.0319 UTC | 2020/08/30 05:56:26.0844 UTC | 55830 |
|
|
|
|
|
Begin |
End | Number Profiles |
|---|---|---|
| 2020/08/30 05:56:26.1340 UTC | 2020/08/30 06:48:48.6264 UTC | 63360 |
|
|
|
|
|
Begin |
End | Number Profiles |
|---|---|---|
| 2020/08/30 06:48:48.6760 UTC | 2020/08/30 07:34:56.9844 UTC | 55815 |
|
|
|
|
|
Begin |
End | Number Profiles |
|---|---|---|
| 2020/08/30 07:34:57.0340 UTC | 2020/08/30 08:27:19.5253 UTC | 63360 |
|
|
|
|
|
Begin |
End | Number Profiles |
|---|---|---|
| 2020/08/30 08:27:19.5749 UTC | 2020/08/30 09:13:28.6274 UTC | 55830 |
|
|
|
|
|
Begin |
End | Number Profiles |
|---|---|---|
| 2020/08/30 09:13:28.6770 UTC | 2020/08/30 10:05:50.4244 UTC | 63345 |
|
|
|
|
|
Begin |
End | Number Profiles |
|---|---|---|
| 2020/08/30 10:05:50.4740 UTC | 2020/08/30 10:52:00.2694 UTC | 55845 |
|
|
|
|
|
Begin |
End | Number Profiles |
|---|---|---|
| 2020/08/30 10:52:00.3190 UTC | 2020/08/30 11:44:21.3244 UTC | 63330 |
|
|
|
|
|
Begin |
End | Number Profiles |
|---|---|---|
| 2020/08/30 11:44:21.3740 UTC | 2020/08/30 12:30:31.1724 UTC | 55845 |
|
|
|
|
|
Begin |
End | Number Profiles |
|---|---|---|
| 2020/08/30 12:30:31.2220 UTC | 2020/08/30 13:22:52.2294 UTC | 63330 |
|
|
|
|
|
Begin |
End | Number Profiles |
|---|---|---|
| 2020/08/30 13:22:52.2790 UTC | 2020/08/30 14:09:02.0784 UTC | 55845 |
|
|
|
|
|
Begin |
End | Number Profiles |
|---|---|---|
| 2020/08/30 14:09:02.1280 UTC | 2020/08/30 15:01:23.1364 UTC | 63330 |
|
|
|
|
|
Begin |
End | Number Profiles |
|---|---|---|
| 2020/08/30 15:01:23.1860 UTC | 2020/08/30 15:47:32.2404 UTC | 55830 |
|
|
|
|
|
Begin |
End | Number Profiles |
|---|---|---|
| 2020/08/30 15:47:32.2900 UTC | 2020/08/30 16:39:54.0413 UTC | 63345 |
|
|
|
|
|
Begin |
End | Number Profiles |
|---|---|---|
| 2020/08/30 16:39:54.0909 UTC | 2020/08/30 17:26:03.1434 UTC | 55830 |
|
|
|
|
|
Begin |
End | Number Profiles |
|---|---|---|
| 2020/08/30 17:26:03.1930 UTC | 2020/08/30 18:18:25.6854 UTC | 63360 |
|
|
|
|
|
Begin |
End | Number Profiles |
|---|---|---|
| 2020/08/30 18:18:25.7350 UTC | 2020/08/30 19:04:35.5304 UTC | 55845 |
|
|
|
|
|
Begin |
End | Number Profiles |
|---|---|---|
| 2020/08/30 19:04:35.5800 UTC | 2020/08/30 19:56:56.5854 UTC | 63330 |
|
|
|
|
|
Begin |
End | Number Profiles |
|---|---|---|
| 2020/08/30 19:56:56.6350 UTC | 2020/08/30 20:43:06.4293 UTC | 55845 |
|
|
|
|
|
Begin |
End | Number Profiles |
|---|---|---|
| 2020/08/30 20:43:06.4790 UTC | 2020/08/30 21:35:27.4813 UTC | 63330 |
|
|
|
|
|
Begin |
End | Number Profiles |
|---|---|---|
| 2020/08/30 21:35:27.5309 UTC | 2020/08/30 22:21:37.3263 UTC | 55845 |
|
|
|
|
|
Begin |
End | Number Profiles |
|---|---|---|
| 2020/08/30 22:21:37.3760 UTC | 2020/08/30 23:13:58.3804 UTC | 63330 |
|
|
|
|
|
Begin |
End | Number Profiles |
|---|---|---|
| 2020/08/30 23:13:58.4300 UTC | 2020/08/31 00:00:08.2263 UTC | 55845 |
|
|
|
|
|
























































































































