|
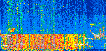
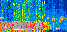
Displayed on this page are scaled, color-modulated, altitude-time images of CALIPSO attenuated backscatter (/km/sr) including:
- 532 nm total (parallel + perpendicular) attenuated backscatter
- 532 nm perpendicular attenuated backscatter
- 1064 nm total attenuated backscatter
The orbit track locations for the entire Level 1 .hdf file are in black and the orbit track locations corresponding to this page are color coded.
For the full scale images:
- the color bars for attenuated backscatter show the colors assigned to ranges of attenuated backscatter, /km/sr
- the horizontal axes are annotated with latitude (deg) and longitude (deg)
- the vertical axes are annotated to indicate altitude in kilometers
- the date and time of the measurements are listed as UTC time
- the names of the CALIPSO data products for the Lidar Level 1 attenuated backscatter granules are included
The scaled images on this page are organized by CALIPSO data product day and night orbit granules.
The maps with a shaded background indicate nightime measurements.
There are a maximum of 4 scaled images per granule.
The orbit tracks plotted on the maps show the measurement locations for each granule.
For each granule, the scaled images are ordered from left to right and their locations along the orbit tracks are color coded as: image one, image two, image three, image four.
Begin |
End | Number Profiles |
|---|---|---|
| 2020/09/17 00:04:43.0780 UTC | 2020/09/17 00:50:46.2034 UTC | 55710 |
|
|
|
|
|
Begin |
End | Number Profiles |
|---|---|---|
| 2020/09/17 00:50:46.2530 UTC | 2020/09/17 01:43:13.9814 UTC | 63465 |
|
|
|
|
|
Begin |
End | Number Profiles |
|---|---|---|
| 2020/09/17 01:43:14.0310 UTC | 2020/09/17 02:29:17.1553 UTC | 55710 |
|
|
|
|
|
Begin |
End | Number Profiles |
|---|---|---|
| 2020/09/17 02:29:17.2049 UTC | 2020/09/17 03:21:45.6753 UTC | 63480 |
|
|
|
|
|
Begin |
End | Number Profiles |
|---|---|---|
| 2020/09/17 03:21:45.7249 UTC | 2020/09/17 04:07:48.1034 UTC | 55695 |
|
|
|
|
|
Begin |
End | Number Profiles |
|---|---|---|
| 2020/09/17 04:07:48.1530 UTC | 2020/09/17 05:00:16.6233 UTC | 63480 |
|
|
|
|
|
Begin |
End | Number Profiles |
|---|---|---|
| 2020/09/17 05:00:16.6729 UTC | 2020/09/17 05:46:19.0354 UTC | 55695 |
|
|
|
|
|
Begin |
End | Number Profiles |
|---|---|---|
| 2020/09/17 05:46:19.0850 UTC | 2020/09/17 06:38:47.5543 UTC | 63480 |
|
|
|
|
|
Begin |
End | Number Profiles |
|---|---|---|
| 2020/09/17 06:38:47.6039 UTC | 2020/09/17 07:24:49.9843 UTC | 55695 |
|
|
|
|
|
Begin |
End | Number Profiles |
|---|---|---|
| 2020/09/17 07:24:50.0340 UTC | 2020/09/17 08:17:18.5053 UTC | 63480 |
|
|
|
|
|
Begin |
End | Number Profiles |
|---|---|---|
| 2020/09/17 08:17:18.5549 UTC | 2020/09/17 09:03:21.6804 UTC | 55710 |
|
|
|
|
|
Begin |
End | Number Profiles |
|---|---|---|
| 2020/09/17 09:03:21.7290 UTC | 2020/09/17 09:55:49.4574 UTC | 63465 |
|
|
|
|
|
Begin |
End | Number Profiles |
|---|---|---|
| 2020/09/17 09:55:49.5070 UTC | 2020/09/17 10:41:52.6343 UTC | 55710 |
|
|
|
|
|
Begin |
End | Number Profiles |
|---|---|---|
| 2020/09/17 10:41:52.6839 UTC | 2020/09/17 11:34:20.4144 UTC | 63465 |
|
|
|
|
|
Begin |
End | Number Profiles |
|---|---|---|
| 2020/09/17 11:34:20.4640 UTC | 2020/09/17 12:20:23.5924 UTC | 55710 |
|
|
|
|
|
Begin |
End | Number Profiles |
|---|---|---|
| 2020/09/17 12:20:23.6420 UTC | 2020/09/17 13:12:51.3744 UTC | 63465 |
|
|
|
|
|
Begin |
End | Number Profiles |
|---|---|---|
| 2020/09/17 13:12:51.4240 UTC | 2020/09/17 13:58:54.5543 UTC | 55710 |
|
|
|
|
|
Begin |
End | Number Profiles |
|---|---|---|
| 2020/09/17 13:58:54.6039 UTC | 2020/09/17 14:51:22.3364 UTC | 63465 |
|
|
|
|
|
Begin |
End | Number Profiles |
|---|---|---|
| 2020/09/17 14:51:22.3860 UTC | 2020/09/17 15:37:25.5154 UTC | 55710 |
|
|
|
|
|
Begin |
End | Number Profiles |
|---|---|---|
| 2020/09/17 15:37:25.5650 UTC | 2020/09/17 16:29:53.2953 UTC | 63465 |
|
|
|
|
|
Begin |
End | Number Profiles |
|---|---|---|
| 2020/09/17 16:29:53.3449 UTC | 2020/09/17 17:15:54.9823 UTC | 55680 |
|
|
|
|
|
Begin |
End | Number Profiles |
|---|---|---|
| 2020/09/17 17:15:55.0319 UTC | 2020/09/17 18:08:24.2464 UTC | 63495 |
|
|
|
|
|
Begin |
End | Number Profiles |
|---|---|---|
| 2020/09/17 18:08:24.2960 UTC | 2020/09/17 18:54:26.6753 UTC | 55695 |
|
|
|
|
|
Begin |
End | Number Profiles |
|---|---|---|
| 2020/09/17 18:54:26.7249 UTC | 2020/09/17 19:46:55.1953 UTC | 63480 |
|
|
|
|
|
Begin |
End | Number Profiles |
|---|---|---|
| 2020/09/17 19:46:55.2450 UTC | 2020/09/17 20:32:57.6254 UTC | 55695 |
|
|
|
|
|
Begin |
End | Number Profiles |
|---|---|---|
| 2020/09/17 20:32:57.6750 UTC | 2020/09/17 21:25:26.1463 UTC | 63480 |
|
|
|
|
|
Begin |
End | Number Profiles |
|---|---|---|
| 2020/09/17 21:25:26.1959 UTC | 2020/09/17 22:11:28.5763 UTC | 55695 |
|
|
|
|
|
Begin |
End | Number Profiles |
|---|---|---|
| 2020/09/17 22:11:28.6259 UTC | 2020/09/17 23:03:57.0963 UTC | 63480 |
|
|
|
|
|
Begin |
End | Number Profiles |
|---|---|---|
| 2020/09/17 23:03:57.1459 UTC | 2020/09/17 23:50:00.2723 UTC | 55710 |
|
|
|
|
|
Begin |
End | Number Profiles |
|---|---|---|
| 2020/09/17 23:50:00.3219 UTC | 2020/09/18 00:42:28.0514 UTC | 63465 |
|
|
|
|
|




























































































































