|
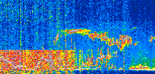
Displayed on this page are scaled, color-modulated, altitude-time images of CALIPSO attenuated backscatter (/km/sr) including:
- 532 nm total (parallel + perpendicular) attenuated backscatter
- 532 nm perpendicular attenuated backscatter
- 1064 nm total attenuated backscatter
The orbit track locations for the entire Level 1 .hdf file are in black and the orbit track locations corresponding to this page are color coded.
For the full scale images:
- the color bars for attenuated backscatter show the colors assigned to ranges of attenuated backscatter, /km/sr
- the horizontal axes are annotated with latitude (deg) and longitude (deg)
- the vertical axes are annotated to indicate altitude in kilometers
- the date and time of the measurements are listed as UTC time
- the names of the CALIPSO data products for the Lidar Level 1 attenuated backscatter granules are included
The scaled images on this page are organized by CALIPSO data product day and night orbit granules.
The maps with a shaded background indicate nightime measurements.
There are a maximum of 4 scaled images per granule.
The orbit tracks plotted on the maps show the measurement locations for each granule.
For each granule, the scaled images are ordered from left to right and their locations along the orbit tracks are color coded as: image one, image two, image three, image four.
Begin |
End | Number Profiles |
|---|---|---|
| 2021/04/16 00:06:27.1920 UTC | 2021/04/16 00:52:31.0604 UTC | 55725 |
|
|
|
|
|
Begin |
End | Number Profiles |
|---|---|---|
| 2021/04/16 00:52:31.1100 UTC | 2021/04/16 01:44:58.0934 UTC | 63450 |
|
|
|
|
|
Begin |
End | Number Profiles |
|---|---|---|
| 2021/04/16 01:44:58.1430 UTC | 2021/04/16 02:31:03.5003 UTC | 55755 |
|
|
|
|
|
Begin |
End | Number Profiles |
|---|---|---|
| 2021/04/16 02:31:03.5499 UTC | 2021/04/16 03:23:30.5344 UTC | 63450 |
|
|
|
|
|
Begin |
End | Number Profiles |
|---|---|---|
| 2021/04/16 03:23:30.5840 UTC | 2021/04/16 04:09:34.4524 UTC | 55725 |
|
|
|
|
|
Begin |
End | Number Profiles |
|---|---|---|
| 2021/04/16 04:09:34.5020 UTC | 2021/04/16 05:02:01.4874 UTC | 63450 |
|
|
|
|
|
Begin |
End | Number Profiles |
|---|---|---|
| 2021/04/16 05:02:01.5370 UTC | 2021/04/16 05:48:06.1503 UTC | 55740 |
|
|
|
|
|
Begin |
End | Number Profiles |
|---|---|---|
| 2021/04/16 05:48:06.1999 UTC | 2021/04/16 06:40:33.1853 UTC | 63450 |
|
|
|
|
|
Begin |
End | Number Profiles |
|---|---|---|
| 2021/04/16 06:40:33.2349 UTC | 2021/04/16 07:26:37.1044 UTC | 55725 |
|
|
|
|
|
Begin |
End | Number Profiles |
|---|---|---|
| 2021/04/16 07:26:37.1540 UTC | 2021/04/16 08:19:04.1384 UTC | 63450 |
|
|
|
|
|
Begin |
End | Number Profiles |
|---|---|---|
| 2021/04/16 08:19:04.1880 UTC | 2021/04/16 09:05:09.5444 UTC | 55755 |
|
|
|
|
|
Begin |
End | Number Profiles |
|---|---|---|
| 2021/04/16 09:05:09.5940 UTC | 2021/04/16 09:57:36.5764 UTC | 63450 |
|
|
|
|
|
Begin |
End | Number Profiles |
|---|---|---|
| 2021/04/16 09:57:36.6260 UTC | 2021/04/16 10:43:41.2374 UTC | 55740 |
|
|
|
|
|
Begin |
End | Number Profiles |
|---|---|---|
| 2021/04/16 10:43:41.2870 UTC | 2021/04/16 11:36:05.2934 UTC | 63390 |
|
|
|
|
|
Begin |
End | Number Profiles |
|---|---|---|
| 2021/04/16 13:14:39.2709 UTC | 2021/04/16 14:00:44.6294 UTC | 55755 |
|
|
|
|
|
Begin |
End | Number Profiles |
|---|---|---|
| 2021/04/16 14:00:44.6790 UTC | 2021/04/16 14:53:11.6653 UTC | 63450 |
|
|
|
|
|
Begin |
End | Number Profiles |
|---|---|---|
| 2021/04/16 14:53:11.7150 UTC | 2021/04/16 15:39:15.5864 UTC | 55725 |
|
|
|
|
|
Begin |
End | Number Profiles |
|---|---|---|
| 2021/04/16 15:39:15.6360 UTC | 2021/04/16 16:31:42.6223 UTC | 63450 |
|
|
|
|
|
Begin |
End | Number Profiles |
|---|---|---|
| 2021/04/16 16:31:42.6719 UTC | 2021/04/16 17:17:47.2863 UTC | 55740 |
|
|
|
|
|
Begin |
End | Number Profiles |
|---|---|---|
| 2021/04/16 17:17:47.3359 UTC | 2021/04/16 18:10:14.3204 UTC | 63450 |
|
|
|
|
|
Begin |
End | Number Profiles |
|---|---|---|
| 2021/04/16 18:10:14.3700 UTC | 2021/04/16 18:56:18.2394 UTC | 55725 |
|
|
|
|
|
Begin |
End | Number Profiles |
|---|---|---|
| 2021/04/16 18:56:18.2890 UTC | 2021/04/16 19:48:45.2734 UTC | 63450 |
|
|
|
|
|
Begin |
End | Number Profiles |
|---|---|---|
| 2021/04/16 19:48:45.3230 UTC | 2021/04/16 20:34:50.6804 UTC | 55755 |
|
|
|
|
|
Begin |
End | Number Profiles |
|---|---|---|
| 2021/04/16 20:34:50.7300 UTC | 2021/04/16 21:27:16.9694 UTC | 63435 |
|
|
|
|
|
Begin |
End | Number Profiles |
|---|---|---|
| 2021/04/16 21:27:17.0190 UTC | 2021/04/16 22:13:22.3754 UTC | 55755 |
|
|
|
|
|
Begin |
End | Number Profiles |
|---|---|---|
| 2021/04/16 22:13:22.4250 UTC | 2021/04/16 23:05:48.6634 UTC | 63435 |
|
|
|
|
|
Begin |
End | Number Profiles |
|---|---|---|
| 2021/04/16 23:05:48.7130 UTC | 2021/04/16 23:51:53.3253 UTC | 55740 |
|
|
|
|
|
Begin |
End | Number Profiles |
|---|---|---|
| 2021/04/16 23:51:53.3749 UTC | 2021/04/17 00:44:20.3573 UTC | 63405 |
|
|
|
|
|




















































































































