|
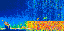
Displayed on this page are scaled, color-modulated, altitude-time images of CALIPSO attenuated backscatter (/km/sr) including:
- 532 nm total (parallel + perpendicular) attenuated backscatter
- 532 nm perpendicular attenuated backscatter
- 1064 nm total attenuated backscatter
The orbit track locations for the entire Level 1 .hdf file are in black and the orbit track locations corresponding to this page are color coded.
For the full scale images:
- the color bars for attenuated backscatter show the colors assigned to ranges of attenuated backscatter, /km/sr
- the horizontal axes are annotated with latitude (deg) and longitude (deg)
- the vertical axes are annotated to indicate altitude in kilometers
- the date and time of the measurements are listed as UTC time
- the names of the CALIPSO data products for the Lidar Level 1 attenuated backscatter granules are included
The scaled images on this page are organized by CALIPSO data product day and night orbit granules.
The maps with a shaded background indicate nightime measurements.
There are a maximum of 4 scaled images per granule.
The orbit tracks plotted on the maps show the measurement locations for each granule.
For each granule, the scaled images are ordered from left to right and their locations along the orbit tracks are color coded as: image one, image two, image three, image four.
Begin |
End | Number Profiles |
|---|---|---|
| 2021/07/02 00:07:55.7570 UTC | 2021/07/02 01:00:12.2844 UTC | 63240 |
|
|
|
|
|
Begin |
End | Number Profiles |
|---|---|---|
| 2021/07/02 01:00:12.3329 UTC | 2021/07/02 01:46:25.0934 UTC | 55905 |
|
|
|
|
|
Begin |
End | Number Profiles |
|---|---|---|
| 2021/07/02 01:46:25.1429 UTC | 2021/07/02 02:38:43.1583 UTC | 63270 |
|
|
|
|
|
Begin |
End | Number Profiles |
|---|---|---|
| 2021/07/02 02:38:43.2079 UTC | 2021/07/02 03:24:55.9684 UTC | 55905 |
|
|
|
|
|
Begin |
End | Number Profiles |
|---|---|---|
| 2021/07/02 03:24:56.0179 UTC | 2021/07/02 04:17:14.0324 UTC | 63270 |
|
|
|
|
|
Begin |
End | Number Profiles |
|---|---|---|
| 2021/07/02 04:17:14.0820 UTC | 2021/07/02 05:03:27.5853 UTC | 55920 |
|
|
|
|
|
Begin |
End | Number Profiles |
|---|---|---|
| 2021/07/02 05:03:27.6349 UTC | 2021/07/02 05:55:45.6503 UTC | 63270 |
|
|
|
|
|
Begin |
End | Number Profiles |
|---|---|---|
| 2021/07/02 05:55:45.6999 UTC | 2021/07/02 06:41:58.4594 UTC | 55905 |
|
|
|
|
|
Begin |
End | Number Profiles |
|---|---|---|
| 2021/07/02 06:41:58.5090 UTC | 2021/07/02 07:34:16.5244 UTC | 63270 |
|
|
|
|
|
Begin |
End | Number Profiles |
|---|---|---|
| 2021/07/02 07:34:16.5740 UTC | 2021/07/02 08:20:29.3334 UTC | 55905 |
|
|
|
|
|
Begin |
End | Number Profiles |
|---|---|---|
| 2021/07/02 08:20:29.3819 UTC | 2021/07/02 09:12:47.3964 UTC | 63270 |
|
|
|
|
|
Begin |
End | Number Profiles |
|---|---|---|
| 2021/07/02 09:12:47.4460 UTC | 2021/07/02 09:59:00.2044 UTC | 55905 |
|
|
|
|
|
Begin |
End | Number Profiles |
|---|---|---|
| 2021/07/02 09:59:00.2540 UTC | 2021/07/02 10:51:17.5224 UTC | 63255 |
|
|
|
|
|
Begin |
End | Number Profiles |
|---|---|---|
| 2021/07/02 10:51:17.5720 UTC | 2021/07/02 11:37:30.3314 UTC | 55905 |
|
|
|
|
|
Begin |
End | Number Profiles |
|---|---|---|
| 2021/07/02 11:37:30.3810 UTC | 2021/07/02 12:29:48.3964 UTC | 63270 |
|
|
|
|
|
Begin |
End | Number Profiles |
|---|---|---|
| 2021/07/02 12:29:48.4460 UTC | 2021/07/02 13:16:01.2054 UTC | 55905 |
|
|
|
|
|
Begin |
End | Number Profiles |
|---|---|---|
| 2021/07/02 13:16:01.2550 UTC | 2021/07/02 14:08:19.2714 UTC | 63270 |
|
|
|
|
|
Begin |
End | Number Profiles |
|---|---|---|
| 2021/07/02 14:08:19.3210 UTC | 2021/07/02 14:54:32.0834 UTC | 55905 |
|
|
|
|
|
Begin |
End | Number Profiles |
|---|---|---|
| 2021/07/02 14:54:32.1320 UTC | 2021/07/02 15:46:50.1494 UTC | 63270 |
|
|
|
|
|
Begin |
End | Number Profiles |
|---|---|---|
| 2021/07/02 15:46:50.1990 UTC | 2021/07/02 16:33:03.7044 UTC | 55920 |
|
|
|
|
|
Begin |
End | Number Profiles |
|---|---|---|
| 2021/07/02 16:33:03.7540 UTC | 2021/07/02 17:25:21.0244 UTC | 63255 |
|
|
|
|
|
Begin |
End | Number Profiles |
|---|---|---|
| 2021/07/02 17:25:21.0740 UTC | 2021/07/02 18:11:34.5753 UTC | 55920 |
|
|
|
|
|
Begin |
End | Number Profiles |
|---|---|---|
| 2021/07/02 18:11:34.6249 UTC | 2021/07/02 19:03:51.1493 UTC | 63240 |
|
|
|
|
|
Begin |
End | Number Profiles |
|---|---|---|
| 2021/07/02 19:03:51.1989 UTC | 2021/07/02 19:50:04.7004 UTC | 55920 |
|
|
|
|
|
Begin |
End | Number Profiles |
|---|---|---|
| 2021/07/02 19:50:04.7500 UTC | 2021/07/02 20:42:22.0174 UTC | 63255 |
|
|
|
|
|
Begin |
End | Number Profiles |
|---|---|---|
| 2021/07/02 20:42:22.0670 UTC | 2021/07/02 21:28:35.5674 UTC | 55920 |
|
|
|
|
|
Begin |
End | Number Profiles |
|---|---|---|
| 2021/07/02 21:28:35.6169 UTC | 2021/07/02 22:20:53.6284 UTC | 62805 |
|
|
|
|
|
Begin |
End | Number Profiles |
|---|---|---|
| 2021/07/02 22:20:53.6780 UTC | 2021/07/02 23:07:06.4364 UTC | 55575 |
|
|
|
|
|
Begin |
End | Number Profiles |
|---|---|---|
| 2021/07/02 23:07:06.4860 UTC | 2021/07/02 23:59:24.4994 UTC | 63150 |
|
|
|
|
|
Begin |
End | Number Profiles |
|---|---|---|
| 2021/07/02 23:59:24.5490 UTC | 2021/07/03 00:45:37.3094 UTC | 55905 |
|
|
|
|
|




























































































































