|
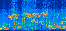
Displayed on this page are scaled, color-modulated, altitude-time images of CALIPSO attenuated backscatter (/km/sr) including:
- 532 nm total (parallel + perpendicular) attenuated backscatter
- 532 nm perpendicular attenuated backscatter
- 1064 nm total attenuated backscatter
The orbit track locations for the entire Level 1 .hdf file are in black and the orbit track locations corresponding to this page are color coded.
For the full scale images:
- the color bars for attenuated backscatter show the colors assigned to ranges of attenuated backscatter, /km/sr
- the horizontal axes are annotated with latitude (deg) and longitude (deg)
- the vertical axes are annotated to indicate altitude in kilometers
- the date and time of the measurements are listed as UTC time
- the names of the CALIPSO data products for the Lidar Level 1 attenuated backscatter granules are included
The scaled images on this page are organized by CALIPSO data product day and night orbit granules.
The maps with a shaded background indicate nightime measurements.
There are a maximum of 4 scaled images per granule.
The orbit tracks plotted on the maps show the measurement locations for each granule.
For each granule, the scaled images are ordered from left to right and their locations along the orbit tracks are color coded as: image one, image two, image three, image four.
Begin |
End | Number Profiles |
|---|---|---|
| 2021/07/07 00:51:43.1450 UTC | 2021/07/07 01:37:56.6494 UTC | 55920 |
|
|
|
|
|
Begin |
End | Number Profiles |
|---|---|---|
| 2021/07/07 01:37:56.6990 UTC | 2021/07/07 02:30:13.9693 UTC | 63180 |
|
|
|
|
|
Begin |
End | Number Profiles |
|---|---|---|
| 2021/07/07 02:30:14.0189 UTC | 2021/07/07 03:16:27.5234 UTC | 55920 |
|
|
|
|
|
Begin |
End | Number Profiles |
|---|---|---|
| 2021/07/07 03:16:27.5730 UTC | 2021/07/07 04:08:44.0993 UTC | 63240 |
|
|
|
|
|
Begin |
End | Number Profiles |
|---|---|---|
| 2021/07/07 04:08:44.1489 UTC | 2021/07/07 04:54:57.6524 UTC | 55920 |
|
|
|
|
|
Begin |
End | Number Profiles |
|---|---|---|
| 2021/07/07 04:54:57.7020 UTC | 2021/07/07 05:47:14.9724 UTC | 63255 |
|
|
|
|
|
Begin |
End | Number Profiles |
|---|---|---|
| 2021/07/07 05:47:15.0220 UTC | 2021/07/07 06:33:28.5244 UTC | 55920 |
|
|
|
|
|
Begin |
End | Number Profiles |
|---|---|---|
| 2021/07/07 06:33:28.5740 UTC | 2021/07/07 07:25:46.5883 UTC | 63270 |
|
|
|
|
|
Begin |
End | Number Profiles |
|---|---|---|
| 2021/07/07 07:25:46.6379 UTC | 2021/07/07 08:11:59.3973 UTC | 55905 |
|
|
|
|
|
Begin |
End | Number Profiles |
|---|---|---|
| 2021/07/07 08:11:59.4470 UTC | 2021/07/07 09:04:17.4614 UTC | 63270 |
|
|
|
|
|
Begin |
End | Number Profiles |
|---|---|---|
| 2021/07/07 09:04:17.5110 UTC | 2021/07/07 09:50:30.2684 UTC | 55905 |
|
|
|
|
|
Begin |
End | Number Profiles |
|---|---|---|
| 2021/07/07 09:50:30.3180 UTC | 2021/07/07 10:42:48.3324 UTC | 63270 |
|
|
|
|
|
Begin |
End | Number Profiles |
|---|---|---|
| 2021/07/07 10:42:48.3820 UTC | 2021/07/07 11:29:01.1413 UTC | 55905 |
|
|
|
|
|
Begin |
End | Number Profiles |
|---|---|---|
| 2021/07/07 11:29:01.1909 UTC | 2021/07/07 12:21:19.2063 UTC | 63270 |
|
|
|
|
|
Begin |
End | Number Profiles |
|---|---|---|
| 2021/07/07 12:21:19.2559 UTC | 2021/07/07 13:07:31.2744 UTC | 55890 |
|
|
|
|
|
Begin |
End | Number Profiles |
|---|---|---|
| 2021/07/07 13:07:31.3240 UTC | 2021/07/07 13:59:49.3423 UTC | 63270 |
|
|
|
|
|
Begin |
End | Number Profiles |
|---|---|---|
| 2021/07/07 13:59:49.3919 UTC | 2021/07/07 14:46:02.1544 UTC | 55905 |
|
|
|
|
|
Begin |
End | Number Profiles |
|---|---|---|
| 2021/07/07 14:46:02.2040 UTC | 2021/07/07 15:38:20.2203 UTC | 63270 |
|
|
|
|
|
Begin |
End | Number Profiles |
|---|---|---|
| 2021/07/07 15:38:20.2699 UTC | 2021/07/07 16:24:33.0304 UTC | 55905 |
|
|
|
|
|
Begin |
End | Number Profiles |
|---|---|---|
| 2021/07/07 16:24:33.0799 UTC | 2021/07/07 17:16:51.0953 UTC | 63270 |
|
|
|
|
|
Begin |
End | Number Profiles |
|---|---|---|
| 2021/07/07 17:16:51.1449 UTC | 2021/07/07 18:03:04.6473 UTC | 55920 |
|
|
|
|
|
Begin |
End | Number Profiles |
|---|---|---|
| 2021/07/07 18:03:04.6969 UTC | 2021/07/07 18:55:21.9654 UTC | 63255 |
|
|
|
|
|
Begin |
End | Number Profiles |
|---|---|---|
| 2021/07/07 18:55:22.0150 UTC | 2021/07/07 19:41:34.0284 UTC | 55890 |
|
|
|
|
|
Begin |
End | Number Profiles |
|---|---|---|
| 2021/07/07 19:41:34.0780 UTC | 2021/07/07 20:33:52.0894 UTC | 63120 |
|
|
|
|
|
Begin |
End | Number Profiles |
|---|---|---|
| 2021/07/07 21:20:05.6900 UTC | 2021/07/07 22:12:23.7024 UTC | 63180 |
|
|
|
|
|
Begin |
End | Number Profiles |
|---|---|---|
| 2021/07/07 22:12:23.7509 UTC | 2021/07/07 22:58:36.5103 UTC | 55845 |
|
|
|
|
|
Begin |
End | Number Profiles |
|---|---|---|
| 2021/07/07 22:58:36.5599 UTC | 2021/07/07 23:50:54.5733 UTC | 63270 |
|
|
|
|
|
Begin |
End | Number Profiles |
|---|---|---|
| 2021/07/07 23:50:54.6229 UTC | 2021/07/08 00:37:07.3823 UTC | 55905 |
|
|
|
|
|




















































































































