|
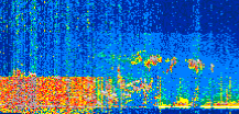
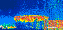
Displayed on this page are scaled, color-modulated, altitude-time images of CALIPSO attenuated backscatter (/km/sr) including:
- 532 nm total (parallel + perpendicular) attenuated backscatter
- 532 nm perpendicular attenuated backscatter
- 1064 nm total attenuated backscatter
The orbit track locations for the entire Level 1 .hdf file are in black and the orbit track locations corresponding to this page are color coded.
For the full scale images:
- the color bars for attenuated backscatter show the colors assigned to ranges of attenuated backscatter, /km/sr
- the horizontal axes are annotated with latitude (deg) and longitude (deg)
- the vertical axes are annotated to indicate altitude in kilometers
- the date and time of the measurements are listed as UTC time
- the names of the CALIPSO data products for the Lidar Level 1 attenuated backscatter granules are included
The scaled images on this page are organized by CALIPSO data product day and night orbit granules.
The maps with a shaded background indicate nightime measurements.
There are a maximum of 4 scaled images per granule.
The orbit tracks plotted on the maps show the measurement locations for each granule.
For each granule, the scaled images are ordered from left to right and their locations along the orbit tracks are color coded as: image one, image two, image three, image four.
Begin |
End | Number Profiles |
|---|---|---|
| 2021/08/03 00:31:31.5869 UTC | 2021/08/03 01:23:53.3364 UTC | 63345 |
|
|
|
|
|
Begin |
End | Number Profiles |
|---|---|---|
| 2021/08/03 01:23:53.3860 UTC | 2021/08/03 02:10:02.4403 UTC | 55830 |
|
|
|
|
|
Begin |
End | Number Profiles |
|---|---|---|
| 2021/08/03 02:10:02.4899 UTC | 2021/08/03 03:02:23.4974 UTC | 63330 |
|
|
|
|
|
Begin |
End | Number Profiles |
|---|---|---|
| 2021/08/03 03:02:23.5470 UTC | 2021/08/03 03:48:32.5994 UTC | 55830 |
|
|
|
|
|
Begin |
End | Number Profiles |
|---|---|---|
| 2021/08/03 03:48:32.6490 UTC | 2021/08/03 04:40:54.3994 UTC | 63345 |
|
|
|
|
|
Begin |
End | Number Profiles |
|---|---|---|
| 2021/08/03 04:40:54.4490 UTC | 2021/08/03 05:27:03.5013 UTC | 55830 |
|
|
|
|
|
Begin |
End | Number Profiles |
|---|---|---|
| 2021/08/03 05:27:03.5509 UTC | 2021/08/03 06:19:24.5564 UTC | 63330 |
|
|
|
|
|
Begin |
End | Number Profiles |
|---|---|---|
| 2021/08/03 06:19:24.6060 UTC | 2021/08/03 07:05:33.6604 UTC | 55830 |
|
|
|
|
|
Begin |
End | Number Profiles |
|---|---|---|
| 2021/08/03 07:05:33.7100 UTC | 2021/08/03 07:57:55.4614 UTC | 63345 |
|
|
|
|
|
Begin |
End | Number Profiles |
|---|---|---|
| 2021/08/03 07:57:55.5110 UTC | 2021/08/03 08:44:04.5644 UTC | 55830 |
|
|
|
|
|
Begin |
End | Number Profiles |
|---|---|---|
| 2021/08/03 08:44:04.6140 UTC | 2021/08/03 09:36:26.3634 UTC | 63345 |
|
|
|
|
|
Begin |
End | Number Profiles |
|---|---|---|
| 2021/08/03 09:36:26.4130 UTC | 2021/08/03 10:22:33.9784 UTC | 55800 |
|
|
|
|
|
Begin |
End | Number Profiles |
|---|---|---|
| 2021/08/03 10:22:34.0280 UTC | 2021/08/03 11:14:56.5224 UTC | 63360 |
|
|
|
|
|
Begin |
End | Number Profiles |
|---|---|---|
| 2021/08/03 11:14:56.5720 UTC | 2021/08/03 12:01:05.6274 UTC | 55830 |
|
|
|
|
|
Begin |
End | Number Profiles |
|---|---|---|
| 2021/08/03 12:01:05.6770 UTC | 2021/08/03 12:53:27.4284 UTC | 63345 |
|
|
|
|
|
Begin |
End | Number Profiles |
|---|---|---|
| 2021/08/03 12:53:27.4780 UTC | 2021/08/03 13:39:36.5344 UTC | 55830 |
|
|
|
|
|
Begin |
End | Number Profiles |
|---|---|---|
| 2021/08/03 13:39:36.5840 UTC | 2021/08/03 14:31:57.5924 UTC | 63330 |
|
|
|
|
|
Begin |
End | Number Profiles |
|---|---|---|
| 2021/08/03 14:31:57.6420 UTC | 2021/08/03 15:18:06.6993 UTC | 55830 |
|
|
|
|
|
Begin |
End | Number Profiles |
|---|---|---|
| 2021/08/03 15:18:06.7489 UTC | 2021/08/03 16:10:28.5023 UTC | 63345 |
|
|
|
|
|
Begin |
End | Number Profiles |
|---|---|---|
| 2021/08/03 16:10:28.5520 UTC | 2021/08/03 16:56:37.6074 UTC | 55830 |
|
|
|
|
|
Begin |
End | Number Profiles |
|---|---|---|
| 2021/08/03 16:56:37.6570 UTC | 2021/08/03 17:48:59.4084 UTC | 63345 |
|
|
|
|
|
Begin |
End | Number Profiles |
|---|---|---|
| 2021/08/03 17:48:59.4580 UTC | 2021/08/03 18:35:07.0234 UTC | 55800 |
|
|
|
|
|
Begin |
End | Number Profiles |
|---|---|---|
| 2021/08/03 18:35:07.0730 UTC | 2021/08/03 19:27:29.5663 UTC | 63360 |
|
|
|
|
|
Begin |
End | Number Profiles |
|---|---|---|
| 2021/08/03 19:27:29.6159 UTC | 2021/08/03 20:13:38.6694 UTC | 55830 |
|
|
|
|
|
Begin |
End | Number Profiles |
|---|---|---|
| 2021/08/03 20:13:38.7190 UTC | 2021/08/03 21:06:00.4684 UTC | 63345 |
|
|
|
|
|
Begin |
End | Number Profiles |
|---|---|---|
| 2021/08/03 21:06:00.5180 UTC | 2021/08/03 21:52:09.5703 UTC | 55830 |
|
|
|
|
|
Begin |
End | Number Profiles |
|---|---|---|
| 2021/08/03 21:52:09.6199 UTC | 2021/08/03 22:44:30.6243 UTC | 63330 |
|
|
|
|
|
Begin |
End | Number Profiles |
|---|---|---|
| 2021/08/03 22:44:30.6739 UTC | 2021/08/03 23:30:38.9834 UTC | 55815 |
|
|
|
|
|
Begin |
End | Number Profiles |
|---|---|---|
| 2021/08/03 23:30:39.0330 UTC | 2021/08/04 00:23:01.5273 UTC | 63360 |
|
|
|
|
|
























































































































