|
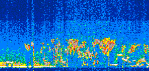
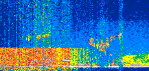
Displayed on this page are scaled, color-modulated, altitude-time images of CALIPSO attenuated backscatter (/km/sr) including:
- 532 nm total (parallel + perpendicular) attenuated backscatter
- 532 nm perpendicular attenuated backscatter
- 1064 nm total attenuated backscatter
The orbit track locations for the entire Level 1 .hdf file are in black and the orbit track locations corresponding to this page are color coded.
For the full scale images:
- the color bars for attenuated backscatter show the colors assigned to ranges of attenuated backscatter, /km/sr
- the horizontal axes are annotated with latitude (deg) and longitude (deg)
- the vertical axes are annotated to indicate altitude in kilometers
- the date and time of the measurements are listed as UTC time
- the names of the CALIPSO data products for the Lidar Level 1 attenuated backscatter granules are included
The scaled images on this page are organized by CALIPSO data product day and night orbit granules.
The maps with a shaded background indicate nightime measurements.
There are a maximum of 4 scaled images per granule.
The orbit tracks plotted on the maps show the measurement locations for each granule.
For each granule, the scaled images are ordered from left to right and their locations along the orbit tracks are color coded as: image one, image two, image three, image four.
Begin |
End | Number Profiles |
|---|---|---|
| 2021/08/21 00:19:22.7230 UTC | 2021/08/21 01:11:49.7024 UTC | 63450 |
|
|
|
|
|
Begin |
End | Number Profiles |
|---|---|---|
| 2021/08/21 01:11:49.7520 UTC | 2021/08/21 01:57:53.6183 UTC | 55725 |
|
|
|
|
|
Begin |
End | Number Profiles |
|---|---|---|
| 2021/08/21 01:57:53.6679 UTC | 2021/08/21 02:50:20.6473 UTC | 63450 |
|
|
|
|
|
Begin |
End | Number Profiles |
|---|---|---|
| 2021/08/21 02:50:20.6969 UTC | 2021/08/21 03:36:23.0754 UTC | 55695 |
|
|
|
|
|
Begin |
End | Number Profiles |
|---|---|---|
| 2021/08/21 03:36:23.1250 UTC | 2021/08/21 04:28:50.1024 UTC | 63450 |
|
|
|
|
|
Begin |
End | Number Profiles |
|---|---|---|
| 2021/08/21 04:28:50.1520 UTC | 2021/08/21 05:14:53.2724 UTC | 55710 |
|
|
|
|
|
Begin |
End | Number Profiles |
|---|---|---|
| 2021/08/21 05:14:53.3220 UTC | 2021/08/21 06:07:21.0434 UTC | 63465 |
|
|
|
|
|
Begin |
End | Number Profiles |
|---|---|---|
| 2021/08/21 06:07:21.0930 UTC | 2021/08/21 06:53:24.2143 UTC | 55710 |
|
|
|
|
|
Begin |
End | Number Profiles |
|---|---|---|
| 2021/08/21 06:53:24.2639 UTC | 2021/08/21 07:45:51.2423 UTC | 63450 |
|
|
|
|
|
Begin |
End | Number Profiles |
|---|---|---|
| 2021/08/21 07:45:51.2920 UTC | 2021/08/21 08:31:54.4144 UTC | 55710 |
|
|
|
|
|
Begin |
End | Number Profiles |
|---|---|---|
| 2021/08/21 08:31:54.4640 UTC | 2021/08/21 09:24:22.1864 UTC | 63465 |
|
|
|
|
|
Begin |
End | Number Profiles |
|---|---|---|
| 2021/08/21 09:24:22.2360 UTC | 2021/08/21 10:10:25.3584 UTC | 55710 |
|
|
|
|
|
Begin |
End | Number Profiles |
|---|---|---|
| 2021/08/21 10:10:25.4080 UTC | 2021/08/21 11:02:53.1313 UTC | 63465 |
|
|
|
|
|
Begin |
End | Number Profiles |
|---|---|---|
| 2021/08/21 11:02:53.1809 UTC | 2021/08/21 11:48:55.5604 UTC | 55695 |
|
|
|
|
|
Begin |
End | Number Profiles |
|---|---|---|
| 2021/08/21 11:48:55.6100 UTC | 2021/08/21 12:41:23.3354 UTC | 63465 |
|
|
|
|
|
Begin |
End | Number Profiles |
|---|---|---|
| 2021/08/21 12:41:23.3850 UTC | 2021/08/21 13:27:26.5094 UTC | 55710 |
|
|
|
|
|
Begin |
End | Number Profiles |
|---|---|---|
| 2021/08/21 13:27:26.5590 UTC | 2021/08/21 14:19:54.2844 UTC | 63465 |
|
|
|
|
|
Begin |
End | Number Profiles |
|---|---|---|
| 2021/08/21 14:19:54.3340 UTC | 2021/08/21 15:05:55.9704 UTC | 55680 |
|
|
|
|
|
Begin |
End | Number Profiles |
|---|---|---|
| 2021/08/21 15:05:56.0200 UTC | 2021/08/21 15:58:24.4883 UTC | 63480 |
|
|
|
|
|
Begin |
End | Number Profiles |
|---|---|---|
| 2021/08/21 15:58:24.5379 UTC | 2021/08/21 16:44:27.6603 UTC | 55710 |
|
|
|
|
|
Begin |
End | Number Profiles |
|---|---|---|
| 2021/08/21 16:44:27.7099 UTC | 2021/08/21 17:36:54.6884 UTC | 63450 |
|
|
|
|
|
Begin |
End | Number Profiles |
|---|---|---|
| 2021/08/21 17:36:54.7380 UTC | 2021/08/21 18:22:57.1144 UTC | 55695 |
|
|
|
|
|
Begin |
End | Number Profiles |
|---|---|---|
| 2021/08/21 18:22:57.1640 UTC | 2021/08/21 19:15:25.6303 UTC | 63480 |
|
|
|
|
|
Begin |
End | Number Profiles |
|---|---|---|
| 2021/08/21 19:15:25.6799 UTC | 2021/08/21 20:01:28.0554 UTC | 55695 |
|
|
|
|
|
Begin |
End | Number Profiles |
|---|---|---|
| 2021/08/21 20:01:28.1050 UTC | 2021/08/21 20:53:55.0814 UTC | 63450 |
|
|
|
|
|
Begin |
End | Number Profiles |
|---|---|---|
| 2021/08/21 20:53:55.1310 UTC | 2021/08/21 21:39:58.2504 UTC | 55710 |
|
|
|
|
|
Begin |
End | Number Profiles |
|---|---|---|
| 2021/08/21 21:39:58.2990 UTC | 2021/08/21 22:32:26.0204 UTC | 63465 |
|
|
|
|
|
Begin |
End | Number Profiles |
|---|---|---|
| 2021/08/21 22:32:26.0700 UTC | 2021/08/21 23:18:29.1914 UTC | 55365 |
|
|
|
|
|
Begin |
End | Number Profiles |
|---|---|---|
| 2021/08/21 23:18:29.2409 UTC | 2021/08/22 00:10:56.2193 UTC | 63450 |
|
|
|
|
|
























































































































