|
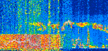
Displayed on this page are scaled, color-modulated, altitude-time images of CALIPSO attenuated backscatter (/km/sr) including:
- 532 nm total (parallel + perpendicular) attenuated backscatter
- 532 nm perpendicular attenuated backscatter
- 1064 nm total attenuated backscatter
The orbit track locations for the entire Level 1 .hdf file are in black and the orbit track locations corresponding to this page are color coded.
For the full scale images:
- the color bars for attenuated backscatter show the colors assigned to ranges of attenuated backscatter, /km/sr
- the horizontal axes are annotated with latitude (deg) and longitude (deg)
- the vertical axes are annotated to indicate altitude in kilometers
- the date and time of the measurements are listed as UTC time
- the names of the CALIPSO data products for the Lidar Level 1 attenuated backscatter granules are included
The scaled images on this page are organized by CALIPSO data product day and night orbit granules.
The maps with a shaded background indicate nightime measurements.
There are a maximum of 4 scaled images per granule.
The orbit tracks plotted on the maps show the measurement locations for each granule.
For each granule, the scaled images are ordered from left to right and their locations along the orbit tracks are color coded as: image one, image two, image three, image four.
Begin |
End | Number Profiles |
|---|---|---|
| 2021/08/27 00:02:02.2319 UTC | 2021/08/27 00:48:03.1294 UTC | 55665 |
|
|
|
|
|
Begin |
End | Number Profiles |
|---|---|---|
| 2021/08/27 00:48:03.1790 UTC | 2021/08/27 01:40:32.3974 UTC | 63495 |
|
|
|
|
|
Begin |
End | Number Profiles |
|---|---|---|
| 2021/08/27 01:40:32.4470 UTC | 2021/08/27 02:26:33.3444 UTC | 55665 |
|
|
|
|
|
Begin |
End | Number Profiles |
|---|---|---|
| 2021/08/27 02:26:33.3940 UTC | 2021/08/27 03:19:03.3563 UTC | 63510 |
|
|
|
|
|
Begin |
End | Number Profiles |
|---|---|---|
| 2021/08/27 03:19:03.4059 UTC | 2021/08/27 04:05:03.5584 UTC | 55650 |
|
|
|
|
|
Begin |
End | Number Profiles |
|---|---|---|
| 2021/08/27 04:05:03.6080 UTC | 2021/08/27 04:57:33.5694 UTC | 63510 |
|
|
|
|
|
Begin |
End | Number Profiles |
|---|---|---|
| 2021/08/27 04:57:33.6190 UTC | 2021/08/27 05:43:34.5163 UTC | 55665 |
|
|
|
|
|
Begin |
End | Number Profiles |
|---|---|---|
| 2021/08/27 05:43:34.5659 UTC | 2021/08/27 06:36:04.5284 UTC | 63510 |
|
|
|
|
|
Begin |
End | Number Profiles |
|---|---|---|
| 2021/08/27 06:36:04.5780 UTC | 2021/08/27 07:22:03.9864 UTC | 55635 |
|
|
|
|
|
Begin |
End | Number Profiles |
|---|---|---|
| 2021/08/27 07:22:04.0360 UTC | 2021/08/27 08:14:33.9974 UTC | 63510 |
|
|
|
|
|
Begin |
End | Number Profiles |
|---|---|---|
| 2021/08/27 08:14:34.0470 UTC | 2021/08/27 09:00:35.6873 UTC | 55680 |
|
|
|
|
|
Begin |
End | Number Profiles |
|---|---|---|
| 2021/08/27 09:00:35.7369 UTC | 2021/08/27 09:53:05.6983 UTC | 63510 |
|
|
|
|
|
Begin |
End | Number Profiles |
|---|---|---|
| 2021/08/27 09:53:05.7479 UTC | 2021/08/27 10:39:05.1564 UTC | 55635 |
|
|
|
|
|
Begin |
End | Number Profiles |
|---|---|---|
| 2021/08/27 10:39:05.2060 UTC | 2021/08/27 11:31:35.1694 UTC | 63510 |
|
|
|
|
|
Begin |
End | Number Profiles |
|---|---|---|
| 2021/08/27 11:31:35.2190 UTC | 2021/08/27 12:17:36.1194 UTC | 55665 |
|
|
|
|
|
Begin |
End | Number Profiles |
|---|---|---|
| 2021/08/27 12:17:36.1690 UTC | 2021/08/27 13:10:06.1354 UTC | 63510 |
|
|
|
|
|
Begin |
End | Number Profiles |
|---|---|---|
| 2021/08/27 13:10:06.1850 UTC | 2021/08/27 13:56:06.3423 UTC | 55650 |
|
|
|
|
|
Begin |
End | Number Profiles |
|---|---|---|
| 2021/08/27 13:56:06.3919 UTC | 2021/08/27 14:48:36.3594 UTC | 63510 |
|
|
|
|
|
Begin |
End | Number Profiles |
|---|---|---|
| 2021/08/27 14:48:36.4090 UTC | 2021/08/27 15:34:36.5664 UTC | 55650 |
|
|
|
|
|
Begin |
End | Number Profiles |
|---|---|---|
| 2021/08/27 15:34:36.6159 UTC | 2021/08/27 16:27:07.3263 UTC | 63525 |
|
|
|
|
|
Begin |
End | Number Profiles |
|---|---|---|
| 2021/08/27 16:27:07.3759 UTC | 2021/08/27 17:13:07.5304 UTC | 55650 |
|
|
|
|
|
Begin |
End | Number Profiles |
|---|---|---|
| 2021/08/27 17:13:07.5800 UTC | 2021/08/27 18:05:37.5433 UTC | 63510 |
|
|
|
|
|
Begin |
End | Number Profiles |
|---|---|---|
| 2021/08/27 18:05:37.5929 UTC | 2021/08/27 18:51:37.0014 UTC | 55635 |
|
|
|
|
|
Begin |
End | Number Profiles |
|---|---|---|
| 2021/08/27 18:51:37.0510 UTC | 2021/08/27 19:44:08.4994 UTC | 63540 |
|
|
|
|
|
Begin |
End | Number Profiles |
|---|---|---|
| 2021/08/27 19:44:08.5490 UTC | 2021/08/27 20:30:08.6993 UTC | 55650 |
|
|
|
|
|
Begin |
End | Number Profiles |
|---|---|---|
| 2021/08/27 20:30:08.7490 UTC | 2021/08/27 21:22:37.9653 UTC | 63495 |
|
|
|
|
|
Begin |
End | Number Profiles |
|---|---|---|
| 2021/08/27 21:22:38.0149 UTC | 2021/08/27 22:08:38.1664 UTC | 55650 |
|
|
|
|
|
Begin |
End | Number Profiles |
|---|---|---|
| 2021/08/27 22:08:38.2160 UTC | 2021/08/27 23:01:09.6644 UTC | 63540 |
|
|
|
|
|
Begin |
End | Number Profiles |
|---|---|---|
| 2021/08/27 23:01:09.7140 UTC | 2021/08/27 23:47:09.1244 UTC | 55635 |
|
|
|
|
|
Begin |
End | Number Profiles |
|---|---|---|
| 2021/08/27 23:47:09.1740 UTC | 2021/08/28 00:39:39.1384 UTC | 63510 |
|
|
|
|
|




























































































































