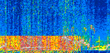
|
Displayed on this page are scaled, color-modulated, altitude-time images of CALIPSO attenuated backscatter (/km/sr) including:
- 532 nm total (parallel + perpendicular) attenuated backscatter
- 532 nm perpendicular attenuated backscatter
- 1064 nm total attenuated backscatter
The orbit track locations for the entire Level 1 .hdf file are in black and the orbit track locations corresponding to this page are color coded.
For the full scale images:
- the color bars for attenuated backscatter show the colors assigned to ranges of attenuated backscatter, /km/sr
- the horizontal axes are annotated with latitude (deg) and longitude (deg)
- the vertical axes are annotated to indicate altitude in kilometers
- the date and time of the measurements are listed as UTC time
- the names of the CALIPSO data products for the Lidar Level 1 attenuated backscatter granules are included
The scaled images on this page are organized by CALIPSO data product day and night orbit granules.
The maps with a shaded background indicate nightime measurements.
There are a maximum of 4 scaled images per granule.
The orbit tracks plotted on the maps show the measurement locations for each granule.
For each granule, the scaled images are ordered from left to right and their locations along the orbit tracks are color coded as: image one, image two, image three, image four.
Begin |
End | Number Profiles |
|---|---|---|
| 2022/03/23 00:46:27.4259 UTC | 2022/03/23 01:32:15.7054 UTC | 55410 |
|
|
|
|
|
Begin |
End | Number Profiles |
|---|---|---|
| 2022/03/23 01:32:15.7549 UTC | 2022/03/23 02:24:58.4173 UTC | 63765 |
|
|
|
|
|
Begin |
End | Number Profiles |
|---|---|---|
| 2022/03/23 02:24:58.4669 UTC | 2022/03/23 03:10:45.2583 UTC | 55380 |
|
|
|
|
|
Begin |
End | Number Profiles |
|---|---|---|
| 2022/03/23 03:10:45.3079 UTC | 2022/03/23 04:03:27.9724 UTC | 63765 |
|
|
|
|
|
Begin |
End | Number Profiles |
|---|---|---|
| 2022/03/23 04:03:28.0220 UTC | 2022/03/23 04:49:16.3003 UTC | 55410 |
|
|
|
|
|
Begin |
End | Number Profiles |
|---|---|---|
| 2022/03/23 04:49:16.3499 UTC | 2022/03/23 05:41:59.0144 UTC | 63765 |
|
|
|
|
|
Begin |
End | Number Profiles |
|---|---|---|
| 2022/03/23 05:41:59.0640 UTC | 2022/03/23 06:27:47.3424 UTC | 55410 |
|
|
|
|
|
Begin |
End | Number Profiles |
|---|---|---|
| 2022/03/23 06:27:47.3920 UTC | 2022/03/23 07:20:30.0554 UTC | 63765 |
|
|
|
|
|
Begin |
End | Number Profiles |
|---|---|---|
| 2022/03/23 07:20:30.1050 UTC | 2022/03/23 08:06:17.6394 UTC | 55395 |
|
|
|
|
|
Begin |
End | Number Profiles |
|---|---|---|
| 2022/03/23 08:06:17.6890 UTC | 2022/03/23 08:59:01.0974 UTC | 63780 |
|
|
|
|
|
Begin |
End | Number Profiles |
|---|---|---|
| 2022/03/23 08:59:01.1470 UTC | 2022/03/23 09:44:48.6823 UTC | 55395 |
|
|
|
|
|
Begin |
End | Number Profiles |
|---|---|---|
| 2022/03/23 09:44:48.7319 UTC | 2022/03/23 10:37:31.3953 UTC | 63765 |
|
|
|
|
|
Begin |
End | Number Profiles |
|---|---|---|
| 2022/03/23 10:37:31.4449 UTC | 2022/03/23 11:23:18.9804 UTC | 55395 |
|
|
|
|
|
Begin |
End | Number Profiles |
|---|---|---|
| 2022/03/23 11:23:19.0300 UTC | 2022/03/23 12:16:02.4373 UTC | 63780 |
|
|
|
|
|
Begin |
End | Number Profiles |
|---|---|---|
| 2022/03/23 12:16:02.4869 UTC | 2022/03/23 13:01:50.0224 UTC | 55395 |
|
|
|
|
|
Begin |
End | Number Profiles |
|---|---|---|
| 2022/03/23 13:01:50.0720 UTC | 2022/03/23 13:54:33.4794 UTC | 63780 |
|
|
|
|
|
Begin |
End | Number Profiles |
|---|---|---|
| 2022/03/23 13:54:33.5290 UTC | 2022/03/23 14:40:20.3193 UTC | 55380 |
|
|
|
|
|
Begin |
End | Number Profiles |
|---|---|---|
| 2022/03/23 14:40:20.3689 UTC | 2022/03/23 15:33:03.0323 UTC | 63765 |
|
|
|
|
|
Begin |
End | Number Profiles |
|---|---|---|
| 2022/03/23 15:33:03.0819 UTC | 2022/03/23 16:18:51.3604 UTC | 55410 |
|
|
|
|
|
Begin |
End | Number Profiles |
|---|---|---|
| 2022/03/23 16:18:51.4100 UTC | 2022/03/23 17:11:34.0734 UTC | 63765 |
|
|
|
|
|
Begin |
End | Number Profiles |
|---|---|---|
| 2022/03/23 17:11:34.1230 UTC | 2022/03/23 17:57:21.6573 UTC | 55395 |
|
|
|
|
|
Begin |
End | Number Profiles |
|---|---|---|
| 2022/03/23 17:57:21.7069 UTC | 2022/03/23 18:50:05.1123 UTC | 63780 |
|
|
|
|
|
Begin |
End | Number Profiles |
|---|---|---|
| 2022/03/23 18:50:05.1619 UTC | 2022/03/23 19:35:52.6964 UTC | 55395 |
|
|
|
|
|
Begin |
End | Number Profiles |
|---|---|---|
| 2022/03/23 19:35:52.7460 UTC | 2022/03/23 20:28:35.4074 UTC | 63765 |
|
|
|
|
|
Begin |
End | Number Profiles |
|---|---|---|
| 2022/03/23 20:28:35.4570 UTC | 2022/03/23 21:14:22.9913 UTC | 55395 |
|
|
|
|
|
Begin |
End | Number Profiles |
|---|---|---|
| 2022/03/23 21:14:23.0409 UTC | 2022/03/23 22:07:06.4464 UTC | 63780 |
|
|
|
|
|
Begin |
End | Number Profiles |
|---|---|---|
| 2022/03/23 22:07:06.4960 UTC | 2022/03/23 22:52:54.0303 UTC | 55395 |
|
|
|
|
|
Begin |
End | Number Profiles |
|---|---|---|
| 2022/03/23 22:52:54.0799 UTC | 2022/03/23 23:45:37.4864 UTC | 63780 |
|
|
|
|
|
Begin |
End | Number Profiles |
|---|---|---|
| 2022/03/23 23:45:37.5360 UTC | 2022/03/24 00:31:25.0704 UTC | 55395 |
|
|
|
|
|
























































































































