|
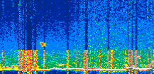
Displayed on this page are scaled, color-modulated, altitude-time images of CALIPSO attenuated backscatter (/km/sr) including:
- 532 nm total (parallel + perpendicular) attenuated backscatter
- 532 nm perpendicular attenuated backscatter
- 1064 nm total attenuated backscatter
The orbit track locations for the entire Level 1 .hdf file are in black and the orbit track locations corresponding to this page are color coded.
For the full scale images:
- the color bars for attenuated backscatter show the colors assigned to ranges of attenuated backscatter, /km/sr
- the horizontal axes are annotated with latitude (deg) and longitude (deg)
- the vertical axes are annotated to indicate altitude in kilometers
- the date and time of the measurements are listed as UTC time
- the names of the CALIPSO data products for the Lidar Level 1 attenuated backscatter granules are included
The scaled images on this page are organized by CALIPSO data product day and night orbit granules.
The maps with a shaded background indicate nightime measurements.
There are a maximum of 4 scaled images per granule.
The orbit tracks plotted on the maps show the measurement locations for each granule.
For each granule, the scaled images are ordered from left to right and their locations along the orbit tracks are color coded as: image one, image two, image three, image four.
Begin |
End | Number Profiles |
|---|---|---|
| 2022/04/22 00:39:08.4820 UTC | 2022/04/22 01:31:48.1554 UTC | 63705 |
|
|
|
|
|
Begin |
End | Number Profiles |
|---|---|---|
| 2022/04/22 01:31:48.2050 UTC | 2022/04/22 02:17:37.9673 UTC | 55440 |
|
|
|
|
|
Begin |
End | Number Profiles |
|---|---|---|
| 2022/04/22 02:17:38.0169 UTC | 2022/04/22 03:10:18.4354 UTC | 63720 |
|
|
|
|
|
Begin |
End | Number Profiles |
|---|---|---|
| 2022/04/22 03:10:18.4850 UTC | 2022/04/22 03:56:08.2473 UTC | 55440 |
|
|
|
|
|
Begin |
End | Number Profiles |
|---|---|---|
| 2022/04/22 03:56:08.2970 UTC | 2022/04/22 04:48:49.4584 UTC | 63735 |
|
|
|
|
|
Begin |
End | Number Profiles |
|---|---|---|
| 2022/04/22 04:48:49.5080 UTC | 2022/04/22 05:34:38.5264 UTC | 55425 |
|
|
|
|
|
Begin |
End | Number Profiles |
|---|---|---|
| 2022/04/22 05:34:38.5760 UTC | 2022/04/22 06:27:18.9943 UTC | 63720 |
|
|
|
|
|
Begin |
End | Number Profiles |
|---|---|---|
| 2022/04/22 06:27:19.0439 UTC | 2022/04/22 07:13:09.5494 UTC | 55455 |
|
|
|
|
|
Begin |
End | Number Profiles |
|---|---|---|
| 2022/04/22 07:13:09.5990 UTC | 2022/04/22 08:05:49.2713 UTC | 63705 |
|
|
|
|
|
Begin |
End | Number Profiles |
|---|---|---|
| 2022/04/22 08:05:49.3209 UTC | 2022/04/22 08:51:39.0823 UTC | 55440 |
|
|
|
|
|
Begin |
End | Number Profiles |
|---|---|---|
| 2022/04/22 08:51:39.1319 UTC | 2022/04/22 09:44:20.2934 UTC | 63735 |
|
|
|
|
|
Begin |
End | Number Profiles |
|---|---|---|
| 2022/04/22 09:44:20.3430 UTC | 2022/04/22 10:30:10.1053 UTC | 55440 |
|
|
|
|
|
Begin |
End | Number Profiles |
|---|---|---|
| 2022/04/22 10:30:10.1549 UTC | 2022/04/22 11:22:50.5734 UTC | 63720 |
|
|
|
|
|
Begin |
End | Number Profiles |
|---|---|---|
| 2022/04/22 11:22:50.6230 UTC | 2022/04/22 12:08:40.3853 UTC | 55440 |
|
|
|
|
|
Begin |
End | Number Profiles |
|---|---|---|
| 2022/04/22 12:08:40.4349 UTC | 2022/04/22 13:01:20.1084 UTC | 63705 |
|
|
|
|
|
Begin |
End | Number Profiles |
|---|---|---|
| 2022/04/22 13:01:20.1580 UTC | 2022/04/22 13:47:10.6653 UTC | 55455 |
|
|
|
|
|
Begin |
End | Number Profiles |
|---|---|---|
| 2022/04/22 13:47:10.7149 UTC | 2022/04/22 14:39:51.1334 UTC | 63720 |
|
|
|
|
|
Begin |
End | Number Profiles |
|---|---|---|
| 2022/04/22 14:39:51.1830 UTC | 2022/04/22 15:25:41.6894 UTC | 55455 |
|
|
|
|
|
Begin |
End | Number Profiles |
|---|---|---|
| 2022/04/22 15:25:41.7390 UTC | 2022/04/22 16:18:21.4123 UTC | 63705 |
|
|
|
|
|
Begin |
End | Number Profiles |
|---|---|---|
| 2022/04/22 16:18:21.4619 UTC | 2022/04/22 17:04:11.2233 UTC | 55440 |
|
|
|
|
|
Begin |
End | Number Profiles |
|---|---|---|
| 2022/04/22 17:04:11.2729 UTC | 2022/04/22 17:56:51.6884 UTC | 63720 |
|
|
|
|
|
Begin |
End | Number Profiles |
|---|---|---|
| 2022/04/22 17:56:51.7380 UTC | 2022/04/22 18:42:41.4994 UTC | 55440 |
|
|
|
|
|
Begin |
End | Number Profiles |
|---|---|---|
| 2022/04/22 18:42:41.5490 UTC | 2022/04/22 19:35:21.2194 UTC | 63705 |
|
|
|
|
|
Begin |
End | Number Profiles |
|---|---|---|
| 2022/04/22 19:35:21.2690 UTC | 2022/04/22 20:21:11.0294 UTC | 55440 |
|
|
|
|
|
Begin |
End | Number Profiles |
|---|---|---|
| 2022/04/22 20:21:11.0790 UTC | 2022/04/22 21:13:52.2364 UTC | 63735 |
|
|
|
|
|
Begin |
End | Number Profiles |
|---|---|---|
| 2022/04/22 21:13:52.2860 UTC | 2022/04/22 21:59:42.0483 UTC | 55440 |
|
|
|
|
|
Begin |
End | Number Profiles |
|---|---|---|
| 2022/04/22 21:59:42.0979 UTC | 2022/04/22 22:52:22.5143 UTC | 63720 |
|
|
|
|
|
Begin |
End | Number Profiles |
|---|---|---|
| 2022/04/22 22:52:22.5639 UTC | 2022/04/22 23:38:12.3264 UTC | 55440 |
|
|
|
|
|
Begin |
End | Number Profiles |
|---|---|---|
| 2022/04/22 23:38:12.3760 UTC | 2022/04/23 00:30:52.0493 UTC | 63705 |
|
|
|
|
|
























































































































