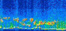
|
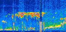
Displayed on this page are scaled, color-modulated, altitude-time images of CALIPSO attenuated backscatter (/km/sr) including:
- 532 nm total (parallel + perpendicular) attenuated backscatter
- 532 nm perpendicular attenuated backscatter
- 1064 nm total attenuated backscatter
The orbit track locations for the entire Level 1 .hdf file are in black and the orbit track locations corresponding to this page are color coded.
For the full scale images:
- the color bars for attenuated backscatter show the colors assigned to ranges of attenuated backscatter, /km/sr
- the horizontal axes are annotated with latitude (deg) and longitude (deg)
- the vertical axes are annotated to indicate altitude in kilometers
- the date and time of the measurements are listed as UTC time
- the names of the CALIPSO data products for the Lidar Level 1 attenuated backscatter granules are included
The scaled images on this page are organized by CALIPSO data product day and night orbit granules.
The maps with a shaded background indicate nightime measurements.
There are a maximum of 4 scaled images per granule.
The orbit tracks plotted on the maps show the measurement locations for each granule.
For each granule, the scaled images are ordered from left to right and their locations along the orbit tracks are color coded as: image one, image two, image three, image four.
Begin |
End | Number Profiles |
|---|---|---|
| 2022/05/03 00:12:25.0200 UTC | 2022/05/03 00:58:17.0114 UTC | 55485 |
|
|
|
|
|
Begin |
End | Number Profiles |
|---|---|---|
| 2022/05/03 00:58:17.0610 UTC | 2022/05/03 01:50:55.2384 UTC | 63675 |
|
|
|
|
|
Begin |
End | Number Profiles |
|---|---|---|
| 2022/05/03 01:50:55.2880 UTC | 2022/05/03 02:36:47.2794 UTC | 55485 |
|
|
|
|
|
Begin |
End | Number Profiles |
|---|---|---|
| 2022/05/03 02:36:47.3290 UTC | 2022/05/03 03:29:25.5063 UTC | 63675 |
|
|
|
|
|
Begin |
End | Number Profiles |
|---|---|---|
| 2022/05/03 03:29:25.5559 UTC | 2022/05/03 04:15:17.5474 UTC | 55485 |
|
|
|
|
|
Begin |
End | Number Profiles |
|---|---|---|
| 2022/05/03 04:15:17.5970 UTC | 2022/05/03 05:07:55.0304 UTC | 63660 |
|
|
|
|
|
Begin |
End | Number Profiles |
|---|---|---|
| 2022/05/03 05:07:55.0800 UTC | 2022/05/03 05:53:47.0714 UTC | 55485 |
|
|
|
|
|
Begin |
End | Number Profiles |
|---|---|---|
| 2022/05/03 05:53:47.1210 UTC | 2022/05/03 06:46:26.0414 UTC | 63690 |
|
|
|
|
|
Begin |
End | Number Profiles |
|---|---|---|
| 2022/05/03 06:46:26.0910 UTC | 2022/05/03 07:32:18.0814 UTC | 55485 |
|
|
|
|
|
Begin |
End | Number Profiles |
|---|---|---|
| 2022/05/03 07:32:18.1310 UTC | 2022/05/03 08:24:56.3063 UTC | 63675 |
|
|
|
|
|
Begin |
End | Number Profiles |
|---|---|---|
| 2022/05/03 08:24:56.3559 UTC | 2022/05/03 09:10:48.3464 UTC | 55485 |
|
|
|
|
|
Begin |
End | Number Profiles |
|---|---|---|
| 2022/05/03 09:10:48.3960 UTC | 2022/05/03 10:03:26.5734 UTC | 63675 |
|
|
|
|
|
Begin |
End | Number Profiles |
|---|---|---|
| 2022/05/03 10:03:26.6230 UTC | 2022/05/03 10:49:18.6134 UTC | 55485 |
|
|
|
|
|
Begin |
End | Number Profiles |
|---|---|---|
| 2022/05/03 10:49:18.6630 UTC | 2022/05/03 11:41:56.0963 UTC | 63660 |
|
|
|
|
|
Begin |
End | Number Profiles |
|---|---|---|
| 2022/05/03 11:41:56.1459 UTC | 2022/05/03 12:27:48.1364 UTC | 55485 |
|
|
|
|
|
Begin |
End | Number Profiles |
|---|---|---|
| 2022/05/03 12:27:48.1860 UTC | 2022/05/03 13:20:26.3634 UTC | 63675 |
|
|
|
|
|
Begin |
End | Number Profiles |
|---|---|---|
| 2022/05/03 13:20:26.4130 UTC | 2022/05/03 14:06:18.4034 UTC | 55485 |
|
|
|
|
|
Begin |
End | Number Profiles |
|---|---|---|
| 2022/05/03 14:06:18.4530 UTC | 2022/05/03 14:58:56.6294 UTC | 63675 |
|
|
|
|
|
Begin |
End | Number Profiles |
|---|---|---|
| 2022/05/03 14:58:56.6790 UTC | 2022/05/03 15:44:48.6703 UTC | 55485 |
|
|
|
|
|
Begin |
End | Number Profiles |
|---|---|---|
| 2022/05/03 15:44:48.7199 UTC | 2022/05/03 16:37:26.1524 UTC | 63660 |
|
|
|
|
|
Begin |
End | Number Profiles |
|---|---|---|
| 2022/05/03 16:37:26.2020 UTC | 2022/05/03 17:23:18.1934 UTC | 55485 |
|
|
|
|
|
Begin |
End | Number Profiles |
|---|---|---|
| 2022/05/03 17:23:18.2430 UTC | 2022/05/03 18:15:57.1624 UTC | 63690 |
|
|
|
|
|
Begin |
End | Number Profiles |
|---|---|---|
| 2022/05/03 18:15:57.2120 UTC | 2022/05/03 19:01:49.2034 UTC | 55485 |
|
|
|
|
|
Begin |
End | Number Profiles |
|---|---|---|
| 2022/05/03 19:01:49.2530 UTC | 2022/05/03 19:54:27.4294 UTC | 63675 |
|
|
|
|
|
Begin |
End | Number Profiles |
|---|---|---|
| 2022/05/03 19:54:27.4790 UTC | 2022/05/03 20:40:19.4703 UTC | 55485 |
|
|
|
|
|
Begin |
End | Number Profiles |
|---|---|---|
| 2022/05/03 20:40:19.5199 UTC | 2022/05/03 21:32:57.6963 UTC | 63675 |
|
|
|
|
|
Begin |
End | Number Profiles |
|---|---|---|
| 2022/05/03 21:32:57.7459 UTC | 2022/05/03 22:18:48.9923 UTC | 55470 |
|
|
|
|
|
Begin |
End | Number Profiles |
|---|---|---|
| 2022/05/03 22:18:49.0419 UTC | 2022/05/03 23:11:27.2183 UTC | 63465 |
|
|
|
|
|
Begin |
End | Number Profiles |
|---|---|---|
| 2022/05/03 23:11:27.2679 UTC | 2022/05/03 23:57:19.2584 UTC | 55485 |
|
|
|
|
|
Begin |
End | Number Profiles |
|---|---|---|
| 2022/05/03 23:57:19.3080 UTC | 2022/05/04 00:49:57.4854 UTC | 63675 |
|
|
|
|
|




























































































































