|
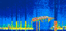
Displayed on this page are scaled, color-modulated, altitude-time images of CALIPSO attenuated backscatter (/km/sr) including:
- 532 nm total (parallel + perpendicular) attenuated backscatter
- 532 nm perpendicular attenuated backscatter
- 1064 nm total attenuated backscatter
The orbit track locations for the entire Level 1 .hdf file are in black and the orbit track locations corresponding to this page are color coded.
For the full scale images:
- the color bars for attenuated backscatter show the colors assigned to ranges of attenuated backscatter, /km/sr
- the horizontal axes are annotated with latitude (deg) and longitude (deg)
- the vertical axes are annotated to indicate altitude in kilometers
- the date and time of the measurements are listed as UTC time
- the names of the CALIPSO data products for the Lidar Level 1 attenuated backscatter granules are included
The scaled images on this page are organized by CALIPSO data product day and night orbit granules.
The maps with a shaded background indicate nightime measurements.
There are a maximum of 4 scaled images per granule.
The orbit tracks plotted on the maps show the measurement locations for each granule.
For each granule, the scaled images are ordered from left to right and their locations along the orbit tracks are color coded as: image one, image two, image three, image four.
Begin |
End | Number Profiles |
|---|---|---|
| 2022/05/29 00:01:53.2260 UTC | 2022/05/29 00:47:51.1593 UTC | 55605 |
|
|
|
|
|
Begin |
End | Number Profiles |
|---|---|---|
| 2022/05/29 00:47:51.2089 UTC | 2022/05/29 01:40:23.4184 UTC | 63555 |
|
|
|
|
|
Begin |
End | Number Profiles |
|---|---|---|
| 2022/05/29 01:40:23.4680 UTC | 2022/05/29 02:26:21.4014 UTC | 55605 |
|
|
|
|
|
Begin |
End | Number Profiles |
|---|---|---|
| 2022/05/29 02:26:21.4510 UTC | 2022/05/29 03:18:53.6594 UTC | 63555 |
|
|
|
|
|
Begin |
End | Number Profiles |
|---|---|---|
| 2022/05/29 03:18:53.7090 UTC | 2022/05/29 04:04:50.1544 UTC | 55575 |
|
|
|
|
|
Begin |
End | Number Profiles |
|---|---|---|
| 2022/05/29 04:04:50.2040 UTC | 2022/05/29 04:57:22.4104 UTC | 63555 |
|
|
|
|
|
Begin |
End | Number Profiles |
|---|---|---|
| 2022/05/29 04:57:22.4600 UTC | 2022/05/29 05:43:20.3914 UTC | 55605 |
|
|
|
|
|
Begin |
End | Number Profiles |
|---|---|---|
| 2022/05/29 05:43:20.4410 UTC | 2022/05/29 06:35:52.6464 UTC | 63555 |
|
|
|
|
|
Begin |
End | Number Profiles |
|---|---|---|
| 2022/05/29 06:35:52.6960 UTC | 2022/05/29 07:21:49.1394 UTC | 55575 |
|
|
|
|
|
Begin |
End | Number Profiles |
|---|---|---|
| 2022/05/29 07:21:49.1890 UTC | 2022/05/29 08:14:21.3953 UTC | 63555 |
|
|
|
|
|
Begin |
End | Number Profiles |
|---|---|---|
| 2022/05/29 08:14:21.4449 UTC | 2022/05/29 09:00:19.3764 UTC | 55605 |
|
|
|
|
|
Begin |
End | Number Profiles |
|---|---|---|
| 2022/05/29 09:00:19.4260 UTC | 2022/05/29 09:52:51.6313 UTC | 63555 |
|
|
|
|
|
Begin |
End | Number Profiles |
|---|---|---|
| 2022/05/29 09:52:51.6810 UTC | 2022/05/29 10:38:49.6114 UTC | 55605 |
|
|
|
|
|
Begin |
End | Number Profiles |
|---|---|---|
| 2022/05/29 10:38:49.6610 UTC | 2022/05/29 11:31:21.1223 UTC | 63540 |
|
|
|
|
|
Begin |
End | Number Profiles |
|---|---|---|
| 2022/05/29 11:31:21.1719 UTC | 2022/05/29 12:17:19.1044 UTC | 55605 |
|
|
|
|
|
Begin |
End | Number Profiles |
|---|---|---|
| 2022/05/29 12:17:19.1539 UTC | 2022/05/29 13:09:51.3604 UTC | 63555 |
|
|
|
|
|
Begin |
End | Number Profiles |
|---|---|---|
| 2022/05/29 13:09:51.4100 UTC | 2022/05/29 13:55:48.5984 UTC | 55590 |
|
|
|
|
|
Begin |
End | Number Profiles |
|---|---|---|
| 2022/05/29 13:55:48.6480 UTC | 2022/05/29 14:48:20.1114 UTC | 63540 |
|
|
|
|
|
Begin |
End | Number Profiles |
|---|---|---|
| 2022/05/29 14:48:20.1610 UTC | 2022/05/29 15:34:18.0934 UTC | 55605 |
|
|
|
|
|
Begin |
End | Number Profiles |
|---|---|---|
| 2022/05/29 15:34:18.1430 UTC | 2022/05/29 16:26:50.3484 UTC | 63555 |
|
|
|
|
|
Begin |
End | Number Profiles |
|---|---|---|
| 2022/05/29 16:26:50.3980 UTC | 2022/05/29 17:12:48.3284 UTC | 55605 |
|
|
|
|
|
Begin |
End | Number Profiles |
|---|---|---|
| 2022/05/29 17:12:48.3780 UTC | 2022/05/29 18:05:19.0934 UTC | 63525 |
|
|
|
|
|
Begin |
End | Number Profiles |
|---|---|---|
| 2022/05/29 18:05:19.1430 UTC | 2022/05/29 18:51:17.0723 UTC | 55605 |
|
|
|
|
|
Begin |
End | Number Profiles |
|---|---|---|
| 2022/05/29 18:51:17.1219 UTC | 2022/05/29 19:43:49.3254 UTC | 63555 |
|
|
|
|
|
Begin |
End | Number Profiles |
|---|---|---|
| 2022/05/29 19:43:49.3750 UTC | 2022/05/29 20:29:47.3023 UTC | 55605 |
|
|
|
|
|
Begin |
End | Number Profiles |
|---|---|---|
| 2022/05/29 20:29:47.3519 UTC | 2022/05/29 21:22:19.5543 UTC | 63555 |
|
|
|
|
|
Begin |
End | Number Profiles |
|---|---|---|
| 2022/05/29 21:22:19.6039 UTC | 2022/05/29 22:08:17.5334 UTC | 55605 |
|
|
|
|
|
Begin |
End | Number Profiles |
|---|---|---|
| 2022/05/29 22:08:17.5830 UTC | 2022/05/29 23:00:49.0424 UTC | 63525 |
|
|
|
|
|
Begin |
End | Number Profiles |
|---|---|---|
| 2022/05/29 23:00:49.0920 UTC | 2022/05/29 23:46:47.0233 UTC | 55560 |
|
|
|
|
|
Begin |
End | Number Profiles |
|---|---|---|
| 2022/05/29 23:46:47.0729 UTC | 2022/05/30 00:39:18.5344 UTC | 63525 |
|
|
|
|
|




























































































































