|
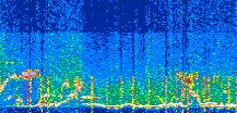
Displayed on this page are scaled, color-modulated, altitude-time images of CALIPSO attenuated backscatter (/km/sr) including:
- 532 nm total (parallel + perpendicular) attenuated backscatter
- 532 nm perpendicular attenuated backscatter
- 1064 nm total attenuated backscatter
The orbit track locations for the entire Level 1 .hdf file are in black and the orbit track locations corresponding to this page are color coded.
For the full scale images:
- the color bars for attenuated backscatter show the colors assigned to ranges of attenuated backscatter, /km/sr
- the horizontal axes are annotated with latitude (deg) and longitude (deg)
- the vertical axes are annotated to indicate altitude in kilometers
- the date and time of the measurements are listed as UTC time
- the names of the CALIPSO data products for the Lidar Level 1 attenuated backscatter granules are included
The scaled images on this page are organized by CALIPSO data product day and night orbit granules.
The maps with a shaded background indicate nightime measurements.
There are a maximum of 4 scaled images per granule.
The orbit tracks plotted on the maps show the measurement locations for each granule.
For each granule, the scaled images are ordered from left to right and their locations along the orbit tracks are color coded as: image one, image two, image three, image four.
Begin |
End | Number Profiles |
|---|---|---|
| 2022/06/20 00:36:19.1890 UTC | 2022/06/20 01:22:20.0844 UTC | 55650 |
|
|
|
|
|
Begin |
End | Number Profiles |
|---|---|---|
| 2022/06/20 01:22:20.1340 UTC | 2022/06/20 02:14:49.3504 UTC | 63495 |
|
|
|
|
|
Begin |
End | Number Profiles |
|---|---|---|
| 2022/06/20 02:14:49.4000 UTC | 2022/06/20 03:00:50.2954 UTC | 55665 |
|
|
|
|
|
Begin |
End | Number Profiles |
|---|---|---|
| 2022/06/20 03:00:50.3450 UTC | 2022/06/20 03:53:18.0744 UTC | 63465 |
|
|
|
|
|
Begin |
End | Number Profiles |
|---|---|---|
| 2022/06/20 03:53:18.1240 UTC | 2022/06/20 04:39:19.0194 UTC | 55665 |
|
|
|
|
|
Begin |
End | Number Profiles |
|---|---|---|
| 2022/06/20 04:39:19.0690 UTC | 2022/06/20 05:31:47.5413 UTC | 63480 |
|
|
|
|
|
Begin |
End | Number Profiles |
|---|---|---|
| 2022/06/20 05:31:47.5909 UTC | 2022/06/20 06:17:48.4874 UTC | 55665 |
|
|
|
|
|
Begin |
End | Number Profiles |
|---|---|---|
| 2022/06/20 06:17:48.5370 UTC | 2022/06/20 07:10:17.0093 UTC | 63480 |
|
|
|
|
|
Begin |
End | Number Profiles |
|---|---|---|
| 2022/06/20 07:10:17.0589 UTC | 2022/06/20 07:56:17.2104 UTC | 55650 |
|
|
|
|
|
Begin |
End | Number Profiles |
|---|---|---|
| 2022/06/20 07:56:17.2600 UTC | 2022/06/20 08:48:46.4753 UTC | 63495 |
|
|
|
|
|
Begin |
End | Number Profiles |
|---|---|---|
| 2022/06/20 08:48:46.5249 UTC | 2022/06/20 09:34:47.4203 UTC | 55665 |
|
|
|
|
|
Begin |
End | Number Profiles |
|---|---|---|
| 2022/06/20 09:34:47.4699 UTC | 2022/06/20 10:27:16.6874 UTC | 63495 |
|
|
|
|
|
Begin |
End | Number Profiles |
|---|---|---|
| 2022/06/20 10:27:16.7370 UTC | 2022/06/20 11:13:16.1454 UTC | 55635 |
|
|
|
|
|
Begin |
End | Number Profiles |
|---|---|---|
| 2022/06/20 11:13:16.1950 UTC | 2022/06/20 12:05:45.4123 UTC | 63495 |
|
|
|
|
|
Begin |
End | Number Profiles |
|---|---|---|
| 2022/06/20 12:05:45.4619 UTC | 2022/06/20 12:51:46.3584 UTC | 55665 |
|
|
|
|
|
Begin |
End | Number Profiles |
|---|---|---|
| 2022/06/20 12:51:46.4080 UTC | 2022/06/20 13:44:14.1394 UTC | 63465 |
|
|
|
|
|
Begin |
End | Number Profiles |
|---|---|---|
| 2022/06/20 13:44:14.1890 UTC | 2022/06/20 14:30:15.0863 UTC | 55665 |
|
|
|
|
|
Begin |
End | Number Profiles |
|---|---|---|
| 2022/06/20 14:30:15.1359 UTC | 2022/06/20 15:22:44.3553 UTC | 63495 |
|
|
|
|
|
Begin |
End | Number Profiles |
|---|---|---|
| 2022/06/20 15:22:44.4049 UTC | 2022/06/20 16:08:44.5594 UTC | 55650 |
|
|
|
|
|
Begin |
End | Number Profiles |
|---|---|---|
| 2022/06/20 16:08:44.6090 UTC | 2022/06/20 17:01:13.0844 UTC | 63480 |
|
|
|
|
|
Begin |
End | Number Profiles |
|---|---|---|
| 2022/06/20 17:01:13.1340 UTC | 2022/06/20 17:47:14.0294 UTC | 55665 |
|
|
|
|
|
Begin |
End | Number Profiles |
|---|---|---|
| 2022/06/20 17:47:14.0790 UTC | 2022/06/20 18:39:42.5514 UTC | 63480 |
|
|
|
|
|
Begin |
End | Number Profiles |
|---|---|---|
| 2022/06/20 18:39:42.6010 UTC | 2022/06/20 19:25:43.4944 UTC | 55665 |
|
|
|
|
|
Begin |
End | Number Profiles |
|---|---|---|
| 2022/06/20 19:25:43.5440 UTC | 2022/06/20 20:18:12.0153 UTC | 63480 |
|
|
|
|
|
Begin |
End | Number Profiles |
|---|---|---|
| 2022/06/20 20:18:12.0649 UTC | 2022/06/20 21:04:12.2144 UTC | 55650 |
|
|
|
|
|
Begin |
End | Number Profiles |
|---|---|---|
| 2022/06/20 21:04:12.2640 UTC | 2022/06/20 21:56:41.4794 UTC | 63495 |
|
|
|
|
|
Begin |
End | Number Profiles |
|---|---|---|
| 2022/06/20 21:56:41.5290 UTC | 2022/06/20 22:42:42.4233 UTC | 55665 |
|
|
|
|
|
Begin |
End | Number Profiles |
|---|---|---|
| 2022/06/20 22:42:42.4729 UTC | 2022/06/20 23:35:10.1994 UTC | 63465 |
|
|
|
|
|
Begin |
End | Number Profiles |
|---|---|---|
| 2022/06/20 23:35:10.2490 UTC | 2022/06/21 00:21:11.1433 UTC | 55665 |
|
|
|
|
|
























































































































