|
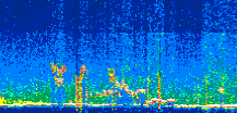
Displayed on this page are scaled, color-modulated, altitude-time images of CALIPSO attenuated backscatter (/km/sr) including:
- 532 nm total (parallel + perpendicular) attenuated backscatter
- 532 nm perpendicular attenuated backscatter
- 1064 nm total attenuated backscatter
The orbit track locations for the entire Level 1 .hdf file are in black and the orbit track locations corresponding to this page are color coded.
For the full scale images:
- the color bars for attenuated backscatter show the colors assigned to ranges of attenuated backscatter, /km/sr
- the horizontal axes are annotated with latitude (deg) and longitude (deg)
- the vertical axes are annotated to indicate altitude in kilometers
- the date and time of the measurements are listed as UTC time
- the names of the CALIPSO data products for the Lidar Level 1 attenuated backscatter granules are included
The scaled images on this page are organized by CALIPSO data product day and night orbit granules.
The maps with a shaded background indicate nightime measurements.
There are a maximum of 4 scaled images per granule.
The orbit tracks plotted on the maps show the measurement locations for each granule.
For each granule, the scaled images are ordered from left to right and their locations along the orbit tracks are color coded as: image one, image two, image three, image four.
Begin |
End | Number Profiles |
|---|---|---|
| 2022/07/18 00:43:20.3850 UTC | 2022/07/18 01:35:50.3494 UTC | 63510 |
|
|
|
|
|
Begin |
End | Number Profiles |
|---|---|---|
| 2022/07/18 01:35:50.3990 UTC | 2022/07/18 02:21:49.0663 UTC | 55620 |
|
|
|
|
|
Begin |
End | Number Profiles |
|---|---|---|
| 2022/07/18 02:21:49.1159 UTC | 2022/07/18 03:14:19.0804 UTC | 63510 |
|
|
|
|
|
Begin |
End | Number Profiles |
|---|---|---|
| 2022/07/18 03:14:19.1300 UTC | 2022/07/18 04:00:18.5413 UTC | 55635 |
|
|
|
|
|
Begin |
End | Number Profiles |
|---|---|---|
| 2022/07/18 04:00:18.5909 UTC | 2022/07/18 04:52:48.5564 UTC | 63510 |
|
|
|
|
|
Begin |
End | Number Profiles |
|---|---|---|
| 2022/07/18 04:52:48.6059 UTC | 2022/07/18 05:38:47.2744 UTC | 55620 |
|
|
|
|
|
Begin |
End | Number Profiles |
|---|---|---|
| 2022/07/18 05:38:47.3240 UTC | 2022/07/18 06:31:17.2883 UTC | 63510 |
|
|
|
|
|
Begin |
End | Number Profiles |
|---|---|---|
| 2022/07/18 06:31:17.3379 UTC | 2022/07/18 07:17:16.0064 UTC | 55620 |
|
|
|
|
|
Begin |
End | Number Profiles |
|---|---|---|
| 2022/07/18 07:17:16.0559 UTC | 2022/07/18 08:09:46.0214 UTC | 63510 |
|
|
|
|
|
Begin |
End | Number Profiles |
|---|---|---|
| 2022/07/18 08:09:46.0710 UTC | 2022/07/18 08:55:45.4824 UTC | 55635 |
|
|
|
|
|
Begin |
End | Number Profiles |
|---|---|---|
| 2022/07/18 08:55:45.5320 UTC | 2022/07/18 09:48:15.4964 UTC | 63510 |
|
|
|
|
|
Begin |
End | Number Profiles |
|---|---|---|
| 2022/07/18 09:48:15.5460 UTC | 2022/07/18 10:34:14.2133 UTC | 55620 |
|
|
|
|
|
Begin |
End | Number Profiles |
|---|---|---|
| 2022/07/18 10:34:14.2629 UTC | 2022/07/18 11:26:44.2294 UTC | 63510 |
|
|
|
|
|
Begin |
End | Number Profiles |
|---|---|---|
| 2022/07/18 11:26:44.2790 UTC | 2022/07/18 12:12:43.6924 UTC | 55635 |
|
|
|
|
|
Begin |
End | Number Profiles |
|---|---|---|
| 2022/07/18 12:12:43.7420 UTC | 2022/07/18 13:05:12.9654 UTC | 63495 |
|
|
|
|
|
Begin |
End | Number Profiles |
|---|---|---|
| 2022/07/18 13:05:13.0150 UTC | 2022/07/18 13:51:12.4293 UTC | 55635 |
|
|
|
|
|
Begin |
End | Number Profiles |
|---|---|---|
| 2022/07/18 13:51:12.4790 UTC | 2022/07/18 14:43:42.4484 UTC | 63510 |
|
|
|
|
|
Begin |
End | Number Profiles |
|---|---|---|
| 2022/07/18 14:43:42.4980 UTC | 2022/07/18 15:29:41.1683 UTC | 55620 |
|
|
|
|
|
Begin |
End | Number Profiles |
|---|---|---|
| 2022/07/18 15:29:41.2179 UTC | 2022/07/18 16:22:11.1854 UTC | 63510 |
|
|
|
|
|
Begin |
End | Number Profiles |
|---|---|---|
| 2022/07/18 16:22:11.2350 UTC | 2022/07/18 17:08:10.6484 UTC | 55635 |
|
|
|
|
|
Begin |
End | Number Profiles |
|---|---|---|
| 2022/07/18 17:08:10.6980 UTC | 2022/07/18 18:00:40.6643 UTC | 63510 |
|
|
|
|
|
Begin |
End | Number Profiles |
|---|---|---|
| 2022/07/18 18:00:40.7139 UTC | 2022/07/18 18:46:39.3804 UTC | 55620 |
|
|
|
|
|
Begin |
End | Number Profiles |
|---|---|---|
| 2022/07/18 18:46:39.4300 UTC | 2022/07/18 19:39:09.3933 UTC | 63510 |
|
|
|
|
|
Begin |
End | Number Profiles |
|---|---|---|
| 2022/07/18 19:39:09.4429 UTC | 2022/07/18 20:25:08.1074 UTC | 55620 |
|
|
|
|
|
Begin |
End | Number Profiles |
|---|---|---|
| 2022/07/18 20:25:08.1570 UTC | 2022/07/18 21:17:38.1193 UTC | 63510 |
|
|
|
|
|
Begin |
End | Number Profiles |
|---|---|---|
| 2022/07/18 21:17:38.1689 UTC | 2022/07/18 22:03:37.5784 UTC | 55635 |
|
|
|
|
|
Begin |
End | Number Profiles |
|---|---|---|
| 2022/07/18 22:03:37.6280 UTC | 2022/07/18 22:56:07.5904 UTC | 63510 |
|
|
|
|
|
Begin |
End | Number Profiles |
|---|---|---|
| 2022/07/18 22:56:07.6400 UTC | 2022/07/18 23:42:06.3064 UTC | 55620 |
|
|
|
|
|
Begin |
End | Number Profiles |
|---|---|---|
| 2022/07/18 23:42:06.3560 UTC | 2022/07/19 00:34:36.3203 UTC | 63510 |
|
|
|
|
|
























































































































