|
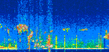
Displayed on this page are scaled, color-modulated, altitude-time images of CALIPSO attenuated backscatter (/km/sr) including:
- 532 nm total (parallel + perpendicular) attenuated backscatter
- 532 nm perpendicular attenuated backscatter
- 1064 nm total attenuated backscatter
The orbit track locations for the entire Level 1 .hdf file are in black and the orbit track locations corresponding to this page are color coded.
For the full scale images:
- the color bars for attenuated backscatter show the colors assigned to ranges of attenuated backscatter, /km/sr
- the horizontal axes are annotated with latitude (deg) and longitude (deg)
- the vertical axes are annotated to indicate altitude in kilometers
- the date and time of the measurements are listed as UTC time
- the names of the CALIPSO data products for the Lidar Level 1 attenuated backscatter granules are included
The scaled images on this page are organized by CALIPSO data product day and night orbit granules.
The maps with a shaded background indicate nightime measurements.
There are a maximum of 4 scaled images per granule.
The orbit tracks plotted on the maps show the measurement locations for each granule.
For each granule, the scaled images are ordered from left to right and their locations along the orbit tracks are color coded as: image one, image two, image three, image four.
Begin |
End | Number Profiles |
|---|---|---|
| 2022/09/03 00:18:38.6200 UTC | 2022/09/03 01:11:31.6994 UTC | 63975 |
|
|
|
|
|
Begin |
End | Number Profiles |
|---|---|---|
| 2022/09/03 01:11:31.7490 UTC | 2022/09/03 01:57:06.6374 UTC | 55140 |
|
|
|
|
|
Begin |
End | Number Profiles |
|---|---|---|
| 2022/09/03 01:57:06.6870 UTC | 2022/09/03 02:49:59.0233 UTC | 63960 |
|
|
|
|
|
Begin |
End | Number Profiles |
|---|---|---|
| 2022/09/03 02:49:59.0729 UTC | 2022/09/03 03:35:35.4484 UTC | 55170 |
|
|
|
|
|
Begin |
End | Number Profiles |
|---|---|---|
| 2022/09/03 03:35:35.4980 UTC | 2022/09/03 04:28:28.5784 UTC | 63975 |
|
|
|
|
|
Begin |
End | Number Profiles |
|---|---|---|
| 2022/09/03 04:28:28.6280 UTC | 2022/09/03 05:14:03.5164 UTC | 55140 |
|
|
|
|
|
Begin |
End | Number Profiles |
|---|---|---|
| 2022/09/03 05:14:03.5660 UTC | 2022/09/03 06:06:56.6453 UTC | 63975 |
|
|
|
|
|
Begin |
End | Number Profiles |
|---|---|---|
| 2022/09/03 06:06:56.6949 UTC | 2022/09/03 06:52:32.3274 UTC | 55155 |
|
|
|
|
|
Begin |
End | Number Profiles |
|---|---|---|
| 2022/09/03 06:52:32.3770 UTC | 2022/09/03 07:45:25.4584 UTC | 63975 |
|
|
|
|
|
Begin |
End | Number Profiles |
|---|---|---|
| 2022/09/03 07:45:25.5080 UTC | 2022/09/03 08:31:00.3964 UTC | 55140 |
|
|
|
|
|
Begin |
End | Number Profiles |
|---|---|---|
| 2022/09/03 08:31:00.4460 UTC | 2022/09/03 09:23:53.5264 UTC | 63975 |
|
|
|
|
|
Begin |
End | Number Profiles |
|---|---|---|
| 2022/09/03 09:23:53.5760 UTC | 2022/09/03 10:09:29.2084 UTC | 55155 |
|
|
|
|
|
Begin |
End | Number Profiles |
|---|---|---|
| 2022/09/03 10:09:29.2580 UTC | 2022/09/03 11:02:22.3384 UTC | 63975 |
|
|
|
|
|
Begin |
End | Number Profiles |
|---|---|---|
| 2022/09/03 11:02:22.3880 UTC | 2022/09/03 11:47:58.0203 UTC | 55155 |
|
|
|
|
|
Begin |
End | Number Profiles |
|---|---|---|
| 2022/09/03 11:47:58.0699 UTC | 2022/09/03 12:40:51.1524 UTC | 63975 |
|
|
|
|
|
Begin |
End | Number Profiles |
|---|---|---|
| 2022/09/03 12:40:51.2020 UTC | 2022/09/03 13:26:26.0904 UTC | 55140 |
|
|
|
|
|
Begin |
End | Number Profiles |
|---|---|---|
| 2022/09/03 13:26:26.1400 UTC | 2022/09/03 14:19:19.2234 UTC | 63975 |
|
|
|
|
|
Begin |
End | Number Profiles |
|---|---|---|
| 2022/09/03 14:19:19.2730 UTC | 2022/09/03 15:04:55.6494 UTC | 55170 |
|
|
|
|
|
Begin |
End | Number Profiles |
|---|---|---|
| 2022/09/03 15:04:55.6990 UTC | 2022/09/03 15:57:48.0393 UTC | 63960 |
|
|
|
|
|
Begin |
End | Number Profiles |
|---|---|---|
| 2022/09/03 15:57:48.0889 UTC | 2022/09/03 16:43:22.9773 UTC | 55140 |
|
|
|
|
|
Begin |
End | Number Profiles |
|---|---|---|
| 2022/09/03 16:43:23.0270 UTC | 2022/09/03 17:36:16.1103 UTC | 63975 |
|
|
|
|
|
Begin |
End | Number Profiles |
|---|---|---|
| 2022/09/03 17:36:16.1600 UTC | 2022/09/03 18:21:51.0474 UTC | 55140 |
|
|
|
|
|
Begin |
End | Number Profiles |
|---|---|---|
| 2022/09/03 18:21:51.0970 UTC | 2022/09/03 19:14:45.6654 UTC | 64005 |
|
|
|
|
|
Begin |
End | Number Profiles |
|---|---|---|
| 2022/09/03 19:14:45.7150 UTC | 2022/09/03 20:00:20.6024 UTC | 55140 |
|
|
|
|
|
Begin |
End | Number Profiles |
|---|---|---|
| 2022/09/03 20:00:20.6520 UTC | 2022/09/03 20:53:12.9864 UTC | 63960 |
|
|
|
|
|
Begin |
End | Number Profiles |
|---|---|---|
| 2022/09/03 20:53:13.0360 UTC | 2022/09/03 21:38:49.4103 UTC | 55170 |
|
|
|
|
|
Begin |
End | Number Profiles |
|---|---|---|
| 2022/09/03 21:38:49.4600 UTC | 2022/09/03 22:31:42.5364 UTC | 63975 |
|
|
|
|
|
Begin |
End | Number Profiles |
|---|---|---|
| 2022/09/03 22:31:42.5860 UTC | 2022/09/03 23:17:17.4733 UTC | 55140 |
|
|
|
|
|
Begin |
End | Number Profiles |
|---|---|---|
| 2022/09/03 23:17:17.5229 UTC | 2022/09/04 00:10:11.3464 UTC | 63990 |
|
|
|
|
|
























































































































