|
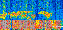
Displayed on this page are scaled, color-modulated, altitude-time images of CALIPSO attenuated backscatter (/km/sr) including:
- 532 nm total (parallel + perpendicular) attenuated backscatter
- 532 nm perpendicular attenuated backscatter
- 1064 nm total attenuated backscatter
The orbit track locations for the entire Level 1 .hdf file are in black and the orbit track locations corresponding to this page are color coded.
For the full scale images:
- the color bars for attenuated backscatter show the colors assigned to ranges of attenuated backscatter, /km/sr
- the horizontal axes are annotated with latitude (deg) and longitude (deg)
- the vertical axes are annotated to indicate altitude in kilometers
- the date and time of the measurements are listed as UTC time
- the names of the CALIPSO data products for the Lidar Level 1 attenuated backscatter granules are included
The scaled images on this page are organized by CALIPSO data product day and night orbit granules.
The maps with a shaded background indicate nightime measurements.
There are a maximum of 4 scaled images per granule.
The orbit tracks plotted on the maps show the measurement locations for each granule.
For each granule, the scaled images are ordered from left to right and their locations along the orbit tracks are color coded as: image one, image two, image three, image four.
Begin |
End | Number Profiles |
|---|---|---|
| 2022/12/25 00:19:40.2090 UTC | 2022/12/25 01:04:55.0154 UTC | 54735 |
|
|
|
|
|
Begin |
End | Number Profiles |
|---|---|---|
| 2022/12/25 01:04:55.0650 UTC | 2022/12/25 01:58:08.2634 UTC | 64380 |
|
|
|
|
|
Begin |
End | Number Profiles |
|---|---|---|
| 2022/12/25 01:58:08.3130 UTC | 2022/12/25 02:43:23.1194 UTC | 54735 |
|
|
|
|
|
Begin |
End | Number Profiles |
|---|---|---|
| 2022/12/25 02:43:23.1690 UTC | 2022/12/25 03:36:36.3673 UTC | 64380 |
|
|
|
|
|
Begin |
End | Number Profiles |
|---|---|---|
| 2022/12/25 03:36:36.4169 UTC | 2022/12/25 04:21:51.2233 UTC | 54735 |
|
|
|
|
|
Begin |
End | Number Profiles |
|---|---|---|
| 2022/12/25 04:21:51.2729 UTC | 2022/12/25 05:15:04.4714 UTC | 64380 |
|
|
|
|
|
Begin |
End | Number Profiles |
|---|---|---|
| 2022/12/25 05:15:04.5210 UTC | 2022/12/25 06:00:19.3274 UTC | 54735 |
|
|
|
|
|
Begin |
End | Number Profiles |
|---|---|---|
| 2022/12/25 06:00:19.3770 UTC | 2022/12/25 06:53:32.5754 UTC | 64380 |
|
|
|
|
|
Begin |
End | Number Profiles |
|---|---|---|
| 2022/12/25 06:53:32.6250 UTC | 2022/12/25 07:38:47.4314 UTC | 54735 |
|
|
|
|
|
Begin |
End | Number Profiles |
|---|---|---|
| 2022/12/25 07:38:47.4810 UTC | 2022/12/25 08:32:00.6793 UTC | 64380 |
|
|
|
|
|
Begin |
End | Number Profiles |
|---|---|---|
| 2022/12/25 08:32:00.7289 UTC | 2022/12/25 09:17:15.5354 UTC | 54735 |
|
|
|
|
|
Begin |
End | Number Profiles |
|---|---|---|
| 2022/12/25 09:17:15.5850 UTC | 2022/12/25 10:10:28.0394 UTC | 64365 |
|
|
|
|
|
Begin |
End | Number Profiles |
|---|---|---|
| 2022/12/25 10:10:28.0890 UTC | 2022/12/25 10:55:43.6393 UTC | 54660 |
|
|
|
|
|
Begin |
End | Number Profiles |
|---|---|---|
| 2022/12/25 10:55:43.6889 UTC | 2022/12/25 11:48:56.1433 UTC | 64365 |
|
|
|
|
|
Begin |
End | Number Profiles |
|---|---|---|
| 2022/12/25 11:48:56.1929 UTC | 2022/12/25 12:34:10.9993 UTC | 54735 |
|
|
|
|
|
Begin |
End | Number Profiles |
|---|---|---|
| 2022/12/25 12:34:11.0490 UTC | 2022/12/25 13:27:24.2474 UTC | 64380 |
|
|
|
|
|
Begin |
End | Number Profiles |
|---|---|---|
| 2022/12/25 13:27:24.2970 UTC | 2022/12/25 14:12:39.1034 UTC | 54735 |
|
|
|
|
|
Begin |
End | Number Profiles |
|---|---|---|
| 2022/12/25 14:12:39.1529 UTC | 2022/12/25 15:05:52.3514 UTC | 64380 |
|
|
|
|
|
Begin |
End | Number Profiles |
|---|---|---|
| 2022/12/25 15:05:52.4010 UTC | 2022/12/25 15:51:07.2074 UTC | 54735 |
|
|
|
|
|
Begin |
End | Number Profiles |
|---|---|---|
| 2022/12/25 15:51:07.2570 UTC | 2022/12/25 16:44:20.4554 UTC | 64380 |
|
|
|
|
|
Begin |
End | Number Profiles |
|---|---|---|
| 2022/12/25 16:44:20.5050 UTC | 2022/12/25 17:29:35.3114 UTC | 54735 |
|
|
|
|
|
Begin |
End | Number Profiles |
|---|---|---|
| 2022/12/25 17:29:35.3610 UTC | 2022/12/25 18:22:48.5593 UTC | 64380 |
|
|
|
|
|
Begin |
End | Number Profiles |
|---|---|---|
| 2022/12/25 18:22:48.6089 UTC | 2022/12/25 19:08:03.4153 UTC | 54735 |
|
|
|
|
|
Begin |
End | Number Profiles |
|---|---|---|
| 2022/12/25 19:08:03.4649 UTC | 2022/12/25 20:01:16.6634 UTC | 64380 |
|
|
|
|
|
Begin |
End | Number Profiles |
|---|---|---|
| 2022/12/25 20:01:16.7130 UTC | 2022/12/25 20:46:31.5194 UTC | 54735 |
|
|
|
|
|
Begin |
End | Number Profiles |
|---|---|---|
| 2022/12/25 20:46:31.5690 UTC | 2022/12/25 21:39:44.0234 UTC | 64365 |
|
|
|
|
|
Begin |
End | Number Profiles |
|---|---|---|
| 2022/12/25 21:39:44.0730 UTC | 2022/12/25 22:24:59.6234 UTC | 54750 |
|
|
|
|
|
Begin |
End | Number Profiles |
|---|---|---|
| 2022/12/25 22:24:59.6730 UTC | 2022/12/25 23:18:12.1274 UTC | 64365 |
|
|
|
|
|
Begin |
End | Number Profiles |
|---|---|---|
| 2022/12/25 23:18:12.1770 UTC | 2022/12/26 00:03:26.9834 UTC | 54735 |
|
|
|
|
|
























































































































