|
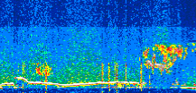
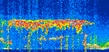
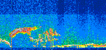
Displayed on this page are scaled, color-modulated, altitude-time images of CALIPSO attenuated backscatter (/km/sr) including:
- 532 nm total (parallel + perpendicular) attenuated backscatter
- 532 nm perpendicular attenuated backscatter
- 1064 nm total attenuated backscatter
The orbit track locations for the entire Level 1 .hdf file are in black and the orbit track locations corresponding to this page are color coded.
For the full scale images:
- the color bars for attenuated backscatter show the colors assigned to ranges of attenuated backscatter, /km/sr
- the horizontal axes are annotated with latitude (deg) and longitude (deg)
- the vertical axes are annotated to indicate altitude in kilometers
- the date and time of the measurements are listed as UTC time
- the names of the CALIPSO data products for the Lidar Level 1 attenuated backscatter granules are included
The scaled images on this page are organized by CALIPSO data product day and night orbit granules.
The maps with a shaded background indicate nightime measurements.
There are a maximum of 4 scaled images per granule.
The orbit tracks plotted on the maps show the measurement locations for each granule.
For each granule, the scaled images are ordered from left to right and their locations along the orbit tracks are color coded as: image one, image two, image three, image four.
Begin |
End | Number Profiles |
|---|---|---|
| 2022/12/26 00:03:27.0330 UTC | 2022/12/26 00:56:40.2314 UTC | 64380 |
|
|
|
|
|
Begin |
End | Number Profiles |
|---|---|---|
| 2022/12/26 00:56:40.2810 UTC | 2022/12/26 01:41:55.0874 UTC | 54735 |
|
|
|
|
|
Begin |
End | Number Profiles |
|---|---|---|
| 2022/12/26 01:41:55.1370 UTC | 2022/12/26 02:35:08.3353 UTC | 64380 |
|
|
|
|
|
Begin |
End | Number Profiles |
|---|---|---|
| 2022/12/26 02:35:08.3849 UTC | 2022/12/26 03:20:23.1913 UTC | 54735 |
|
|
|
|
|
Begin |
End | Number Profiles |
|---|---|---|
| 2022/12/26 03:20:23.2409 UTC | 2022/12/26 04:13:36.4394 UTC | 64380 |
|
|
|
|
|
Begin |
End | Number Profiles |
|---|---|---|
| 2022/12/26 04:13:36.4890 UTC | 2022/12/26 04:58:51.2954 UTC | 54735 |
|
|
|
|
|
Begin |
End | Number Profiles |
|---|---|---|
| 2022/12/26 04:58:51.3450 UTC | 2022/12/26 05:52:03.0554 UTC | 64350 |
|
|
|
|
|
Begin |
End | Number Profiles |
|---|---|---|
| 2022/12/26 05:52:03.1050 UTC | 2022/12/26 06:37:18.6553 UTC | 54750 |
|
|
|
|
|
Begin |
End | Number Profiles |
|---|---|---|
| 2022/12/26 06:37:18.7049 UTC | 2022/12/26 07:30:31.1593 UTC | 64365 |
|
|
|
|
|
Begin |
End | Number Profiles |
|---|---|---|
| 2022/12/26 07:30:31.2089 UTC | 2022/12/26 08:15:46.0154 UTC | 54735 |
|
|
|
|
|
Begin |
End | Number Profiles |
|---|---|---|
| 2022/12/26 08:15:46.0650 UTC | 2022/12/26 09:08:59.2634 UTC | 64380 |
|
|
|
|
|
Begin |
End | Number Profiles |
|---|---|---|
| 2022/12/26 09:08:59.3130 UTC | 2022/12/26 09:54:15.6073 UTC | 54765 |
|
|
|
|
|
Begin |
End | Number Profiles |
|---|---|---|
| 2022/12/26 09:54:15.6569 UTC | 2022/12/26 10:47:27.3674 UTC | 64350 |
|
|
|
|
|
Begin |
End | Number Profiles |
|---|---|---|
| 2022/12/26 10:47:27.4170 UTC | 2022/12/26 11:32:42.9673 UTC | 54750 |
|
|
|
|
|
Begin |
End | Number Profiles |
|---|---|---|
| 2022/12/26 11:32:43.0170 UTC | 2022/12/26 12:25:55.4714 UTC | 64365 |
|
|
|
|
|
Begin |
End | Number Profiles |
|---|---|---|
| 2022/12/26 12:25:55.5210 UTC | 2022/12/26 13:11:11.0713 UTC | 54750 |
|
|
|
|
|
Begin |
End | Number Profiles |
|---|---|---|
| 2022/12/26 13:11:11.1209 UTC | 2022/12/26 14:04:23.5753 UTC | 64365 |
|
|
|
|
|
Begin |
End | Number Profiles |
|---|---|---|
| 2022/12/26 14:04:23.6249 UTC | 2022/12/26 14:49:39.1754 UTC | 54750 |
|
|
|
|
|
Begin |
End | Number Profiles |
|---|---|---|
| 2022/12/26 14:49:39.2250 UTC | 2022/12/26 15:42:51.6794 UTC | 64350 |
|
|
|
|
|
Begin |
End | Number Profiles |
|---|---|---|
| 2022/12/26 15:42:51.7290 UTC | 2022/12/26 16:28:06.5354 UTC | 54735 |
|
|
|
|
|
Begin |
End | Number Profiles |
|---|---|---|
| 2022/12/26 16:28:06.5850 UTC | 2022/12/26 17:21:19.0394 UTC | 64365 |
|
|
|
|
|
Begin |
End | Number Profiles |
|---|---|---|
| 2022/12/26 17:21:19.0889 UTC | 2022/12/26 18:06:34.6394 UTC | 54750 |
|
|
|
|
|
Begin |
End | Number Profiles |
|---|---|---|
| 2022/12/26 18:06:34.6890 UTC | 2022/12/26 18:59:47.1434 UTC | 64365 |
|
|
|
|
|
Begin |
End | Number Profiles |
|---|---|---|
| 2022/12/26 18:59:47.1930 UTC | 2022/12/26 19:45:01.9994 UTC | 54735 |
|
|
|
|
|
Begin |
End | Number Profiles |
|---|---|---|
| 2022/12/26 19:45:02.0490 UTC | 2022/12/26 20:38:15.2474 UTC | 64380 |
|
|
|
|
|
Begin |
End | Number Profiles |
|---|---|---|
| 2022/12/26 20:38:15.2970 UTC | 2022/12/26 21:23:30.1034 UTC | 54735 |
|
|
|
|
|
Begin |
End | Number Profiles |
|---|---|---|
| 2022/12/26 21:23:30.1530 UTC | 2022/12/26 22:16:43.3513 UTC | 64380 |
|
|
|
|
|
Begin |
End | Number Profiles |
|---|---|---|
| 2022/12/26 22:16:43.4009 UTC | 2022/12/26 23:01:58.2073 UTC | 54735 |
|
|
|
|
|
Begin |
End | Number Profiles |
|---|---|---|
| 2022/12/26 23:01:58.2570 UTC | 2022/12/26 23:55:11.4554 UTC | 64380 |
|
|
|
|
|
Begin |
End | Number Profiles |
|---|---|---|
| 2022/12/26 23:55:11.5050 UTC | 2022/12/27 00:40:27.0554 UTC | 54750 |
|
|
|
|
|




























































































































