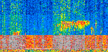
|
Displayed on this page are scaled, color-modulated, altitude-time images of CALIPSO attenuated backscatter (/km/sr) including:
- 532 nm total (parallel + perpendicular) attenuated backscatter
- 532 nm perpendicular attenuated backscatter
- 1064 nm total attenuated backscatter
The orbit track locations for the entire Level 1 .hdf file are in black and the orbit track locations corresponding to this page are color coded.
For the full scale images:
- the color bars for attenuated backscatter show the colors assigned to ranges of attenuated backscatter, /km/sr
- the horizontal axes are annotated with latitude (deg) and longitude (deg)
- the vertical axes are annotated to indicate altitude in kilometers
- the date and time of the measurements are listed as UTC time
- the names of the CALIPSO data products for the Lidar Level 1 attenuated backscatter granules are included
The scaled images on this page are organized by CALIPSO data product day and night orbit granules.
The maps with a shaded background indicate nightime measurements.
There are a maximum of 4 scaled images per granule.
The orbit tracks plotted on the maps show the measurement locations for each granule.
For each granule, the scaled images are ordered from left to right and their locations along the orbit tracks are color coded as: image one, image two, image three, image four.
Begin |
End | Number Profiles |
|---|---|---|
| 2023/03/07 01:58:01.3770 UTC | 2023/03/07 02:43:17.6713 UTC | 54765 |
|
|
|
|
|
Begin |
End | Number Profiles |
|---|---|---|
| 2023/03/07 02:43:17.7209 UTC | 2023/03/07 03:36:29.4314 UTC | 64350 |
|
|
|
|
|
Begin |
End | Number Profiles |
|---|---|---|
| 2023/03/07 03:36:29.4810 UTC | 2023/03/07 04:21:44.2874 UTC | 54735 |
|
|
|
|
|
Begin |
End | Number Profiles |
|---|---|---|
| 2023/03/07 04:21:44.3370 UTC | 2023/03/07 05:14:56.0474 UTC | 64350 |
|
|
|
|
|
Begin |
End | Number Profiles |
|---|---|---|
| 2023/03/07 05:14:56.0970 UTC | 2023/03/07 06:00:11.6474 UTC | 54750 |
|
|
|
|
|
Begin |
End | Number Profiles |
|---|---|---|
| 2023/03/07 06:00:11.6970 UTC | 2023/03/07 06:53:23.4074 UTC | 64350 |
|
|
|
|
|
Begin |
End | Number Profiles |
|---|---|---|
| 2023/03/07 06:53:23.4570 UTC | 2023/03/07 07:38:38.2634 UTC | 54735 |
|
|
|
|
|
Begin |
End | Number Profiles |
|---|---|---|
| 2023/03/07 07:38:38.3130 UTC | 2023/03/07 08:31:50.0233 UTC | 64350 |
|
|
|
|
|
Begin |
End | Number Profiles |
|---|---|---|
| 2023/03/07 08:31:50.0729 UTC | 2023/03/07 09:17:05.6234 UTC | 54750 |
|
|
|
|
|
Begin |
End | Number Profiles |
|---|---|---|
| 2023/03/07 09:17:05.6730 UTC | 2023/03/07 10:10:17.3834 UTC | 64350 |
|
|
|
|
|
Begin |
End | Number Profiles |
|---|---|---|
| 2023/03/07 10:10:17.4330 UTC | 2023/03/07 10:55:32.2394 UTC | 54735 |
|
|
|
|
|
Begin |
End | Number Profiles |
|---|---|---|
| 2023/03/07 10:55:32.2890 UTC | 2023/03/07 11:48:43.9993 UTC | 64350 |
|
|
|
|
|
Begin |
End | Number Profiles |
|---|---|---|
| 2023/03/07 11:48:44.0489 UTC | 2023/03/07 12:34:00.3433 UTC | 54765 |
|
|
|
|
|
Begin |
End | Number Profiles |
|---|---|---|
| 2023/03/07 12:34:00.3929 UTC | 2023/03/07 13:27:11.3593 UTC | 64335 |
|
|
|
|
|
Begin |
End | Number Profiles |
|---|---|---|
| 2023/03/07 13:27:11.4089 UTC | 2023/03/07 14:12:27.7034 UTC | 54765 |
|
|
|
|
|
Begin |
End | Number Profiles |
|---|---|---|
| 2023/03/07 14:12:27.7530 UTC | 2023/03/07 15:05:39.4634 UTC | 64350 |
|
|
|
|
|
Begin |
End | Number Profiles |
|---|---|---|
| 2023/03/07 15:05:39.5130 UTC | 2023/03/07 15:50:54.3193 UTC | 54735 |
|
|
|
|
|
Begin |
End | Number Profiles |
|---|---|---|
| 2023/03/07 15:50:54.3689 UTC | 2023/03/07 16:44:06.0794 UTC | 64350 |
|
|
|
|
|
Begin |
End | Number Profiles |
|---|---|---|
| 2023/03/07 16:44:06.1290 UTC | 2023/03/07 17:29:21.6793 UTC | 54750 |
|
|
|
|
|
Begin |
End | Number Profiles |
|---|---|---|
| 2023/03/07 17:29:21.7290 UTC | 2023/03/07 18:22:33.4394 UTC | 64350 |
|
|
|
|
|
Begin |
End | Number Profiles |
|---|---|---|
| 2023/03/07 18:22:33.4890 UTC | 2023/03/07 19:07:48.2954 UTC | 54735 |
|
|
|
|
|
Begin |
End | Number Profiles |
|---|---|---|
| 2023/03/07 19:07:48.3450 UTC | 2023/03/07 20:01:00.0554 UTC | 64350 |
|
|
|
|
|
Begin |
End | Number Profiles |
|---|---|---|
| 2023/03/07 20:01:00.1050 UTC | 2023/03/07 20:46:15.6553 UTC | 54750 |
|
|
|
|
|
Begin |
End | Number Profiles |
|---|---|---|
| 2023/03/07 20:46:15.7049 UTC | 2023/03/07 21:39:27.4154 UTC | 64020 |
|
|
|
|
|
Begin |
End | Number Profiles |
|---|---|---|
| 2023/03/07 21:39:27.4650 UTC | 2023/03/07 22:24:42.2714 UTC | 54735 |
|
|
|
|
|
Begin |
End | Number Profiles |
|---|---|---|
| 2023/03/07 22:24:42.3210 UTC | 2023/03/07 23:17:54.0314 UTC | 60135 |
|
|
|
|
|
Begin |
End | Number Profiles |
|---|---|---|
| 2023/03/07 23:17:54.0810 UTC | 2023/03/08 00:03:09.6314 UTC | 50775 |
|
|
|
|
|
















































































































