|
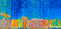
Displayed on this page are scaled, color-modulated, altitude-time images of CALIPSO attenuated backscatter (/km/sr) including:
- 532 nm total (parallel + perpendicular) attenuated backscatter
- 532 nm perpendicular attenuated backscatter
- 1064 nm total attenuated backscatter
The orbit track locations for the entire Level 1 .hdf file are in black and the orbit track locations corresponding to this page are color coded.
For the full scale images:
- the color bars for attenuated backscatter show the colors assigned to ranges of attenuated backscatter, /km/sr
- the horizontal axes are annotated with latitude (deg) and longitude (deg)
- the vertical axes are annotated to indicate altitude in kilometers
- the date and time of the measurements are listed as UTC time
- the names of the CALIPSO data products for the Lidar Level 1 attenuated backscatter granules are included
The scaled images on this page are organized by CALIPSO data product day and night orbit granules.
The maps with a shaded background indicate nightime measurements.
There are a maximum of 4 scaled images per granule.
The orbit tracks plotted on the maps show the measurement locations for each granule.
For each granule, the scaled images are ordered from left to right and their locations along the orbit tracks are color coded as: image one, image two, image three, image four.
Begin |
End | Number Profiles |
|---|---|---|
| 2023/04/19 02:43:47.0860 UTC | 2023/04/19 03:36:55.0713 UTC | 63345 |
|
|
|
|
|
Begin |
End | Number Profiles |
|---|---|---|
| 2023/04/19 03:36:55.1209 UTC | 2023/04/19 04:22:13.6474 UTC | 54615 |
|
|
|
|
|
Begin |
End | Number Profiles |
|---|---|---|
| 2023/04/19 04:22:13.6970 UTC | 2023/04/19 05:15:21.6824 UTC | 63750 |
|
|
|
|
|
Begin |
End | Number Profiles |
|---|---|---|
| 2023/04/19 05:15:21.7320 UTC | 2023/04/19 06:00:39.5134 UTC | 54795 |
|
|
|
|
|
Begin |
End | Number Profiles |
|---|---|---|
| 2023/04/19 06:00:39.5630 UTC | 2023/04/19 06:53:47.5484 UTC | 64275 |
|
|
|
|
|
Begin |
End | Number Profiles |
|---|---|---|
| 2023/04/19 06:53:47.5980 UTC | 2023/04/19 07:39:05.3804 UTC | 54795 |
|
|
|
|
|
Begin |
End | Number Profiles |
|---|---|---|
| 2023/04/19 07:39:05.4300 UTC | 2023/04/19 08:32:13.4144 UTC | 64275 |
|
|
|
|
|
Begin |
End | Number Profiles |
|---|---|---|
| 2023/04/19 08:32:13.4640 UTC | 2023/04/19 09:17:31.2453 UTC | 54795 |
|
|
|
|
|
Begin |
End | Number Profiles |
|---|---|---|
| 2023/04/19 09:17:31.2949 UTC | 2023/04/19 10:10:39.2804 UTC | 64275 |
|
|
|
|
|
Begin |
End | Number Profiles |
|---|---|---|
| 2023/04/19 10:10:39.3300 UTC | 2023/04/19 10:55:57.1113 UTC | 54795 |
|
|
|
|
|
Begin |
End | Number Profiles |
|---|---|---|
| 2023/04/19 10:55:57.1609 UTC | 2023/04/19 11:49:05.1454 UTC | 64275 |
|
|
|
|
|
Begin |
End | Number Profiles |
|---|---|---|
| 2023/04/19 11:49:05.1950 UTC | 2023/04/19 12:34:22.9773 UTC | 54795 |
|
|
|
|
|
Begin |
End | Number Profiles |
|---|---|---|
| 2023/04/19 12:34:23.0269 UTC | 2023/04/19 13:27:31.0103 UTC | 64275 |
|
|
|
|
|
Begin |
End | Number Profiles |
|---|---|---|
| 2023/04/19 13:27:31.0600 UTC | 2023/04/19 14:12:49.5863 UTC | 54810 |
|
|
|
|
|
Begin |
End | Number Profiles |
|---|---|---|
| 2023/04/19 14:12:49.6359 UTC | 2023/04/19 15:05:57.6204 UTC | 64275 |
|
|
|
|
|
Begin |
End | Number Profiles |
|---|---|---|
| 2023/04/19 15:05:57.6700 UTC | 2023/04/19 15:51:15.4514 UTC | 54795 |
|
|
|
|
|
Begin |
End | Number Profiles |
|---|---|---|
| 2023/04/19 15:51:15.5010 UTC | 2023/04/19 16:44:23.4864 UTC | 64275 |
|
|
|
|
|
Begin |
End | Number Profiles |
|---|---|---|
| 2023/04/19 16:44:23.5360 UTC | 2023/04/19 17:29:41.3174 UTC | 54795 |
|
|
|
|
|
Begin |
End | Number Profiles |
|---|---|---|
| 2023/04/19 17:29:41.3670 UTC | 2023/04/19 18:22:49.3513 UTC | 64275 |
|
|
|
|
|
Begin |
End | Number Profiles |
|---|---|---|
| 2023/04/19 23:18:07.7410 UTC | 2023/04/20 00:03:25.5234 UTC | 54615 |
|
|
|
|
|




















































































